Benvenuto Ospite

Forum Entomologi Italiani

www.entomologiitaliani.net/forum
 
Oggi è 08/11/2025, 20:59

Tutti gli orari sono UTC + 1 ora [ ora legale ]

Evodinus clathratus (Fabricius, 1792) Dettagli della specie

29.VI.2009 - ROMANIA - EE, Hunedoara, Est of Petrosani: Urdele road, 1500m, 29.VI.2009


nuovo argomento
rispondi
Pagina 1 di 1 [ 1 messaggio ]
Autore Messaggio
MessaggioInviato: 08/03/2011, 16:30 
Avatar utente

Iscritto il: 05/09/2009, 7:56
Messaggi: 3445
Località: Cesena
Nome: Gianfranco Sama
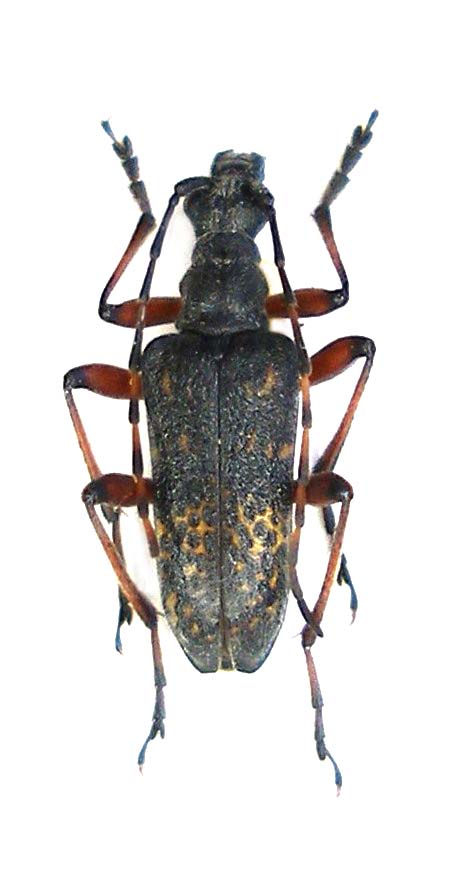
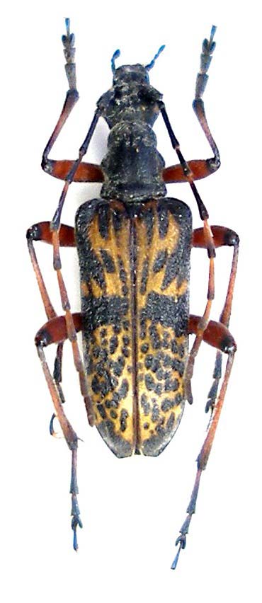
Evodinus clathratus (Fabricius, 1792) - maschio

Romania, Hunedoara, Est of Petrosani: Urdele road, 1500m, 29.VI.2009, leg. P. Rapuzzi & G. Sama
Evodinus clathratus_Romania Petrosani 014.jpg

Evodinus clathratus_Romania Petrosani 019_1.jpg


_________________
Gianfranco Sama

"Benedetto colui che ti aiuta a correggere i tuoi errori invece di scagliarteli contro"
___________________________________
Gershom Sholem


Top
profilo
Visualizza ultimi messaggi:  Ordina per  
nuovo argomento
rispondi
Pagina 1 di 1 [ 1 messaggio ]

Tutti gli orari sono UTC + 1 ora [ ora legale ]


Chi c’è in linea

Visitano il forum: Nessuno e 1 ospite


Non puoi aprire nuovi argomenti
Non puoi rispondere negli argomenti
Non puoi modificare i tuoi messaggi
Non puoi cancellare i tuoi messaggi
Non puoi inviare allegati

Cerca per:
Vai a: