Benvenuto Ospite

Forum Entomologi Italiani

www.entomologiitaliani.net/forum
 
Oggi è 09/11/2025, 21:18

Tutti gli orari sono UTC + 1 ora [ ora legale ]

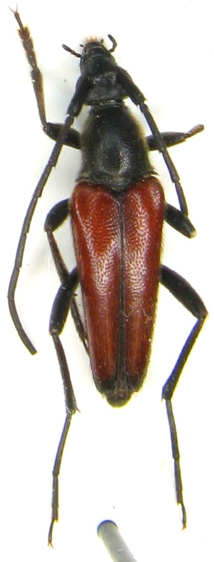
Stenurella bifasciata intermedia Holzschuh, 2006 - Cerambycidae

VI.2013 - GRECIA - EE, Metsovo , 1400m strada per Katara


nuovo argomento
rispondi
Pagina 1 di 1 [ 2 messaggi ]
Autore Messaggio
MessaggioInviato: 20/01/2014, 0:41 
Avatar utente

Iscritto il: 20/11/2009, 0:34
Messaggi: 571
Località: Vignola (Mo)
Nome: Claudio Sola
cerambycizziamo


Grecia , Metsovo , strada per Katara 1410m VI-2011 leg Sola C.JPG


_________________
merlino
Top
profilo
 Oggetto del messaggio: Re: stenurella
MessaggioInviato: 20/01/2014, 13:03 
 

Iscritto il: 13/09/2009, 18:04
Messaggi: 881
Nome: Pierpaolo Rapuzzi
Ciao Claudio,
Stenurella bifasciata intermedia, maschio.
Pierpaolo


Top
profilo
Visualizza ultimi messaggi:  Ordina per  
nuovo argomento
rispondi
Pagina 1 di 1 [ 2 messaggi ]

Tutti gli orari sono UTC + 1 ora [ ora legale ]


Chi c’è in linea

Visitano il forum: Nessuno e 1 ospite


Non puoi aprire nuovi argomenti
Non puoi rispondere negli argomenti
Non puoi modificare i tuoi messaggi
Non puoi cancellare i tuoi messaggi
Non puoi inviare allegati

Cerca per:
Vai a: