Benvenuto Ospite

Forum Entomologi Italiani

www.entomologiitaliani.net/forum
 
Oggi è 09/11/2025, 10:27

Tutti gli orari sono UTC + 1 ora [ ora legale ]

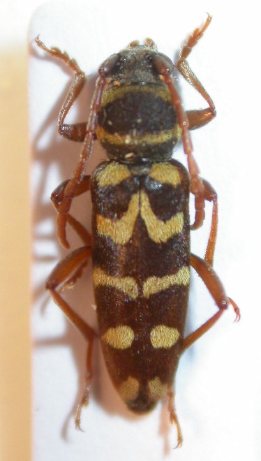
Plagionotus bobelayei (Brullé, 1832) - Cerambycidae

V.2011 - TURCHIA - EE, 1 km N-E Dereağzı (Aydin), 37.959 N, 28.333 E, leg. R. Rattu


nuovo argomento
rispondi
Pagina 1 di 1 [ 7 messaggi ]
Autore Messaggio
MessaggioInviato: 12/06/2011, 22:35 
Avatar utente

Iscritto il: 02/09/2009, 20:57
Messaggi: 8703
Località: Cagliari
Nome: Roberto Rattu
Un altro piccolo cerambicide dalla Turchia: mi ricorda molto questo viewtopic.php?f=11&t=22918 ma è lungo appena 10 mm:


DSCN7828.JPG

Top
profilo
MessaggioInviato: 12/06/2011, 22:39 
Avatar utente

Iscritto il: 09/06/2009, 13:19
Messaggi: 1229
Località: Modena
Nome: Omar Pacchioni
sembra Plagionotus floralis (Pallas, 1773) attendiamo conferma eprò.

_________________
..OOOO.......OOO.....OO......OOO......OOOO
OO.....OO....OO..O.O..O....OO....O....OO....O
OO.....OO....OO....O...O....OOOOO....OOOO
..OOOO.......OO.........O....OO....O....OO....O


Top
profilo
MessaggioInviato: 12/06/2011, 23:24 
Avatar utente

Iscritto il: 09/11/2010, 19:52
Messaggi: 4518
Località: Brescia
Nome: Luca Bodei
A me sembra ancora un Plagionotus bobelayei..... :? :hi: :birra:

_________________
Tc70


Top
profilo
MessaggioInviato: 13/06/2011, 10:59 
Avatar utente

Iscritto il: 21/05/2009, 14:59
Messaggi: 6994
Località: Parigi
Nome: Riccardo Poloni
A mio parere Plagionotus floralis, ma è meglio aspettare una conferma di Gianfranco :D :)

_________________
Riccardo Poloni
La dignità degli elementi
la libertà della poesia,
al di là dei tradimenti degli uomini
è magia, è magia, è magia...
Negrita, Rotolando verso sud


Top
profilo
MessaggioInviato: 13/06/2011, 11:15 
Avatar utente

Iscritto il: 09/06/2009, 13:19
Messaggi: 1229
Località: Modena
Nome: Omar Pacchioni
Osservando alcune immagini sul Web, il disegno elitreale di tale bestiolina assomiglia effettivamente tanto a quello di Plagionotus bobelayei
ciao

_________________
..OOOO.......OOO.....OO......OOO......OOOO
OO.....OO....OO..O.O..O....OO....O....OO....O
OO.....OO....OO....O...O....OOOOO....OOOO
..OOOO.......OO.........O....OO....O....OO....O


Top
profilo
MessaggioInviato: 24/06/2011, 11:42 
Avatar utente

Iscritto il: 21/05/2009, 14:59
Messaggi: 6994
Località: Parigi
Nome: Riccardo Poloni
Riguardandolo non ho dubbi sul bobelayei, e non riesco a capire come ho fatto a dire che è un floralis :? , forse ero appena sveglio :gh: . Direi che si può accendere, visto che in Turchia di simili non ce ne dovrebbero essere

_________________
Riccardo Poloni
La dignità degli elementi
la libertà della poesia,
al di là dei tradimenti degli uomini
è magia, è magia, è magia...
Negrita, Rotolando verso sud


Top
profilo
MessaggioInviato: 24/06/2011, 11:43 
Avatar utente

Iscritto il: 05/09/2009, 7:56
Messaggi: 3445
Località: Cesena
Nome: Gianfranco Sama
:ok:

_________________
Gianfranco Sama

"Benedetto colui che ti aiuta a correggere i tuoi errori invece di scagliarteli contro"
___________________________________
Gershom Sholem


Top
profilo
Visualizza ultimi messaggi:  Ordina per  
nuovo argomento
rispondi
Pagina 1 di 1 [ 7 messaggi ]

Tutti gli orari sono UTC + 1 ora [ ora legale ]


Chi c’è in linea

Visitano il forum: Nessuno e 1 ospite


Non puoi aprire nuovi argomenti
Non puoi rispondere negli argomenti
Non puoi modificare i tuoi messaggi
Non puoi cancellare i tuoi messaggi
Non puoi inviare allegati

Cerca per:
Vai a: