Benvenuto Ospite

Forum Entomologi Italiani

www.entomologiitaliani.net/forum
 
Oggi è 09/11/2025, 7:23

Tutti gli orari sono UTC + 1 ora [ ora legale ]

Vesperus luridus (Rossi, 1794) Dettagli della specie

5.IX.2011 - ITALIA - Abruzzo - PE, Serramonacesca


nuovo argomento
rispondi
Pagina 1 di 1 [ 6 messaggi ]
Autore Messaggio
MessaggioInviato: 28/09/2011, 13:21 
Avatar utente

Iscritto il: 23/06/2010, 19:05
Messaggi: 2588
Località: Pescara
Nome: Alessio Morelli
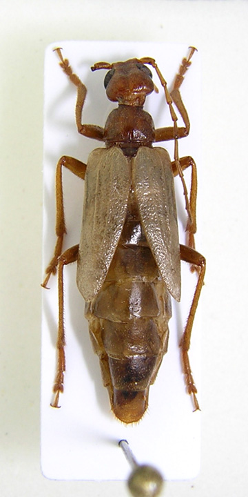
Maschio attratto da luce artificiale, durante una lampadata notturna (una serata quasi perefetta :mrgreen: ). La femmina trovata li vicino da un mio amico mentre si arrampicava tranquillamente su di un rametto secco.
Si tratta del luridus?
:hi:

Lunghezza: 14 mm
vesperus_m.jpg


Lunghezza: 20 mm
vesperus_f.jpg



Top
profilo
MessaggioInviato: 28/09/2011, 13:58 
Avatar utente

Iscritto il: 02/10/2009, 17:40
Messaggi: 924
Località: Osimo
Nome: Alberto Strocchi
Così ... tanto per sapere ...
Sono due disegni o due foto?
Alberto


Top
profilo
MessaggioInviato: 28/09/2011, 14:11 
Avatar utente

Iscritto il: 21/02/2011, 15:25
Messaggi: 3877
Località: Montecchio Emilia (RE)
Nome: Violi Michele
dorbodervus ha scritto:
Così ... tanto per sapere ...
Sono due disegni o due foto?
Alberto
Troppo brutti per essere dei disegni di Alessio... sono foto :gh:

_________________
Michele :D


Top
profilo
MessaggioInviato: 28/09/2011, 14:38 
Avatar utente

Iscritto il: 02/10/2009, 17:40
Messaggi: 924
Località: Osimo
Nome: Alberto Strocchi
D'accordo!!!
Ma potrebbe averli fatti al lume della lampada, nel tempo trascorso tra una cattura e l'altra.
Alberto


Top
profilo
MessaggioInviato: 28/09/2011, 15:17 
Avatar utente

Iscritto il: 05/09/2009, 7:56
Messaggi: 3445
Località: Cesena
Nome: Gianfranco Sama
Alessio89 ha scritto:
Maschio attratto da luce artificiale, durante una lampadata notturna (una serata quasi perefetta :mrgreen: ). La femmina trovata li vicino da un mio amico mentre si arrampicava tranquillamente su di un rametto secco.
Si tratta del luridus?
:hi:
Lunghezza: 14 mm
vesperus_m.jpg

Lunghezza: 20 mm
vesperus_f.jpg

:ok:
Alessio, non per essere pedante, ma vedi di trovarne un'altra coppia. Per quel che ne so non è che ne siano note centinaia di Abruzzo. :lov2:

_________________
Gianfranco Sama

"Benedetto colui che ti aiuta a correggere i tuoi errori invece di scagliarteli contro"
___________________________________
Gershom Sholem


Top
profilo
MessaggioInviato: 28/09/2011, 22:39 
Avatar utente

Iscritto il: 23/06/2010, 19:05
Messaggi: 2588
Località: Pescara
Nome: Alessio Morelli
dorbodervus ha scritto:
D'accordo!!!
Ma potrebbe averli fatti al lume della lampada, nel tempo trascorso tra una cattura e l'altra.
Alberto

:lol1: :lol1:
Isotomus ha scritto:
Alessio, non per essere pedante, ma vedi di trovarne un'altra coppia. Per quel che ne so non è che ne siano note centinaia di Abruzzo. :lov2:

Ganfranco io provo, ma gli insetti ne trovo sempre contati :oops: ... gia è tanto che sono riuscito a trovare questi :mrgreen: . La luna non è stata favorevole nelle giornate seguenti, e il tempo non è stato d'aiuto... quindi vedrò o ad Ottobre (se non sono gia morti tutti e se riesco ad organizzare l'ennesima trappolata) oppure il prossimo anno. Ti tengo presente :ok:
:hi:


Top
profilo
Visualizza ultimi messaggi:  Ordina per  
nuovo argomento
rispondi
Pagina 1 di 1 [ 6 messaggi ]

Tutti gli orari sono UTC + 1 ora [ ora legale ]


Chi c’è in linea

Visitano il forum: Nessuno e 1 ospite


Non puoi aprire nuovi argomenti
Non puoi rispondere negli argomenti
Non puoi modificare i tuoi messaggi
Non puoi cancellare i tuoi messaggi
Non puoi inviare allegati

Cerca per:
Vai a:  
cron