Benvenuto Ospite

Forum Entomologi Italiani

www.entomologiitaliani.net/forum
 
Oggi è 09/11/2025, 15:34

Tutti gli orari sono UTC + 1 ora [ ora legale ]

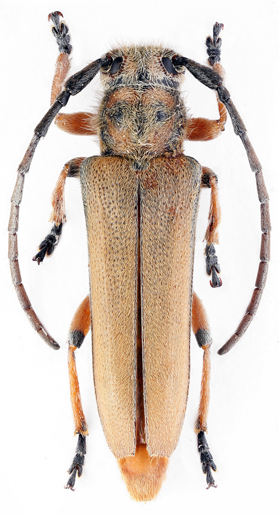
Phytoecia (Musaria) faldermanni Faldermann, 1837 - Cerambycidae

V.2011 - FEDERAZIONE RUSSA - EE, Rostov reg.


nuovo argomento
rispondi
Pagina 1 di 1 [ 5 messaggi ]
Autore Messaggio
MessaggioInviato: 06/11/2011, 19:55 
 

Iscritto il: 11/01/2011, 23:27
Messaggi: 21
Località: Russia
Nome: Denis Kasatkin
Phytoecia (Musaria) faldermanni Faldermann, 1837 - Russia, Rostov reg., Manych steppe, 17 05 2011


faldermani2.jpg

Top
profilo
MessaggioInviato: 06/11/2011, 21:23 
Avatar utente

Iscritto il: 17/02/2009, 0:05
Messaggi: 8521
Località: Isola d'Elba - Arcipelago Toscano
Nome: Leonardo Forbicioni
Splendida bestia!!! :shock:
Grazie Denis per avercela mostrata! :lov2:
:hi:

_________________
"Stay hungry, stay foolish".
Steve Jobs, 2005
___________________
jjuniper8(at)gmail.com
Twitter: @weevil_forbix
cell. 339/5275910
___________________


Top
profilo
MessaggioInviato: 17/12/2011, 12:32 
Avatar utente

Iscritto il: 28/03/2011, 14:46
Messaggi: 634
Località: Cadiz, España
Nome: Antonio Verdugo
Magnífico insecto, precioso ! :hp:

_________________
Antonio Verdugo
https://sites.google.com/site/unentomologoandaluz/


Top
profilo
MessaggioInviato: 18/12/2011, 11:46 
Avatar utente

Iscritto il: 28/07/2010, 11:11
Messaggi: 235
Località: Poland
Nome: Jacek Kurzawa
Interesting species, nice photos, thank You.
I've checked (Breuning, 1951:71) that this form (red coloured elytra and pronotum) was described as var.blessigi Morawitz, 1963.

Phytoecia Blessigi MORAWITZ, 1863, Hor. soc. ent. Ross., Il, p. 172: 1867, Abeille, IV, p. LXXII.
Phytoecia Faldermanni v. Blessigi GANGLBAUER, 1884, Best. Tab., Vm, p. 558.
Phytoecia Faldermanni ab. Blessigi PLAVILTSCHIKOV, 1926, Encycl. Ent., ser. B, II, Col. 1, p. 66.
Phytoecia (Musaria) Faldermanni v. Blessigi PLAVILTSCHIKOV, 1929, Eos, V, pp. 382, 395; 1932, Bol. soc esp. IlisL. Nat., XXXII, p. .321.
Phytoecia (Musaria) Faldermanni ssp. Blessigi PIC, 1933, Bol. soc. esp. Hist. Nat., XXXHI, p. 309.


Denis, have you typical form of Musaria faldermanni or M.faldermanni rosti (with black elytra, last abdominal segment reddish) ?


Top
profilo
MessaggioInviato: 05/01/2012, 13:36 
 

Iscritto il: 11/01/2011, 23:27
Messaggi: 21
Località: Russia
Nome: Denis Kasatkin
Dear Jacek, I have only specimens with reddish elytra. From Southern Russia I saw only this form and this species is rare in my region.


Top
profilo
Visualizza ultimi messaggi:  Ordina per  
nuovo argomento
rispondi
Pagina 1 di 1 [ 5 messaggi ]

Tutti gli orari sono UTC + 1 ora [ ora legale ]


Chi c’è in linea

Visitano il forum: Nessuno e 2 ospiti


Non puoi aprire nuovi argomenti
Non puoi rispondere negli argomenti
Non puoi modificare i tuoi messaggi
Non puoi cancellare i tuoi messaggi
Non puoi inviare allegati

Cerca per:
Vai a: