Benvenuto Ospite

Forum Entomologi Italiani

www.entomologiitaliani.net/forum
 
Oggi è 05/10/2025, 18:33

Tutti gli orari sono UTC + 1 ora [ ora legale ]

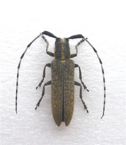
Agapanthia (Epoptes) villosoviridescens (De Geer, 1775) Dettagli della specie

12.VI.2011 - ITALIA - Lazio - RM, Albano


nuovo argomento
rispondi
Pagina 1 di 1 [ 3 messaggi ]
Autore Messaggio
MessaggioInviato: 30/08/2011, 2:50 
Avatar utente

Iscritto il: 16/12/2009, 0:06
Messaggi: 464
Località: Roma
Nome: Luca Percoco
Trovata su un arbusto nei pressi di un ambiente di macchia mediterranea...

Lunghezza: 15 mm

P1070624.JPG


_________________
Luca

I need to be myself, I can't be no one else... (Noel Gallagher)


Top
profilo
MessaggioInviato: 30/08/2011, 8:42 
Avatar utente

Iscritto il: 05/09/2009, 7:56
Messaggi: 3445
Località: Cesena
Nome: Gianfranco Sama
:ok: Agapanthia (Epoptes) villosoviridescens (DeGeer, 1775)

_________________
Gianfranco Sama

"Benedetto colui che ti aiuta a correggere i tuoi errori invece di scagliarteli contro"
___________________________________
Gershom Sholem


Top
profilo
MessaggioInviato: 01/09/2011, 3:35 
Avatar utente

Iscritto il: 16/12/2009, 0:06
Messaggi: 464
Località: Roma
Nome: Luca Percoco
Grazie della conferma. :D

_________________
Luca

I need to be myself, I can't be no one else... (Noel Gallagher)


Top
profilo
Visualizza ultimi messaggi:  Ordina per  
nuovo argomento
rispondi
Pagina 1 di 1 [ 3 messaggi ]

Tutti gli orari sono UTC + 1 ora [ ora legale ]


Chi c’è in linea

Visitano il forum: Nessuno e 11 ospiti


Non puoi aprire nuovi argomenti
Non puoi rispondere negli argomenti
Non puoi modificare i tuoi messaggi
Non puoi cancellare i tuoi messaggi
Non puoi inviare allegati

Cerca per:
Vai a: