Benvenuto Ospite

Forum Entomologi Italiani

www.entomologiitaliani.net/forum
 
Oggi è 06/10/2025, 12:26

Tutti gli orari sono UTC + 1 ora [ ora legale ]

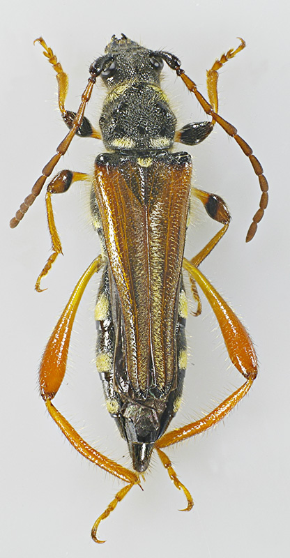
Stenopterus rufus rufus (Linnaeus, 1767) Dettagli della specie

26.VI.2011 - ITALIA - Umbria - PG, Umbertide 600 m slm


nuovo argomento
rispondi
Pagina 1 di 1 [ 2 messaggi ]
Autore Messaggio
MessaggioInviato: 27/06/2011, 19:40 
 

Iscritto il: 02/02/2011, 11:51
Messaggi: 275
Località: Magione (PG)
Nome: ilio rocchi
questo inve mi sembra Stenopterus rufus (Linnaeus, 1767)

12 mm
Stenopterus rufus (Linnaeus, 1767) - Cerambycidae.jpg


_________________
_____________________
ilio rocchi


Top
profilo
MessaggioInviato: 27/06/2011, 20:07 
Avatar utente

Iscritto il: 16/05/2010, 14:26
Messaggi: 761
Località: United Kingdom
Nome: Zdenko Lucbauer
:ok:


Top
profilo
Visualizza ultimi messaggi:  Ordina per  
nuovo argomento
rispondi
Pagina 1 di 1 [ 2 messaggi ]

Tutti gli orari sono UTC + 1 ora [ ora legale ]


Chi c’è in linea

Visitano il forum: Nessuno e 5 ospiti


Non puoi aprire nuovi argomenti
Non puoi rispondere negli argomenti
Non puoi modificare i tuoi messaggi
Non puoi cancellare i tuoi messaggi
Non puoi inviare allegati

Cerca per:
Vai a: