Benvenuto Ospite

Forum Entomologi Italiani

www.entomologiitaliani.net/forum
 
Oggi è 09/11/2025, 22:14

Tutti gli orari sono UTC + 1 ora [ ora legale ]

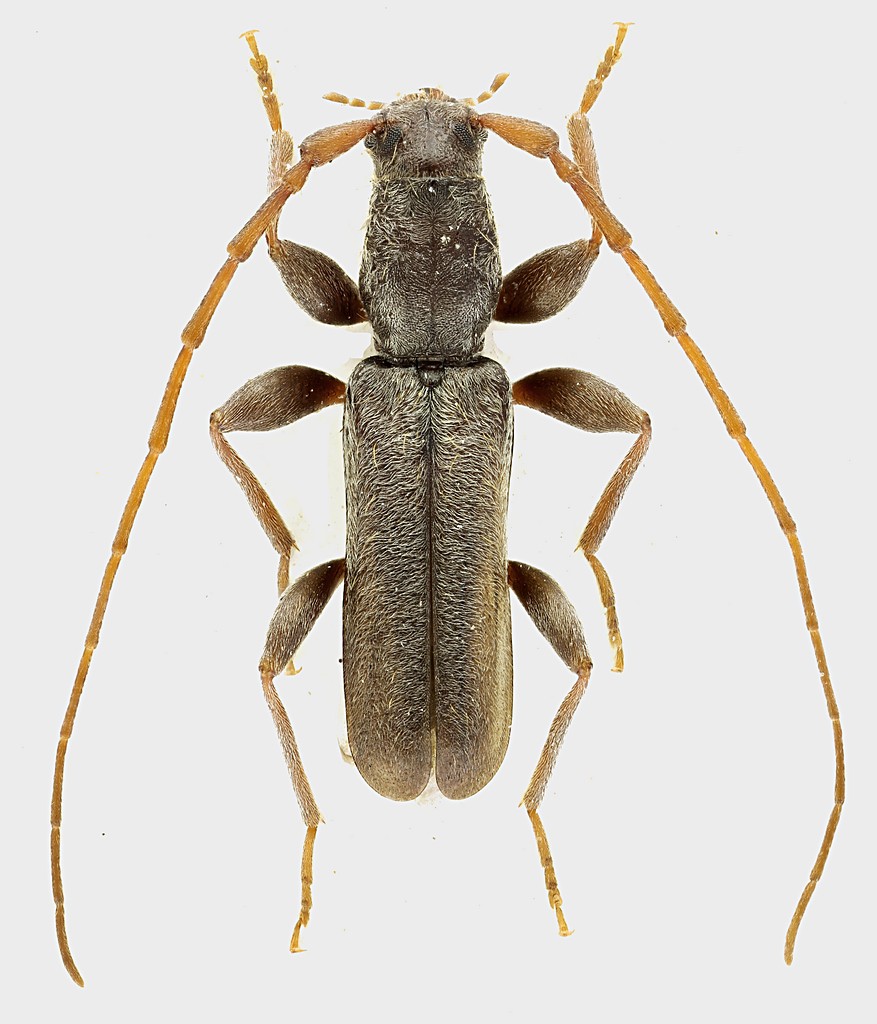
Gracilia minuta (Fabricius, 1781) Dettagli della specie

IV.2012 - ITALIA - Lazio - RM, San Vittorino


nuovo argomento
rispondi
Pagina 1 di 1 [ 1 messaggio ]
Autore Messaggio
MessaggioInviato: 07/05/2012, 14:43 
Avatar utente

Iscritto il: 30/12/2009, 22:20
Messaggi: 31564
Località: Roma
Nome: Maurizio Gigli
Gracilia minuta (Fabricius, 1781)

Un "gigante" per la specie. Quasi al massimo delle dimensioni: 6 mm! :D

E' incredibile che un Cerambycidae così piccolo possa aver avuto bisogno di 3 anni per svilupparsi. Del resto, con i Buprestidi capita molto più spesso.

Lazio, Roma, San Vittorino, da rami di Cornus mas raccolti il 20.XII.2009, sfarfallato a fine aprile 2012, M. Gigli legit

Gracilia_minuta_SanVittorino_V-2012_6mm_grey.jpg


_________________
Maurizio Gigli
http://utenti.romascuola.net/bups
http://bup.xoom.it/


Top
profilo
Visualizza ultimi messaggi:  Ordina per  
nuovo argomento
rispondi
Pagina 1 di 1 [ 1 messaggio ]

Tutti gli orari sono UTC + 1 ora [ ora legale ]


Chi c’è in linea

Visitano il forum: Nessuno e 1 ospite


Non puoi aprire nuovi argomenti
Non puoi rispondere negli argomenti
Non puoi modificare i tuoi messaggi
Non puoi cancellare i tuoi messaggi
Non puoi inviare allegati

Cerca per:
Vai a: