| Forum Entomologi Italiani http://www.entomologiitaliani.net/public/forum/phpbb3/ |
|
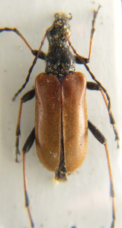
| Acmaeops marginatus (Fabricius, 1781) - Cerambycidae http://www.entomologiitaliani.net/public/forum/phpbb3/viewtopic.php?f=145&t=16811 |
Pagina 1 di 1 |
| Autore: | Joro [ 28/01/2011, 16:32 ] | ||
| Oggetto del messaggio: | Acmaeops marginatus (Fabricius, 1781) - Cerambycidae | ||
Alt.400m,collected on Pinus logs.
|
|||
| Autore: | Isotomus [ 28/01/2011, 17:46 ] |
| Oggetto del messaggio: | Re: Acmaeops marginatus (Fabricius, 1781)-Cerambycidae |
Thanks again
|
|
| Pagina 1 di 1 | Tutti gli orari sono UTC + 1 ora [ ora legale ] |
| Powered by phpBB® Forum Software © phpBB Group http://www.phpbb.com/ |
|