Forum Entomologi Italiani
http://www.entomologiitaliani.net/public/forum/phpbb3/

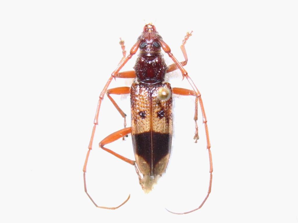
Phoracantha recurva Newman, 1840 - Cerambycidae
http://www.entomologiitaliani.net/public/forum/phpbb3/viewtopic.php?f=145&t=37038
Pagina 1 di 1

Autore:  Valerio [ 04/08/2012, 18:36 ]
Oggetto del messaggio:  Phoracantha recurva Newman, 1840 - Cerambycidae

Trovato morente sotto un lampione.
So' che era già segnalato e allora aggiungo il mio dato.

Allegati:
IMG_3221.JPG


Autore:  Julodis [ 04/08/2012, 19:37 ]
Oggetto del messaggio:  Re: Phoracantha recurva Newman, 1840

Per il Lazio il nuovo catalogo dei Cerambycidae italiani del 2011 la cita solo di Maccarese, su un mio reperto preso dal Forum (in realtà era stata già trovata credo uno o due anni prima in quella stessa zona da Daniel Patacchiola). C'è poi un reperto di Borgo Sabotino, sempre sul Forum, da parte di Luigi Lenzini, che non è stato riportato sul catalogo (perchè successivo alla sua pubblicazione, presumo).
La tua è quindi la terza segnalazione per il Lazio, ma la prima per la città di Roma. :ok:

Autore:  clido [ 04/08/2012, 20:07 ]
Oggetto del messaggio:  Re: Phoracantha recurva Newman, 1840

Julodis ha scritto:
Per il Lazio il nuovo catalogo dei Cerambycidae italiani del 2011 la cita solo di Maccarese, su un mio reperto preso dal Forum (in realtà era stata già trovata credo uno o due anni prima in quella stessa zona da Daniel Patacchiola). C'è poi un reperto di Borgo Sabotino, sempre sul Forum, da parte di Luigi Lenzini, che non è stato riportato sul catalogo (perchè successivo alla sua pubblicazione, presumo) ...

Per il Lazio dobbiamo allora aggiungere anche la mia segnalazione.
Un esemplare venuto alla lampada il 28 agosto 2011 nel nel SIC di Monte Calvo e Calvilli a Castro dei Volsci, Frosinone.
Appena posso lo fotografo e apro una discussione.

Autore:  Federico A. [ 12/09/2012, 18:46 ]
Oggetto del messaggio:  Re: Phoracantha recurva Newman, 1840 - Cerambycidae

Cercando nel forum ho trovato questa discussione e ne vorrei aprofittare per chiedere ,a chi è interessato ,se volesse qulche esemplare di phoracantha recurva dato che da poco ne ho trovato una settantina in una trappola a vino bianco , adesso dopo le varie consegne :mrgreen: e dopo averne messe da parte buona parte per la mia collezione, me ne sono rimasti 20 esemplari di cui nn so cosa farmene , quindi chi è interessato si faccia avanti ( anche se non credo ci siano molti pretendenti )!!!!
:hi: :hi:

Autore:  michele.carraretto [ 12/09/2012, 19:11 ]
Oggetto del messaggio:  Re: Phoracantha recurva Newman, 1840 - Cerambycidae

Federico A. ha scritto:
Cercando nel forum ho trovato questa discussione e ne vorrei aprofittare per chiedere ,a chi è interessato ,se volesse qulche esemplare di phoracantha recurva dato che da poco ne ho trovato una settantina in una trappola a vino bianco , adesso dopo le varie consegne :mrgreen: e dopo averne messe da parte buona parte per la mia collezione, me ne sono rimasti 20 esemplari di cui nn so cosa farmene , quindi chi è interessato si faccia avanti ( anche se non credo ci siano molti pretendenti )!!!!
:hi: :hi:

Io, io, io ,io, io ,io :D :D :D
Ti ho inviato un mp.
:hi: michele

Autore:  Federico A. [ 12/09/2012, 19:29 ]
Oggetto del messaggio:  Re: Phoracantha recurva Newman, 1840 - Cerambycidae

michele.carraretto ha scritto:
Federico A. ha scritto:
Cercando nel forum ho trovato questa discussione e ne vorrei aprofittare per chiedere ,a chi è interessato ,se volesse qulche esemplare di phoracantha recurva dato che da poco ne ho trovato una settantina in una trappola a vino bianco , adesso dopo le varie consegne :mrgreen: e dopo averne messe da parte buona parte per la mia collezione, me ne sono rimasti 20 esemplari di cui nn so cosa farmene , quindi chi è interessato si faccia avanti ( anche se non credo ci siano molti pretendenti )!!!!
:hi: :hi:

Io, io, io ,io, io ,io :D :D :D
Ti ho inviato un mp.
:hi: michele


Ciao michele !!
Dato che per adesso siete in due di pretendenti ( tu sei il primo nella lista ) e per correttezza verso gli altri possibili interessati aspetterò sino a domani o dopodomani cosi da dare a tutti una possibilita !! ma solo se tu decidi di non prenderle tutte :mrgreen: .
Ciao!!! :hi: :hi: :hi:

Autore:  michele.carraretto [ 12/09/2012, 19:36 ]
Oggetto del messaggio:  Re: Phoracantha recurva Newman, 1840 - Cerambycidae

Ci mancherebbe! Mi basterebbero un paio di coppie, se poi ne avanzano ...
Grazie :hi: michele

Autore:  Federico A. [ 12/09/2012, 19:49 ]
Oggetto del messaggio:  Re: Phoracantha recurva Newman, 1840 - Cerambycidae

OK!
Faro il possibile!! :hi: :hi: :hi:

Autore:  Mikiphasmide [ 12/09/2012, 19:54 ]
Oggetto del messaggio:  Re: Phoracantha recurva Newman, 1840 - Cerambycidae

Anche a me interesserebbero moltissimo!

Autore:  Federico A. [ 12/09/2012, 20:08 ]
Oggetto del messaggio:  Re: Phoracantha recurva Newman, 1840 - Cerambycidae

ok proverò a mettertene qualcuna da parte .
Comunque ai futuri interessati vi prego di scrivermi in mp nel quale vi chiedo di specificare di quante bestioline avreste bisogno!!
Ciao a tutti!1 :hi: :hi:

Autore:  Luciano Nuccitelli [ 20/10/2012, 21:46 ]
Oggetto del messaggio:  Re: Phoracantha recurva Newman, 1840

Julodis ha scritto:
Per il Lazio il nuovo catalogo dei Cerambycidae italiani del 2011 la cita solo di Maccarese, su un mio reperto preso dal Forum (in realtà era stata già trovata credo uno o due anni prima in quella stessa zona da Daniel Patacchiola). C'è poi un reperto di Borgo Sabotino, sempre sul Forum, da parte di Luigi Lenzini, che non è stato riportato sul catalogo (perchè successivo alla sua pubblicazione, presumo).
La tua è quindi la terza segnalazione per il Lazio, ma la prima per la città di Roma. :ok:


Scusate se mi intrometto. Mi piacerebbe capire la valenza, l'attendibilità e l'ufficialità di strumenti che leggo qui citati, come il catalogo dei Cerambycidae italiani. Non per svilire la discussione ma, ad esempio, Phoracantha recurva è stata segnalata nel Lazio già nel 2008, ad Ostia:

http://www.naturamediterraneo.com/forum ... C_ID=52719

Altri avvistamenti precedenti al 2011 ci sono stati nella Riserva Naturale di Macchiatonda, al Parco degli acquedotti. Io stesso nel 2009 ho trovato il coleottero in Via Alessandro Severo in piena città (Roma).

Non capisco perchè sia così importante datare i ritrovamenti. Nuovi avvistamenti di organismi alieni, in questo caso insetti, ha senza dubbio un discreto valore dal punto naturalistico (sistematico). Comunque.
Per quel che riguarda la mia professione, che è anche quella di valutare l'impatto "fitosanitario" che una new entry può avere in un territorio in funzione della "salute" dei vegetali, beh posso dire che Phoracantha recurva ha avuto uno scarso rilievo dal momento che la congenere semipunctata era ed è ampiamente diffusa nei popolamenti di eucalipto.

A mio parere le segnalazioni di chiunque, se ben supportate da un procedimento di identificazione e determinazione (ovviamente con documentazione fotografica) sono utili per avere una stima della diffusione, di questo o quell'organismo. A volte le discussioni che scaturiscono da forum come questo diventano di particolare importanza come nel caso del Thaumastocoris peregrinus (prima segnalazione in Europa).
A tal proposito vi comunico che anche la segnalazione di Aromia bungii sulla base di una discussione aperta in questo forum e su FNM è stata decisamente importante. Il SFR Campania ha avviato ricerche sul territorio ed ha confermato ufficialmente il ritrovamento (prima segnalazione in Italia).

Un caro saluto

Autore:  patacchiola [ 21/10/2012, 14:40 ]
Oggetto del messaggio:  Re: Phoracantha recurva Newman, 1840 - Cerambycidae

Aggiungo questi reperti Roma valle dell insughereata 2011,Roma Bufalotta -Marcigliana.2012 ,

Autore:  Federico A. [ 21/10/2012, 19:42 ]
Oggetto del messaggio:  Re: Phoracantha recurva Newman, 1840

Luciano Nuccitelli ha scritto:
Julodis ha scritto:
Per il Lazio il nuovo catalogo dei Cerambycidae italiani del 2011 la cita solo di Maccarese, su un mio reperto preso dal Forum (in realtà era stata già trovata credo uno o due anni prima in quella stessa zona da Daniel Patacchiola). C'è poi un reperto di Borgo Sabotino, sempre sul Forum, da parte di Luigi Lenzini, che non è stato riportato sul catalogo (perchè successivo alla sua pubblicazione, presumo).
La tua è quindi la terza segnalazione per il Lazio, ma la prima per la città di Roma. :ok:





Non capisco perchè sia così importante datare i ritrovamenti. Nuovi avvistamenti di organismi alieni, in questo caso insetti, ha senza dubbio un discreto valore dal punto naturalistico (sistematico). Comunque.
Per quel che riguarda la mia professione, che è anche quella di valutare l'impatto "fitosanitario" che una new entry può avere in un territorio in funzione della "salute" dei vegetali, beh posso dire che Phoracantha recurva ha avuto uno scarso rilievo dal momento che la congenere semipunctata era ed è ampiamente diffusa nei popolamenti di eucalipto.



Su questo punto non so pienamente d'accordo poiche la semipunctata ormai sta scomparendo sempre più ,probabilmente propio a causa della recurva la quale probabilmente è più aggressiva e si sviluppa più facilmente perciò potrebbe causare più problemi della congenere
:hi:

Pagina 1 di 1 Tutti gli orari sono UTC + 1 ora [ ora legale ]
Powered by phpBB® Forum Software © phpBB Group
http://www.phpbb.com/