Benvenuto Ospite

Forum Entomologi Italiani

www.entomologiitaliani.net/forum
 
Oggi è 08/11/2025, 6:01

Tutti gli orari sono UTC + 1 ora [ ora legale ]

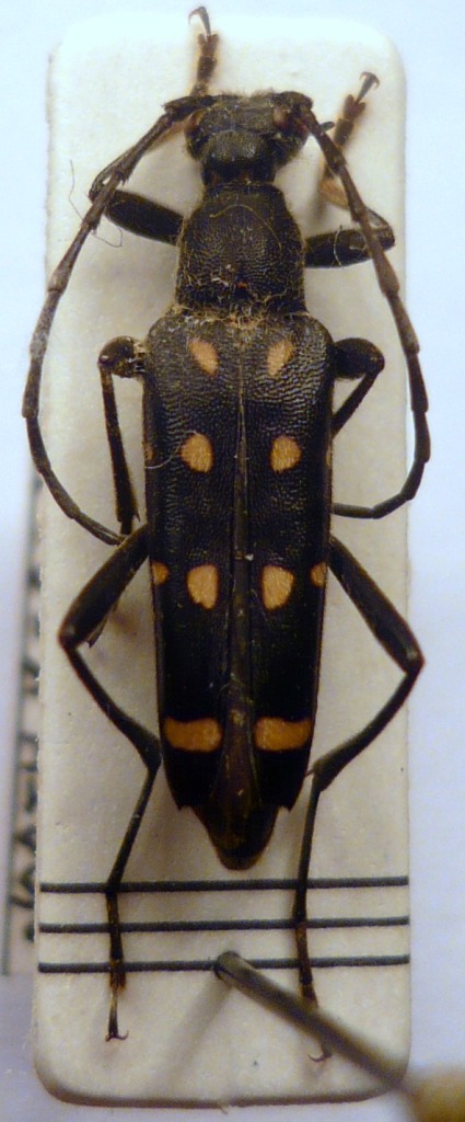
Leptura duodecimguttata duodecimguttata Fabricius, 1801 - Cerambycidae

22.VI.1997 - KOREA, REPUBBLICA DI - EE, Dongsan


nuovo argomento
rispondi
Pagina 1 di 1 [ 2 messaggi ]
Autore Messaggio
MessaggioInviato: 02/11/2010, 19:55 
Avatar utente

Iscritto il: 11/11/2009, 20:54
Messaggi: 4850
Località: Pesaro
Nome: Marco Paglialunga
Leptura (Leptura) duodecimguttata Fabricius, 1801 ?
North Korea - Dongsan
June 21.22/97
15 mm


Leptura (Leptura) duodecimguttata Fabricius, 1801  .JPG


_________________
O voi ch'avete li 'ntelletti sani, mirate la dottrina che s'asconde sotto 'l velame de li versi strani
(InfeRRno - canto IX - vv. 61-63)
Top
profilo
 Oggetto del messaggio: Re: Made in PRK Vol II
MessaggioInviato: 02/11/2010, 22:34 
 

Iscritto il: 13/09/2009, 18:04
Messaggi: 881
Nome: Pierpaolo Rapuzzi
Confermo Leptura duodecimguttata duodecimguttata Fabricius, 1801

Pierpaolo


Top
profilo
Visualizza ultimi messaggi:  Ordina per  
nuovo argomento
rispondi
Pagina 1 di 1 [ 2 messaggi ]

Tutti gli orari sono UTC + 1 ora [ ora legale ]


Chi c’è in linea

Visitano il forum: Nessuno e 4 ospiti


Non puoi aprire nuovi argomenti
Non puoi rispondere negli argomenti
Non puoi modificare i tuoi messaggi
Non puoi cancellare i tuoi messaggi
Non puoi inviare allegati

Cerca per:
Vai a:  
cron