Benvenuto Ospite

Forum Entomologi Italiani

www.entomologiitaliani.net/forum
 
Oggi è 09/11/2025, 19:10

Tutti gli orari sono UTC + 1 ora [ ora legale ]

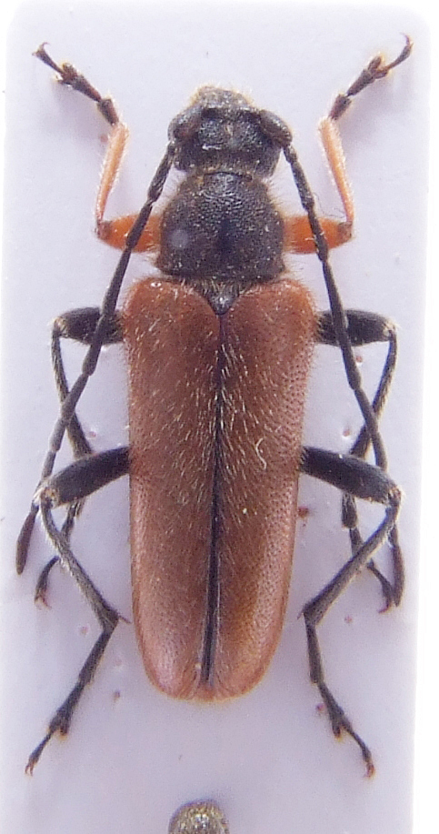
Cortodera syriaca Pic, 1901 - Cerambycidae

21.V.2011 - TURCHIA - EE, near Karadut village (Nemrut Dagi National park) on flower (Ranunculus sp.),


nuovo argomento
rispondi
Pagina 1 di 1 [ 2 messaggi ]
Autore Messaggio
MessaggioInviato: 30/12/2011, 14:15 
Avatar utente

Iscritto il: 13/12/2011, 11:27
Messaggi: 24
Nome: Štěpán Hofmeister
Can anyone please help me with correct determination? I know, it´s difficult in this case, but any suggestions are welcome.


02.JPG

Top
profilo
 Oggetto del messaggio: Re: Cortodera sp.
MessaggioInviato: 30/12/2011, 16:37 
 

Iscritto il: 13/09/2009, 18:04
Messaggi: 881
Nome: Pierpaolo Rapuzzi
This specimen looks to be Cortodera syriaca Pic, 1901.

Pierpaolo


Top
profilo
Visualizza ultimi messaggi:  Ordina per  
nuovo argomento
rispondi
Pagina 1 di 1 [ 2 messaggi ]

Tutti gli orari sono UTC + 1 ora [ ora legale ]


Chi c’è in linea

Visitano il forum: Nessuno e 1 ospite


Non puoi aprire nuovi argomenti
Non puoi rispondere negli argomenti
Non puoi modificare i tuoi messaggi
Non puoi cancellare i tuoi messaggi
Non puoi inviare allegati

Cerca per:
Vai a: