Benvenuto Ospite

Forum Entomologi Italiani

www.entomologiitaliani.net/forum
 
Oggi è 09/11/2025, 1:59

Tutti gli orari sono UTC + 1 ora [ ora legale ]

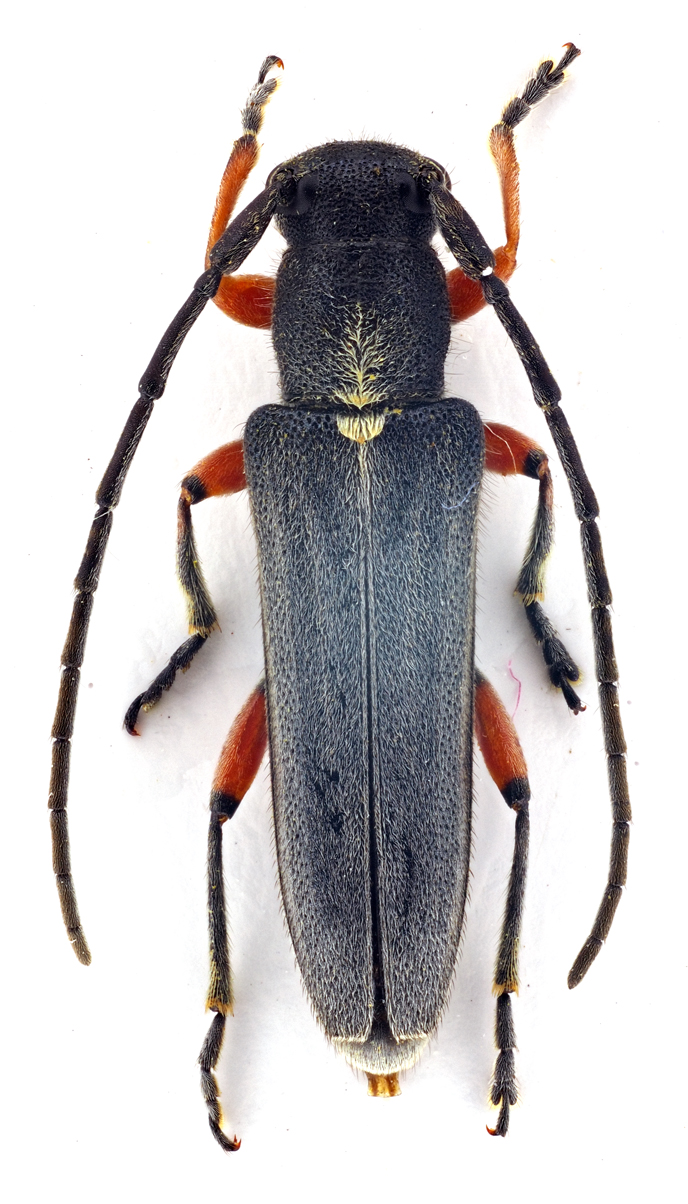
Phytoecia icterica icterica (Schaller, 1783) Dettagli della specie

7.VII.2013 - ITALIA - Marche - PU, Borgo Pace


nuovo argomento
rispondi
Pagina 1 di 1 [ 5 messaggi ]
Autore Messaggio
MessaggioInviato: 27/07/2013, 21:10 
Avatar utente

Iscritto il: 10/05/2009, 15:30
Messaggi: 7182
Località: Ancona
Nome: Giacomo Giovagnoli
Trovata il 07.VII.2013 a Borgo Pace (Pesaro/Urbino).

Credo sia una Phytoecia rufipes... :roll:

[grazie zio per le foto!!! :birra: ]

Dimensioni: 11mm
Comb0861_22zcr.jpg


Comb0862_55zcr.jpg



Ciao!!! :)

_________________
Immagine Giacomo


Top
profilo
 Oggetto del messaggio: Re: Phytoecia rufipes ???
MessaggioInviato: 27/07/2013, 23:02 
Avatar utente

Iscritto il: 21/05/2009, 14:59
Messaggi: 6994
Località: Parigi
Nome: Riccardo Poloni
Mi sa di no :no1: . Peccato, sarebbe stata nuova per le Marche. Guarda bene il pigidio: nella rufipes è rosso :D

_________________
Riccardo Poloni
La dignità degli elementi
la libertà della poesia,
al di là dei tradimenti degli uomini
è magia, è magia, è magia...
Negrita, Rotolando verso sud


Top
profilo
MessaggioInviato: 28/07/2013, 9:42 
Avatar utente

Iscritto il: 11/11/2009, 20:54
Messaggi: 4850
Località: Pesaro
Nome: Marco Paglialunga
...ebbravo Stok :P vieni a caccia da me, e manco mi chiami!!! :no:
Sei scusato solo se eri in dolce compagnia :gh: ...con la solita storiella "vieni cara, ti porto a vedere dei posti fantastici"...poeretta :lol: :lol: :lol:
Mò te sistemo io :mrgreen: :mrgreen: :mrgreen: :mrgreen:

_________________
O voi ch'avete li 'ntelletti sani, mirate la dottrina che s'asconde sotto 'l velame de li versi strani
(InfeRRno - canto IX - vv. 61-63)


Top
profilo
MessaggioInviato: 28/07/2013, 10:45 
Avatar utente

Iscritto il: 10/05/2009, 15:30
Messaggi: 7182
Località: Ancona
Nome: Giacomo Giovagnoli
Ne deduco che anche questa era una icterica...
viewtopic.php?f=145&t=35551

Marco, ero solo soletto, ma se ti consola avevo deciso la sera prima a mezzanotte e di domenica di solito tu sei impegnato...

Ciao :)

_________________
Immagine Giacomo


Top
profilo
MessaggioInviato: 29/07/2013, 11:00 
Avatar utente

Iscritto il: 21/05/2009, 14:59
Messaggi: 6994
Località: Parigi
Nome: Riccardo Poloni
Si Giacomo, avevo confermato rufipes per via della colorazione del pronoto e delle elitre, ma evidentemente essendo un esemplare vecchio, aveva perso tutta la peluria.

_________________
Riccardo Poloni
La dignità degli elementi
la libertà della poesia,
al di là dei tradimenti degli uomini
è magia, è magia, è magia...
Negrita, Rotolando verso sud


Top
profilo
Visualizza ultimi messaggi:  Ordina per  
nuovo argomento
rispondi
Pagina 1 di 1 [ 5 messaggi ]

Tutti gli orari sono UTC + 1 ora [ ora legale ]


Chi c’è in linea

Visitano il forum: Nessuno e 2 ospiti


Non puoi aprire nuovi argomenti
Non puoi rispondere negli argomenti
Non puoi modificare i tuoi messaggi
Non puoi cancellare i tuoi messaggi
Non puoi inviare allegati

Cerca per:
Vai a: