Benvenuto Ospite

Forum Entomologi Italiani

www.entomologiitaliani.net/forum
 
Oggi è 08/11/2025, 21:28

Tutti gli orari sono UTC + 1 ora [ ora legale ]

Macrodontia cervicornis (Linnaeus, 1758) - Cerambycidae - Brasile

I.1986 - BRASILE - EE, Amazonas


nuovo argomento
rispondi
Pagina 1 di 1 [ 2 messaggi ]
Autore Messaggio
MessaggioInviato: 01/10/2010, 23:43 
Avatar utente

Iscritto il: 30/12/2009, 22:20
Messaggi: 31564
Località: Roma
Nome: Maurizio Gigli
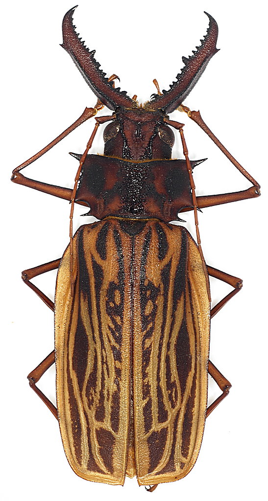
Ecco un altro paio di bestie fotografate per altri motivi, che inserisco nel Forum dopo averle ridotte a dimensioni accettabili. Questa volta sono due Cerambycidae.
Cominciamo con questo, un esemplare piccolo per la specie:

Macrodontia cervicornis (Linnaeus, 1758)

Brasile, Amazonas, I.1986, raccoglitore locale
120 mm

Macrodontia_cervicornis_Brazil_Amazonas_I-1986_120mm.jpg


_________________
Maurizio Gigli
http://utenti.romascuola.net/bups
http://bup.xoom.it/


Top
profilo
MessaggioInviato: 01/10/2010, 23:56 
Avatar utente

Iscritto il: 26/03/2010, 14:55
Messaggi: 5975
Località: Romania
Nome: Cosmin-Ovidiu Manci
and again
:lov3: wow :lov3:

_________________
Cosmin-Ovidiu Manci
**********************
cosmln's place - my blog
just insects
Dragonflies of Romania


Top
profilo
Visualizza ultimi messaggi:  Ordina per  
nuovo argomento
rispondi
Pagina 1 di 1 [ 2 messaggi ]

Tutti gli orari sono UTC + 1 ora [ ora legale ]


Chi c’è in linea

Visitano il forum: Google [Bot] e 12 ospiti


Non puoi aprire nuovi argomenti
Non puoi rispondere negli argomenti
Non puoi modificare i tuoi messaggi
Non puoi cancellare i tuoi messaggi
Non puoi inviare allegati

Cerca per:
Vai a: