Forum Entomologi Italiani
http://www.entomologiitaliani.net/public/forum/phpbb3/

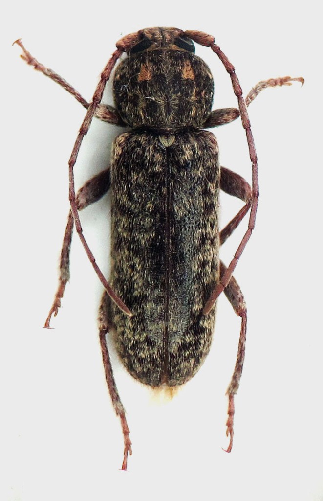
Trichoferus fasciculatus fasciculatus (Faldermann, 1837) - Cerambycidae
http://www.entomologiitaliani.net/public/forum/phpbb3/viewtopic.php?f=145&t=50581
Pagina 1 di 1

Autore:  Guido Sabatinelli [ 27/01/2014, 8:08 ]
Oggetto del messaggio:  Trichoferus fasciculatus fasciculatus (Faldermann, 1837) - Cerambycidae

Un piccolo cerambicide che non mi aspettavo. Lunghezza 12 mm

Allegati:
Trichoferus griseus.JPG


Autore:  Xylosteus [ 27/01/2014, 11:40 ]
Oggetto del messaggio:  Re: Trichoferus griseus (Fabricius, 1792) ? - Tunisia

Ciao Guido,
questo è il Trichoferus fasciculatus.
Pierpaolo

Autore:  Guido Sabatinelli [ 27/01/2014, 12:02 ]
Oggetto del messaggio:  Re: Trichoferus griseus (Fabricius, 1792) ? - Tunisia

Xylosteus ha scritto:
Ciao Guido,
questo è il Trichoferus fasciculatus.
Pierpaolo
Grazie!

Autore:  Wael [ 27/01/2014, 12:50 ]
Oggetto del messaggio:  Re: Trichoferus fasciculatus fasciculatus (Faldermann, 1837) - Cerambycidae

a la lampe ?

Autore:  Guido Sabatinelli [ 27/01/2014, 14:31 ]
Oggetto del messaggio:  Re: Trichoferus fasciculatus fasciculatus (Faldermann, 1837) - Cerambycidae

Wael ha scritto:
a la lampe ?
Oui.

Pagina 1 di 1 Tutti gli orari sono UTC + 1 ora [ ora legale ]
Powered by phpBB® Forum Software © phpBB Group
http://www.phpbb.com/