Benvenuto Ospite

Forum Entomologi Italiani

www.entomologiitaliani.net/forum
 
Oggi è 06/10/2025, 17:42

Tutti gli orari sono UTC + 1 ora [ ora legale ]

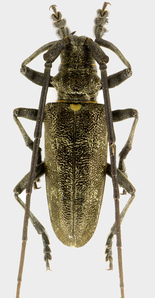
Monochamus sartor (Fabricius, 1787) Dettagli della specie

VII.2011 - ITALIA - Veneto - BL, Lamon: Le Ei


nuovo argomento
rispondi
Pagina 1 di 1 [ 6 messaggi ]
Autore Messaggio
MessaggioInviato: 14/08/2011, 16:21 
Avatar utente

Iscritto il: 08/06/2009, 0:06
Messaggi: 3415
Località: Feltre(BL)
Nome: Nicola Dal Zotto
Visto che sto facendo delle prove fotografiche, anche se l'immagine non è per nulla ben riuscita, posto questa bestiola.
credo sia lui, ma conferma è sempre ben accetta.
mono1.jpg


mono2.jpg


_________________
Nicola Dal Zotto


Top
profilo
MessaggioInviato: 14/08/2011, 17:07 
Avatar utente

Iscritto il: 30/12/2009, 22:20
Messaggi: 31564
Località: Roma
Nome: Maurizio Gigli
Nicola, le tue foto sono in genere tra le migliori tra quelle degli "umani", escludendo quei tre o quattro che riescono a fare foto superlative.
L'unico difetto che riscontro di solito è dovuto al modo in cui rendi grigio lo sfondo. Non so che sistema usi, ma di solito colorando in grigio ti mangi i contorni dell'insetto (peli, parti chiare sul bordo, ecc.). Dovresti trovare un sistema migliore per questo, o magari semplicemente modificare le impostazioni degli strumenti che usi. In compenso nella prima di queste due immagini c'è il difetto opposto, ovvero parte dello sfondo è rimasto chiaro (intorno all'antenna sinistra).
Avevo anche io lo stesso problema, che in genere risolvo in due modi diversi:
1 - usando lo strumento riempimento, ma impostato in modo che cambi solo il colore delle zone adiacenti più chiare del colore di sostituzione (in pratica, più chiare del colore RGB 236-236-236, ovvero il solito ECECEC). Prima di usare il riempimento, schiarisco lo sfondo usando i livelli. Se resta qualche ombra un po' più scura intorno all'insetto, non è un grosso problema.
2 - sempre dopo la regolazione dei livelli per sbiancare lo sfondo, uso la funzione per abbassare i valori di ogni singolo pixel in modo che non superi 236-236-236. Il risultato è che lo sfondo chiaro diventa grigio (ha il vantaggio che le parti chiare si modificano in un colpo solo anche se non adiacenti. Con Faststone la soglia si può modificare direttamente dalla funzione modifica livelli, con un unico comando. Il difetto è che se l'insetto ha parti bianche, diventano anch'esse di colore grigio, ma per evitarlo basta deselezionare le parti che si vuole lasciare invariate, anche grossolanamente.

_________________
Maurizio Gigli
http://utenti.romascuola.net/bups
http://bup.xoom.it/


Top
profilo
MessaggioInviato: 14/08/2011, 17:34 
Avatar utente

Iscritto il: 08/06/2009, 0:06
Messaggi: 3415
Località: Feltre(BL)
Nome: Nicola Dal Zotto
Julodis ha scritto:
Nicola, le tue foto sono in genere tra le migliori tra quelle degli "umani", escludendo quei tre o quattro che riescono a fare foto superlative.

Grazie :D :oops: :oops: :oops: :oops: :oops:

Cita:
L'unico difetto che riscontro di solito è dovuto al modo in cui rendi grigio lo sfondo. Non so che sistema usi, ma di solito colorando in grigio ti mangi i contorni dell'insetto (peli, parti chiare sul bordo, ecc.). Dovresti trovare un sistema migliore per questo, o magari semplicemente modificare le impostazioni degli strumenti che usi. In compenso nella prima di queste due immagini c'è il difetto opposto, ovvero parte dello sfondo è rimasto chiaro (intorno all'antenna sinistra).
Avevo anche io lo stesso problema, che in genere risolvo in due modi diversi:
1 - usando lo strumento riempimento, ma impostato in modo che cambi solo il colore delle zone adiacenti più chiare del colore di sostituzione (in pratica, più chiare del colore RGB 236-236-236, ovvero il solito ECECEC). Prima di usare il riempimento, schiarisco lo sfondo usando i livelli. Se resta qualche ombra un po' più scura intorno all'insetto, non è un grosso problema.
2 - sempre dopo la regolazione dei livelli per sbiancare lo sfondo, uso la funzione per abbassare i valori di ogni singolo pixel in modo che non superi 236-236-236. Il risultato è che lo sfondo chiaro diventa grigio (ha il vantaggio che le parti chiare si modificano in un colpo solo anche se non adiacenti. Con Faststone la soglia si può modificare direttamente dalla funzione modifica livelli, con un unico comando. Il difetto è che se l'insetto ha parti bianche, diventano anch'esse di colore grigio, ma per evitarlo basta deselezionare le parti che si vuole lasciare invariate, anche grossolanamente.

Grazie mille dei consigli, ho fatto una prova veloce per metterli in pratica! Non conoscevo la funzione selettiva per il riempimento e devo dire che è fantastica!!!! Grazie!!!! Ecco le prove, che ne dici?
mono1.jpg


mono2.jpg


_________________
Nicola Dal Zotto


Top
profilo
MessaggioInviato: 14/08/2011, 17:51 
Avatar utente

Iscritto il: 09/11/2010, 19:52
Messaggi: 4518
Località: Brescia
Nome: Luca Bodei
Comunque...è lui :ok: :hi: :birra:

_________________
Tc70


Top
profilo
MessaggioInviato: 15/08/2011, 1:05 
Avatar utente

Iscritto il: 30/12/2009, 22:20
Messaggi: 31564
Località: Roma
Nome: Maurizio Gigli
Maw89 ha scritto:
Grazie mille dei consigli, ho fatto una prova veloce per metterli in pratica! Non conoscevo la funzione selettiva per il riempimento e devo dire che è fantastica!!!! Grazie!!!! Ecco le prove, che ne dici?

Che ora i contorni dell'immagine (guarda soprattutto i tarsi) hanno perso quell'aspetto "ritagliato" che avevano prima. :ok:

_________________
Maurizio Gigli
http://utenti.romascuola.net/bups
http://bup.xoom.it/


Top
profilo
MessaggioInviato: 15/08/2011, 10:06 
Avatar utente

Iscritto il: 05/09/2009, 7:56
Messaggi: 3445
Località: Cesena
Nome: Gianfranco Sama
Scusa Maurizio, spiega agli ignoranti
"uso la funzione per abbassare i valori di ogni singolo pixel" - quale funzione in Fotoshop CS2 ?

_________________
Gianfranco Sama

"Benedetto colui che ti aiuta a correggere i tuoi errori invece di scagliarteli contro"
___________________________________
Gershom Sholem


Top
profilo
Visualizza ultimi messaggi:  Ordina per  
nuovo argomento
rispondi
Pagina 1 di 1 [ 6 messaggi ]

Tutti gli orari sono UTC + 1 ora [ ora legale ]


Chi c’è in linea

Visitano il forum: Nessuno e 4 ospiti


Non puoi aprire nuovi argomenti
Non puoi rispondere negli argomenti
Non puoi modificare i tuoi messaggi
Non puoi cancellare i tuoi messaggi
Non puoi inviare allegati

Cerca per:
Vai a: