Benvenuto Ospite

Forum Entomologi Italiani

www.entomologiitaliani.net/forum
 
Oggi è 09/11/2025, 11:34

Tutti gli orari sono UTC + 1 ora [ ora legale ]

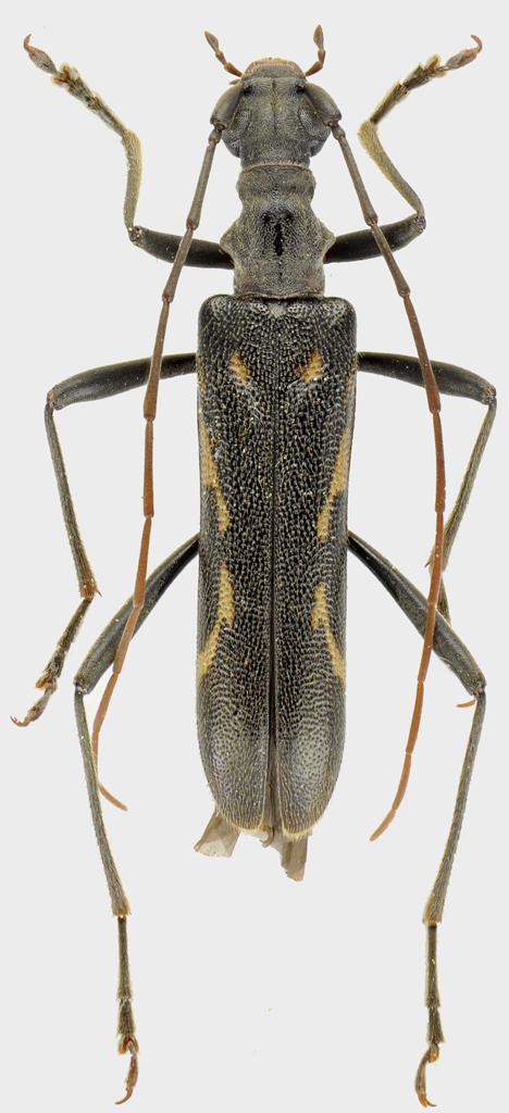
Leptorrhabdium illyricum (Kraatz, 1870) - Cerambycidae

9.VI.2011 - GRECIA - EE, 4-5 km North-West Metsovo (Epiro) - m. 1400


nuovo argomento
rispondi
Vai alla pagina 1, 2  Prossimo
Pagina 1 di 2 [ 16 messaggi ]
Autore Messaggio
MessaggioInviato: 13/03/2012, 14:45 
Avatar utente

Iscritto il: 25/11/2009, 9:31
Messaggi: 8157
Località: Lecce
Nome: Maurizio Bollino
Dovrebbe essere specie nuova per il forum. Catturato ombrellando Crataegus.

Dimensioni: 14 mm.

Leptorhabdium-illyricum.jpg



Top
profilo
MessaggioInviato: 13/03/2012, 14:48 
Avatar utente

Iscritto il: 22/12/2009, 13:31
Messaggi: 9646
Località: Napoli
Nome: Francesco Izzillo
Maurizio Bollino ha scritto:
Dovrebbe essere specie nuova per il forum. Catturato ombrellando Crataegus.

Dimensioni: 14 mm.

Leptorhabdium-illyricum.jpg

CHE BELL'ANIMALE! :p

_________________
Francesco Izzillo


Top
profilo
MessaggioInviato: 13/03/2012, 14:54 
Avatar utente

Iscritto il: 01/07/2010, 22:26
Messaggi: 5650
Località: Viterbo
Nome: Marco Selis
Proprio bella! :o


Top
profilo
MessaggioInviato: 13/03/2012, 16:13 
Avatar utente

Iscritto il: 30/12/2009, 22:20
Messaggi: 31564
Località: Roma
Nome: Maurizio Gigli
Bella specie! Mai trovata. E bella pure la foto.

_________________
Maurizio Gigli
http://utenti.romascuola.net/bups
http://bup.xoom.it/


Top
profilo
MessaggioInviato: 13/03/2012, 17:03 
Avatar utente

Iscritto il: 05/08/2009, 18:02
Messaggi: 2264
Nome: Marcello Benelli
Per curiosita' ne avete trovati tanti?

_________________
Marci
"S'i fosse fuoco, arderei 'l mondo,
S'i fosse vento, lo tempesterei,
S'i fosse acqua, i' l'annegherei
s'i fosse dio, mandereil' en profondo" ( Cecco Angiolieri).


Top
profilo
MessaggioInviato: 13/03/2012, 17:10 
Avatar utente

Iscritto il: 25/11/2009, 9:31
Messaggi: 8157
Località: Lecce
Nome: Maurizio Bollino
Entomarci ha scritto:
Per curiosita' ne avete trovati tanti?


No!!!! Personalmente ho solo questo, e non so se Sandel ne ha altri. Considera però anche che non mi dedicavo espressamente ai Cerambycidae.

_________________
Maurizio Bollino


Top
profilo
MessaggioInviato: 13/03/2012, 17:24 
Avatar utente

Iscritto il: 05/08/2009, 18:02
Messaggi: 2264
Nome: Marcello Benelli
Beh non sara' una specie comune chiaramente...
So che in certe condizioni puo' comparire localmente abbondante!

_________________
Marci
"S'i fosse fuoco, arderei 'l mondo,
S'i fosse vento, lo tempesterei,
S'i fosse acqua, i' l'annegherei
s'i fosse dio, mandereil' en profondo" ( Cecco Angiolieri).


Top
profilo
MessaggioInviato: 13/03/2012, 17:35 
Avatar utente

Iscritto il: 23/09/2009, 15:14
Messaggi: 1394
Località: Verona
Nome: Alessandro Pinna
Molto elegante e bella foto! :hi:

_________________
AleP


Top
profilo
MessaggioInviato: 13/03/2012, 19:42 
Avatar utente

Iscritto il: 10/05/2010, 22:31
Messaggi: 4371
Località: Gavorrano (GR)
Nome: marco bastianini
E si, è proprio bello :shock: :shock:

_________________
:to: Marco
"Le foreste a precedere le civiltà, i deserti a seguire."
François-René de Chateaubriand


Top
profilo
MessaggioInviato: 13/03/2012, 19:44 
Avatar utente

Iscritto il: 21/05/2009, 14:59
Messaggi: 6994
Località: Parigi
Nome: Riccardo Poloni
Bella specie, molto sporadica e poco frequente. Frequenta i fiori solitamente, nelle località dove c'è, se torni lì la prossima volta riprova!!! :birra: :birra:

_________________
Riccardo Poloni
La dignità degli elementi
la libertà della poesia,
al di là dei tradimenti degli uomini
è magia, è magia, è magia...
Negrita, Rotolando verso sud


Top
profilo
MessaggioInviato: 13/03/2012, 20:45 
Avatar utente

Iscritto il: 05/08/2009, 18:02
Messaggi: 2264
Nome: Marcello Benelli
sarà che personalmente ho una passione a dire poco smodata per xylosteini e rhamnusiini, per me sono bestie di una eleganza e di una bellezza incredibili... spero un giorno di avere l'opportunità di tornare nelle zone dove il leptorrhabdium è presente per poterne cercare qualche esemplare!

_________________
Marci
"S'i fosse fuoco, arderei 'l mondo,
S'i fosse vento, lo tempesterei,
S'i fosse acqua, i' l'annegherei
s'i fosse dio, mandereil' en profondo" ( Cecco Angiolieri).


Top
profilo
MessaggioInviato: 13/03/2012, 20:53 
Avatar utente

Iscritto il: 25/11/2009, 9:31
Messaggi: 8157
Località: Lecce
Nome: Maurizio Bollino
Entomarci ha scritto:
sarà che personalmente ho una passione a dire poco smodata per xylosteini e rhamnusiini, per me sono bestie di una eleganza e di una bellezza incredibili... spero un giorno di avere l'opportunità di tornare nelle zone dove il leptorrhabdium è presente per poterne cercare qualche esemplare!


Ritardando un pò il viaggio in Peloponneso ti potresti fare gli ultimi due giorni al Passo Katara e il Leptorrhabdium lo prenderesti certamente (considera che la Grecia si attraversa tutta abbastanza velocemente). Eventualmente ti posso dare le coordinate ESATTE del Crataegus fiorito su cui l'ho preso....

_________________
Maurizio Bollino


Top
profilo
MessaggioInviato: 13/03/2012, 21:01 
Avatar utente

Iscritto il: 05/08/2009, 18:02
Messaggi: 2264
Nome: Marcello Benelli
In effetti potrei prendere in considerazione la cosa... pensa che 2 anni fa eravamo sul passo Katara per l'appunto, ma i biancospini erano già sfioriti e faceva un gran freddo (era il 20 giugno più o meno...).
Quest'anno potremmo essere lì ai primi di Giugno... sempre che trovi qualche socio...

_________________
Marci
"S'i fosse fuoco, arderei 'l mondo,
S'i fosse vento, lo tempesterei,
S'i fosse acqua, i' l'annegherei
s'i fosse dio, mandereil' en profondo" ( Cecco Angiolieri).


Top
profilo
MessaggioInviato: 13/03/2012, 23:47 
Avatar utente

Iscritto il: 08/07/2010, 10:53
Messaggi: 3171
Località: Matera
Nome: Domenico Cardinale
Molto bello Maurizio!!! :ok: :ok:

_________________
Saluti :hi: Mimmo


Top
profilo
MessaggioInviato: 14/03/2012, 1:06 
Avatar utente

Iscritto il: 20/11/2009, 0:34
Messaggi: 571
Località: Vignola (Mo)
Nome: Claudio Sola
Maurizio , non sarà mica il biancospino dove io e Dodo abbiamo ravanato un dieci minuti acchiappando qualche hoplia e un poco di altri cerambycidae , non ne abbiamo visti tanti biancospini poco sopra da Metsovo , ed eravamo li solo 4\5 giorni prima ! Li sto sistemando adesso , ma non c'è nulla di che , a parte le Hoplia , forse !
A proposito , i melolonthini che abbiamo acchiappato al passo mi sembrano Rhizothrogu aestivus , appena riesco posto anche le foto dei dorcadion presi da quelle parti .

_________________
merlino


Top
profilo
Visualizza ultimi messaggi:  Ordina per  
nuovo argomento
rispondi
Vai alla pagina 1, 2  Prossimo
Pagina 1 di 2 [ 16 messaggi ]

Tutti gli orari sono UTC + 1 ora [ ora legale ]


Chi c’è in linea

Visitano il forum: Nessuno e 2 ospiti


Non puoi aprire nuovi argomenti
Non puoi rispondere negli argomenti
Non puoi modificare i tuoi messaggi
Non puoi cancellare i tuoi messaggi
Non puoi inviare allegati

Cerca per:
Vai a: