Forum Entomologi Italiani
http://www.entomologiitaliani.net/public/forum/phpbb3/

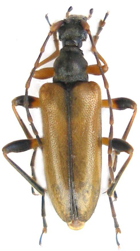
Pidonia (Pidonia) lurida (Fabricius, 1792) - Cerambycidae
http://www.entomologiitaliani.net/public/forum/phpbb3/viewtopic.php?f=145&t=18431
Pagina 1 di 1

Autore:  Isotomus [ 08/03/2011, 16:53 ]
Oggetto del messaggio:  Pidonia (Pidonia) lurida (Fabricius, 1792) - Cerambycidae

Pidonia (s. str.) lurida (Fabricius, 1792) - maschio e femmina

Romania, Hunedoara, Est of Petrosani: Urdele road, 1500m, 29.VI.2009, leg. P. Rapuzzi & G. Sama
Pidonia lurida_male_Romania Petrosani_007.jpg

Pidonia lurida_Romania Petrosani 002.jpg


Autore:  cosmln [ 08/03/2011, 18:43 ]
Oggetto del messaggio:  Re: Pidonia (s. str.) lurida (Fabricius, 1792)

credo che è molto interessante che questa specie è comune in Romania anche in zona a bassa quota. Ho alcuni esemplari provenienti da zone in cui io non sono a conoscenza di conifere. :?: :?:

Pagina 1 di 1 Tutti gli orari sono UTC + 1 ora [ ora legale ]
Powered by phpBB® Forum Software © phpBB Group
http://www.phpbb.com/