Benvenuto Ospite

Forum Entomologi Italiani

www.entomologiitaliani.net/forum
 
Oggi è 06/10/2025, 2:16

Tutti gli orari sono UTC + 1 ora [ ora legale ]

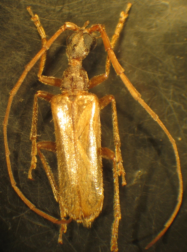
Vesperus luridus (Rossi, 1794) Dettagli della specie

X.2010 - ITALIA - Lazio - LT, Is. Ventotene, 0/100m (40°47’37.8” N 13°25’39.3” E), G. Ruzzante leg.


nuovo argomento
rispondi
Pagina 1 di 1 [ 8 messaggi ]
Autore Messaggio
MessaggioInviato: 07/11/2010, 10:38 
Avatar utente

Iscritto il: 23/06/2010, 11:11
Messaggi: 2784
Località: Cagliari
Nome: Gianpaolo Ruzzante
giunto con fioca lampadina portico...
mm 25
sono in dubbio tra Vesperus strepens (Fabricius, 1792) e Vesperus luridus (Rossi, 1794)
le dimensioni credo si accavallano tra le due specie...
:hi:

Italia – Lazio – Latina – Is. Ventotene – m 0 – 100 - 40°47’37.8” N 13°25’39.3” E - X 2010 G.Ruzzante leg.


Italia – Lazio – Latina – Is. Ventotene – m 0 – 100 - 40°47’37.8” N 13°25’39.3” E - X 2010 G.Ruzzante leg.
IMG_0004.JPG

Top
profilo
MessaggioInviato: 07/11/2010, 11:06 
Avatar utente

Iscritto il: 21/05/2009, 14:59
Messaggi: 6994
Località: Parigi
Nome: Riccardo Poloni
Vesperus luridus (Rossi, 1790) per la località, lo strepens si trova solo in Liguria in Italia. Se non ti serve.... :D :)

_________________
Riccardo Poloni
La dignità degli elementi
la libertà della poesia,
al di là dei tradimenti degli uomini
è magia, è magia, è magia...
Negrita, Rotolando verso sud


Top
profilo
MessaggioInviato: 07/11/2010, 12:24 
Avatar utente

Iscritto il: 23/06/2010, 11:11
Messaggi: 2784
Località: Cagliari
Nome: Gianpaolo Ruzzante
Stazione non nota secondo CKmap... :hi:


Top
profilo
MessaggioInviato: 07/11/2010, 16:12 
Avatar utente

Iscritto il: 21/05/2009, 14:59
Messaggi: 6994
Località: Parigi
Nome: Riccardo Poloni
Bene, anche se nel Lazio è frequente in molte località

_________________
Riccardo Poloni
La dignità degli elementi
la libertà della poesia,
al di là dei tradimenti degli uomini
è magia, è magia, è magia...
Negrita, Rotolando verso sud


Top
profilo
MessaggioInviato: 07/11/2010, 16:22 
Avatar utente

Iscritto il: 01/07/2010, 22:26
Messaggi: 5646
Località: Viterbo
Nome: Marco Selis
Da me in estate vengono attirati dal lampioncino che ho in giardino in quantità enormi, circa 10-15 maschi a notte, però non ho mai avuto il piacere di vedere una femmina :?


Top
profilo
MessaggioInviato: 07/11/2010, 16:40 
Avatar utente

Iscritto il: 23/06/2010, 11:11
Messaggi: 2784
Località: Cagliari
Nome: Gianpaolo Ruzzante
Andricus ha scritto:
Da me in estate vengono attirati dal lampioncino che ho in giardino in quantità enormi, circa 10-15 maschi a notte, però non ho mai avuto il piacere di vedere una femmina :?


Ciao Andricus
le femmine sono attere... come in quasi tutte le specie Vesperus
:hi:


Top
profilo
MessaggioInviato: 07/11/2010, 19:59 
Avatar utente

Iscritto il: 05/09/2009, 7:56
Messaggi: 3445
Località: Cesena
Nome: Gianfranco Sama
Plagionotus ha scritto:
Vesperus luridus (Rossi, 1790) per la località, lo strepens si trova solo in Liguria in Italia. Se non ti serve.... :D :)


hmmm !! Lo strepens c'è anche in Piemonte :mrgreen:

_________________
Gianfranco Sama

"Benedetto colui che ti aiuta a correggere i tuoi errori invece di scagliarteli contro"
___________________________________
Gershom Sholem


Top
profilo
MessaggioInviato: 08/11/2010, 19:37 
Avatar utente

Iscritto il: 21/05/2009, 14:59
Messaggi: 6994
Località: Parigi
Nome: Riccardo Poloni
Infatti quando ho ripensato a cosa avevo scritto mi sono detto: adesso mi piglio le bacchettate di Isotomus, quindi diciamo che volevo dire in Liguria e nel sud del Piemonte :mrgreen: :mrgreen: . E adesso vado che sennò faccio tardi a pallavolo :mrgreen: :mrgreen:

_________________
Riccardo Poloni
La dignità degli elementi
la libertà della poesia,
al di là dei tradimenti degli uomini
è magia, è magia, è magia...
Negrita, Rotolando verso sud


Top
profilo
Visualizza ultimi messaggi:  Ordina per  
nuovo argomento
rispondi
Pagina 1 di 1 [ 8 messaggi ]

Tutti gli orari sono UTC + 1 ora [ ora legale ]


Chi c’è in linea

Visitano il forum: Nessuno e 6 ospiti


Non puoi aprire nuovi argomenti
Non puoi rispondere negli argomenti
Non puoi modificare i tuoi messaggi
Non puoi cancellare i tuoi messaggi
Non puoi inviare allegati

Cerca per:
Vai a: