Benvenuto Ospite

Forum Entomologi Italiani

www.entomologiitaliani.net/forum
 
Oggi è 09/11/2025, 21:37

Tutti gli orari sono UTC + 1 ora [ ora legale ]

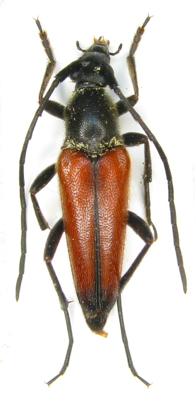
Stenurella bifasciata intermedia Holzschuh, 2006 - Cerambycidae

VI.2013 - GRECIA - EE, Meteore Kalampaka , bosco di Vlakava


nuovo argomento
rispondi
Pagina 1 di 1 [ 3 messaggi ]
Autore Messaggio
MessaggioInviato: 05/01/2014, 23:22 
Avatar utente

Iscritto il: 20/11/2009, 0:34
Messaggi: 571
Località: Vignola (Mo)
Nome: Claudio Sola
per me queste sono difficilissime


Stenurella Sp.- Grecia , Kalampaka , bosco di Vlakava VI-2013 leg Sola C..JPG


_________________
merlino
Top
profilo
 Oggetto del messaggio: Re: lepturinae
MessaggioInviato: 07/01/2014, 19:16 
 

Iscritto il: 13/09/2009, 18:04
Messaggi: 881
Nome: Pierpaolo Rapuzzi
Ciao Claudio,
l'addome com'è? E' rosso?
Dovrebbe essere Stenurella bifasciata ssp. intermedia.
Ciao
Pierpoalo


Top
profilo
 Oggetto del messaggio: Re: lepturinae
MessaggioInviato: 07/01/2014, 22:54 
Avatar utente

Iscritto il: 20/11/2009, 0:34
Messaggi: 571
Località: Vignola (Mo)
Nome: Claudio Sola
Xylosteus ha scritto:
Ciao Claudio,
l'addome com'è? E' rosso?
Dovrebbe essere Stenurella bifasciata ssp. intermedia.
Ciao
Pierpoalo

Si , addome rosso .

_________________
merlino


Top
profilo
Visualizza ultimi messaggi:  Ordina per  
nuovo argomento
rispondi
Pagina 1 di 1 [ 3 messaggi ]

Tutti gli orari sono UTC + 1 ora [ ora legale ]


Chi c’è in linea

Visitano il forum: Nessuno e 2 ospiti


Non puoi aprire nuovi argomenti
Non puoi rispondere negli argomenti
Non puoi modificare i tuoi messaggi
Non puoi cancellare i tuoi messaggi
Non puoi inviare allegati

Cerca per:
Vai a: