Benvenuto Ospite

Forum Entomologi Italiani

www.entomologiitaliani.net/forum
 
Oggi è 09/11/2025, 16:24

Tutti gli orari sono UTC + 1 ora [ ora legale ]

Bolivarita oculata Escalera, 1914 - Cerambycidae Obriini

16.VIII.2011 - MAROCCO - EE, Agadir dintorni


nuovo argomento
rispondi
Vai alla pagina 1, 2  Prossimo
Pagina 1 di 2 [ 16 messaggi ]
Autore Messaggio
MessaggioInviato: 17/08/2011, 15:26 
Avatar utente

Iscritto il: 05/09/2009, 7:56
Messaggi: 3445
Località: Cesena
Nome: Gianfranco Sama
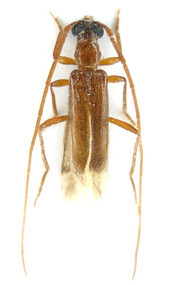
Bolivarita oculata Escalera, 1914
Endemismo marocchino, una delle più grandi rarità fra i Cerambycidae della fauna paleartica.

L'esemplare raffigurato, una femmina, è sfarfallato ieri (quasi un regalo di compleanno) da un rametto morto di Argania spinosa (L.) Skeels di cui è parassita specifico. Tanto l'insetto, quanto la sua pianta ospite sono endemismi del Marocco ed abitano la regione attorno ad Agadir, dalle pendici sud occidentali dell'Alto Atlante al versante nord occidentale dell'Anti Atlante.
Suoi parenti prossimi abitano il deserto del Negev in Israele (Pseudobolivarita negevensis Sama & Orbach, 2003) e l’Africa meridionale.
Sfarfalla a fine estate ed è soggetto a fototropismo positivo.
Bolivarita oculata_female_001-bis.jpg

Bolivarita oculata_female_019.jpg

Bolivarita oculata_female_Agadir_031.jpg

Bolivarita oculata_female_Agadir_045.jpg


_________________
Gianfranco Sama

"Benedetto colui che ti aiuta a correggere i tuoi errori invece di scagliarteli contro"
___________________________________
Gershom Sholem


Top
profilo
MessaggioInviato: 17/08/2011, 15:56 
Avatar utente

Iscritto il: 08/07/2010, 10:53
Messaggi: 3171
Località: Matera
Nome: Domenico Cardinale
Grazie Gianfranco per le foto e le interessanti notizie! :)

_________________
Saluti :hi: Mimmo


Top
profilo
MessaggioInviato: 17/08/2011, 19:33 
Avatar utente

Iscritto il: 22/12/2009, 13:31
Messaggi: 9646
Località: Napoli
Nome: Francesco Izzillo
Isotomus ha scritto:
Bolivarita oculata Escalera, 1914
Endemismo marocchino, una delle più grandi rarità fra i Cerambycidae della fauna paleartica.

L'esemplare raffigurato, una femmina, è sfarfallato ieri (quasi un regalo di compleanno) da un rametto morto di Argania spinosa (L.) Skeels di cui è parassita specifico. Tanto l'insetto, quanto la sua pianta ospite sono endemismi del Marocco ed abitano la regione attorno ad Agadir, dalle pendici sud occidentali dell'Alto Atlante al versante nord occidentale dell'Anti Atlante.
Suoi parenti prossimi abitano il deserto del Negev in Israele (Pseudobolivarita negevensis Sama & Orbach, 2003) e l’Africa meridionale.
Sfarfalla a fine estate ed è soggetto a fototropismo positivo.
Bolivarita oculata_female_001-bis.jpg
Bolivarita oculata_female_019.jpg
Bolivarita oculata_female_Agadir_031.jpg
Bolivarita oculata_female_Agadir_045.jpg

...e allora DOPPI AUGURI!

_________________
Francesco Izzillo


Top
profilo
MessaggioInviato: 17/08/2011, 22:08 
Avatar utente

Iscritto il: 23/06/2010, 11:11
Messaggi: 2784
Località: Cagliari
Nome: Gianpaolo Ruzzante
Sembra molto piccino ....


Top
profilo
MessaggioInviato: 17/08/2011, 23:15 
Avatar utente

Iscritto il: 06/02/2009, 9:07
Messaggi: 1706
Località: W-Mediterraneo
Nome: Davide Badano
La regione di Agadir si conferma sempre paradiso entomologico ricco di specie interessanti :), noi abbiamo in descrizione una specie "equivalente" a questa...
Questi endemismi sono probabilmente dovuti al fatto che si tratta di un area di passaggio tra il W-Paleartico e l'Afrotropicale.

:hi:


Top
profilo
MessaggioInviato: 17/08/2011, 23:22 
Avatar utente

Iscritto il: 21/02/2011, 15:25
Messaggi: 3877
Località: Montecchio Emilia (RE)
Nome: Violi Michele
:o :shock: Bello! Adesso mi segno sull'agenda dei prossimi anni: Cacce entomolgiche a Agadir (Marocco). :D

_________________
Michele :D


Top
profilo
MessaggioInviato: 17/08/2011, 23:37 
Avatar utente

Iscritto il: 18/06/2010, 0:03
Messaggi: 1214
Località: Predore ( BG)
Nome: Claudio Deiaco
Complimentoni Gianfranco e tanti auguri !! :birra:

_________________
Claudio Deiaco
_____________________________________


Top
profilo
MessaggioInviato: 18/08/2011, 8:44 
Avatar utente

Iscritto il: 05/09/2009, 7:56
Messaggi: 3445
Località: Cesena
Nome: Gianfranco Sama
In effetti ho dimenticato di indicare le dimensioni. 7 - 9 mm. La specie è relativamente piccola, ma soprattutto di colore quasi diafano ed estremamente mimetica, il che rende difficile (almeno con i miei mezzi, una piccola, ma validissima Olympus PS 320) soprattutto le foto in natura. Oltretutto si muove velocemente e freneticamente (non sta ferma un attimo) (solo con molta pazienza ho potuto approfittare di un paio di minuti di quiete), "odia" la luce (di giorno; di notte ne è attirata) e si riempie di polvere. Si sviluppa nei rametti secchi di Argania spinosa attaccati alle piante vive o caduti a terra perché urtati dalle capre che si arrampicano sulle piante per mangiare i frutti (simili alle olive) dell'Argania. Chi è stato in quella regione le avrà viste certamente (se non altro nelle cartoline illustrate). E' estremamente raro (non si vedono) trovare in allevamento esemplari vivi ed integri. Normalmente si trovano esemplari morti e mutilati. Assieme a questa femmina c'erano i resti di un paio di maschi morti.
Grazie a tutti per gli auguri :mrgreen:

_________________
Gianfranco Sama

"Benedetto colui che ti aiuta a correggere i tuoi errori invece di scagliarteli contro"
___________________________________
Gershom Sholem


Top
profilo
MessaggioInviato: 18/08/2011, 8:49 
Avatar utente

Iscritto il: 05/09/2009, 7:56
Messaggi: 3445
Località: Cesena
Nome: Gianfranco Sama
Dilar ha scritto:
La regione di Agadir si conferma sempre paradiso entomologico ricco di specie interessanti :), noi abbiamo in descrizione una specie "equivalente" a questa...
Questi endemismi sono probabilmente dovuti al fatto che si tratta di un area di passaggio tra il W-Paleartico e l'Afrotropicale. :hi:


Nella stessa regione si trovano altre belle specie: Crossotus tubericollis (specie africana che risale fino al Marocco meridionale dove si sviluppa su Acacia gummifera (specie endemica del Marocco), Nathrius berlandi (endemica di questa zona), Derolus mauritanicus, 2 specie di Trichoferus endemici del Marocco, Tetropiopsis numidica (anch'essa endemica, ma dell'Africa settentrionale), Agapanthia zappii (endemica), ecc. ecc.

_________________
Gianfranco Sama

"Benedetto colui che ti aiuta a correggere i tuoi errori invece di scagliarteli contro"
___________________________________
Gershom Sholem


Top
profilo
MessaggioInviato: 18/08/2011, 12:50 
Avatar utente

Iscritto il: 18/09/2009, 17:23
Messaggi: 217
Località: Czech rep.
Nome: Jan Hrbek
E isole di Capo Verde? Regione paleartica, o non più? Vi sono raccolti alcuni insetti?

_________________
Cerambycidae of Western palearctic region
http://www.cerambycidae-hrbek.cz


Top
profilo
MessaggioInviato: 18/08/2011, 13:09 
Avatar utente

Iscritto il: 25/11/2009, 9:31
Messaggi: 8157
Località: Lecce
Nome: Maurizio Bollino
Trichoferus ha scritto:
E isole di Capo Verde? Regione paleartica, o non più? Vi sono raccolti alcuni insetti?


Se ricordo bene (vado a memoria...), le isole di Capo Verde sono considerate parte della regione afrotropicale, e non sono mai state incluse nella regione paleartica.

_________________
Maurizio Bollino


Top
profilo
MessaggioInviato: 18/08/2011, 13:41 
Avatar utente

Iscritto il: 05/08/2009, 18:02
Messaggi: 2264
Nome: Marcello Benelli
Isotomus ha scritto:
Grazie a tutti per gli auguri :mrgreen:


mi associo agli auguri!
:birra:

_________________
Marci
"S'i fosse fuoco, arderei 'l mondo,
S'i fosse vento, lo tempesterei,
S'i fosse acqua, i' l'annegherei
s'i fosse dio, mandereil' en profondo" ( Cecco Angiolieri).


Top
profilo
MessaggioInviato: 18/08/2011, 13:55 
Avatar utente

Iscritto il: 06/02/2009, 9:07
Messaggi: 1706
Località: W-Mediterraneo
Nome: Davide Badano
Isotomus ha scritto:
Dilar ha scritto:
La regione di Agadir si conferma sempre paradiso entomologico ricco di specie interessanti :), noi abbiamo in descrizione una specie "equivalente" a questa...
Questi endemismi sono probabilmente dovuti al fatto che si tratta di un area di passaggio tra il W-Paleartico e l'Afrotropicale. :hi:


Nella stessa regione si trovano altre belle specie: Crossotus tubericollis (specie africana che risale fino al Marocco meridionale dove si sviluppa su Acacia gummifera (specie endemica del Marocco), Nathrius berlandi (endemica di questa zona), Derolus mauritanicus, 2 specie di Trichoferus endemici del Marocco, Tetropiopsis numidica (anch'essa endemica, ma dell'Africa settentrionale), Agapanthia zappii (endemica), ecc. ecc.


Per i Neurotteri é proprio la stessa cosa!


Top
profilo
MessaggioInviato: 18/08/2011, 14:34 
Avatar utente

Iscritto il: 05/09/2009, 7:56
Messaggi: 3445
Località: Cesena
Nome: Gianfranco Sama
Le Isole capoboverdiane sono fuori dalla regione paleartica :mrgreen: Ma c'è un solo Cerambicide autoctono.

_________________
Gianfranco Sama

"Benedetto colui che ti aiuta a correggere i tuoi errori invece di scagliarteli contro"
___________________________________
Gershom Sholem


Top
profilo
MessaggioInviato: 18/08/2011, 17:21 
Avatar utente

Iscritto il: 05/09/2009, 7:56
Messaggi: 3445
Località: Cesena
Nome: Gianfranco Sama
Ed ecco il maschio, recuperato fortunosamente intatto fra i cadaveri in fondo al vaso.
Bolivarita oculata male 005_bis.jpg


_________________
Gianfranco Sama

"Benedetto colui che ti aiuta a correggere i tuoi errori invece di scagliarteli contro"
___________________________________
Gershom Sholem


Top
profilo
Visualizza ultimi messaggi:  Ordina per  
nuovo argomento
rispondi
Vai alla pagina 1, 2  Prossimo
Pagina 1 di 2 [ 16 messaggi ]

Tutti gli orari sono UTC + 1 ora [ ora legale ]


Chi c’è in linea

Visitano il forum: Nessuno e 2 ospiti


Non puoi aprire nuovi argomenti
Non puoi rispondere negli argomenti
Non puoi modificare i tuoi messaggi
Non puoi cancellare i tuoi messaggi
Non puoi inviare allegati

Cerca per:
Vai a: