Benvenuto Ospite

Forum Entomologi Italiani

www.entomologiitaliani.net/forum
 
Oggi è 06/10/2025, 14:21

Tutti gli orari sono UTC + 1 ora [ ora legale ]

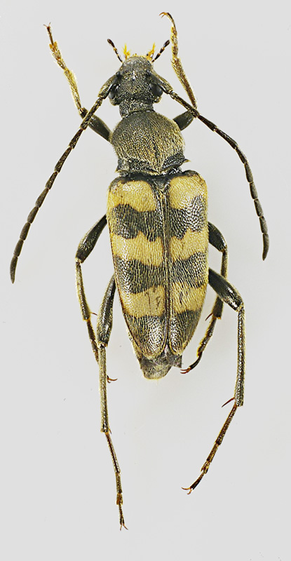
Pachytodes erraticus erraticus (Dalman, 1817) Dettagli della specie

26.VI.2011 - ITALIA - Umbria - PG, Umbertide 600 m slm


nuovo argomento
rispondi
Pagina 1 di 1 [ 2 messaggi ]
Autore Messaggio
MessaggioInviato: 27/06/2011, 19:42 
 

Iscritto il: 02/02/2011, 11:51
Messaggi: 275
Località: Magione (PG)
Nome: ilio rocchi
insieme agli altri

10 mm
Pachytodes erraticus erraticus (Dalman 1817) - Cerambycidae 2.jpg


_________________
_____________________
ilio rocchi


Top
profilo
MessaggioInviato: 27/06/2011, 20:06 
Avatar utente

Iscritto il: 16/05/2010, 14:26
Messaggi: 761
Località: United Kingdom
Nome: Zdenko Lucbauer
:ok:


Top
profilo
Visualizza ultimi messaggi:  Ordina per  
nuovo argomento
rispondi
Pagina 1 di 1 [ 2 messaggi ]

Tutti gli orari sono UTC + 1 ora [ ora legale ]


Chi c’è in linea

Visitano il forum: Nessuno e 12 ospiti


Non puoi aprire nuovi argomenti
Non puoi rispondere negli argomenti
Non puoi modificare i tuoi messaggi
Non puoi cancellare i tuoi messaggi
Non puoi inviare allegati

Cerca per:
Vai a: