Benvenuto Ospite

Forum Entomologi Italiani

www.entomologiitaliani.net/forum
 
Oggi è 09/11/2025, 6:59

Tutti gli orari sono UTC + 1 ora [ ora legale ]

Parmena pubescens pubescens (Dalman, 1817) Dettagli della specie

27.VII.2011 - ITALIA - Sicilia - PA, Addaura - M.Pellegrino


nuovo argomento
rispondi
Pagina 1 di 1 [ 7 messaggi ]
Autore Messaggio
MessaggioInviato: 24/10/2011, 17:57 
Avatar utente

Iscritto il: 01/06/2011, 11:43
Messaggi: 292
Località: Palermo
Nome: Lello Brancato
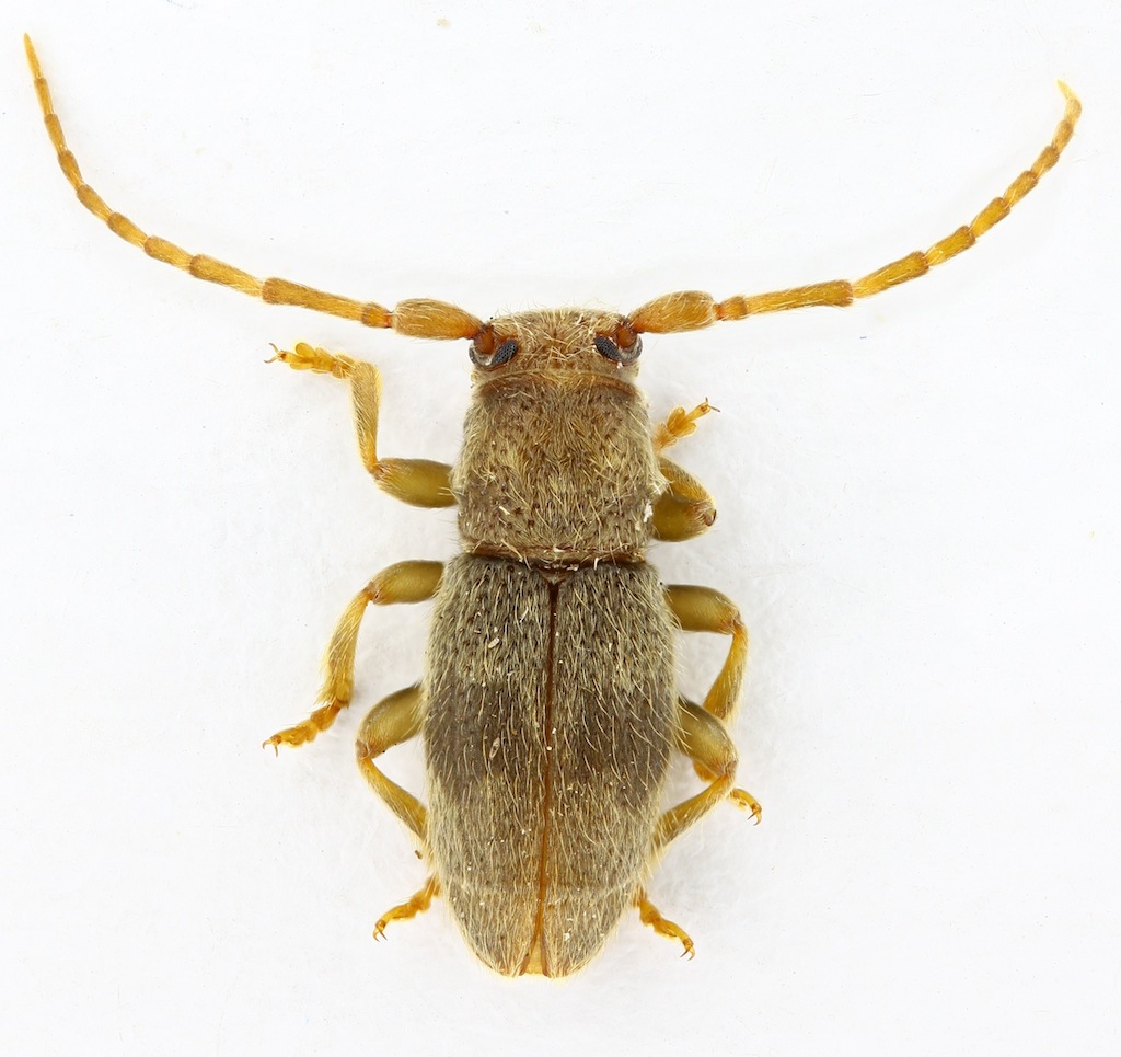
Ieri controllando le scatole dei legni ho trovato quattro Parmena pubescens da tronchetti di Ferula raccolti il 27 luglio scorso.
Lello


Focus Result 73 (B, 8, 4).jpg

Focus Result 74 (B, 8, 4).jpg

Focus Result 75 (B, 8, 4).jpg

Focus Result 76 (B, 8, 4).jpg


_________________
....ed era tutta vela la navicella dell'ingegno mio.
Top
profilo
 Oggetto del messaggio: Re: Parmena pubescens (Dalman, 1817)
MessaggioInviato: 24/10/2011, 18:28 
Avatar utente

Iscritto il: 18/09/2009, 17:23
Messaggi: 217
Località: Czech rep.
Nome: Jan Hrbek
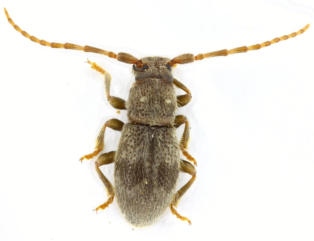
Confermo Parmena pubescens ssp. pubescens (Dalman, 1817). Gli ho anche allevato della Sicilia dallo stelo secco di Ferula.


Parmena_pubescens_pubescens.JPG


_________________
Cerambycidae of Western palearctic region
http://www.cerambycidae-hrbek.cz
Top
profilo
 Oggetto del messaggio: Re: Parmena pubescens (Dalman, 1817)
MessaggioInviato: 26/10/2011, 8:26 
Avatar utente

Iscritto il: 05/08/2009, 18:02
Messaggi: 2264
Nome: Marcello Benelli
mi associo al club degli allevatori di parmena pubescens pubescens dai fusti di ferula siciliani!!! :birra:

_________________
Marci
"S'i fosse fuoco, arderei 'l mondo,
S'i fosse vento, lo tempesterei,
S'i fosse acqua, i' l'annegherei
s'i fosse dio, mandereil' en profondo" ( Cecco Angiolieri).


Top
profilo
 Oggetto del messaggio: Re: Parmena pubescens (Dalman, 1817)
MessaggioInviato: 26/10/2011, 13:56 
Avatar utente

Iscritto il: 01/06/2011, 11:43
Messaggi: 292
Località: Palermo
Nome: Lello Brancato
Entomarci ha scritto:
mi associo al club degli allevatori di parmena pubescens pubescens dai fusti di ferula siciliani!!! :birra:


:lol: :lol: :lol:

_________________
....ed era tutta vela la navicella dell'ingegno mio.


Top
profilo
 Oggetto del messaggio: Re: Parmena pubescens (Dalman, 1817)
MessaggioInviato: 26/10/2011, 18:03 
Avatar utente

Iscritto il: 18/06/2010, 0:03
Messaggi: 1214
Località: Predore ( BG)
Nome: Claudio Deiaco
Entomarci ha scritto:
mi associo al club degli allevatori di parmena pubescens pubescens dai fusti di ferula siciliani!!! :birra:

Il bello di questi allevamenti, sia di ferula che di ficus, è che continuano a sfarfallare. Dai rametti raccolti tra febraio e aprile di quest'anno, ne escono ancora adesso. Una volta alla settimana controllo e raccolgo 2-3 esemplari. :mrgreen:

_________________
Claudio Deiaco
_____________________________________


Top
profilo
 Oggetto del messaggio: Re: Parmena pubescens (Dalman, 1817)
MessaggioInviato: 26/10/2011, 19:34 
Avatar utente

Iscritto il: 01/06/2011, 11:43
Messaggi: 292
Località: Palermo
Nome: Lello Brancato
Pippistrello ha scritto:
Entomarci ha scritto:
mi associo al club degli allevatori di parmena pubescens pubescens dai fusti di ferula siciliani!!! :birra:

Il bello di questi allevamenti, sia di ferula che di ficus, è che continuano a sfarfallare. Dai rametti raccolti tra febraio e aprile di quest'anno, ne escono ancora adesso. Una volta alla settimana controllo e raccolgo 2-3 esemplari. :mrgreen:


E' vero, sono una fonte inesauribile !
Secondo me quelle che vanno nascendo si accoppiano e depongono nuove uova e il ciclo continua all'infinito....
:lol:

_________________
....ed era tutta vela la navicella dell'ingegno mio.


Top
profilo
 Oggetto del messaggio: Re: Parmena pubescens (Dalman, 1817)
MessaggioInviato: 27/10/2011, 13:57 
Avatar utente

Iscritto il: 05/08/2009, 18:02
Messaggi: 2264
Nome: Marcello Benelli
Caliddo ha scritto:
Pippistrello ha scritto:
Entomarci ha scritto:
mi associo al club degli allevatori di parmena pubescens pubescens dai fusti di ferula siciliani!!! :birra:

Il bello di questi allevamenti, sia di ferula che di ficus, è che continuano a sfarfallare. Dai rametti raccolti tra febraio e aprile di quest'anno, ne escono ancora adesso. Una volta alla settimana controllo e raccolgo 2-3 esemplari. :mrgreen:


E' vero, sono una fonte inesauribile !
Secondo me quelle che vanno nascendo si accoppiano e depongono nuove uova e il ciclo continua all'infinito....
:lol:


E' piuttosto improbabile quest'ultima affermazione. I lamiini necessitano di un periodo trofico per la maturazione sessuale e non si accoppiano come callidiini (che sono i conigli del mondo dei cerambicidi da questo punto di vista...).

_________________
Marci
"S'i fosse fuoco, arderei 'l mondo,
S'i fosse vento, lo tempesterei,
S'i fosse acqua, i' l'annegherei
s'i fosse dio, mandereil' en profondo" ( Cecco Angiolieri).


Top
profilo
Visualizza ultimi messaggi:  Ordina per  
nuovo argomento
rispondi
Pagina 1 di 1 [ 7 messaggi ]

Tutti gli orari sono UTC + 1 ora [ ora legale ]


Chi c’è in linea

Visitano il forum: Google [Bot] e 1 ospite


Non puoi aprire nuovi argomenti
Non puoi rispondere negli argomenti
Non puoi modificare i tuoi messaggi
Non puoi cancellare i tuoi messaggi
Non puoi inviare allegati

Cerca per:
Vai a: