Forum Entomologi Italiani
http://www.entomologiitaliani.net/public/forum/phpbb3/

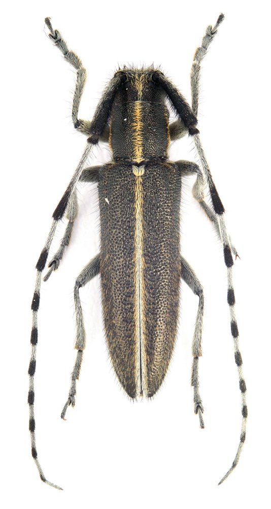
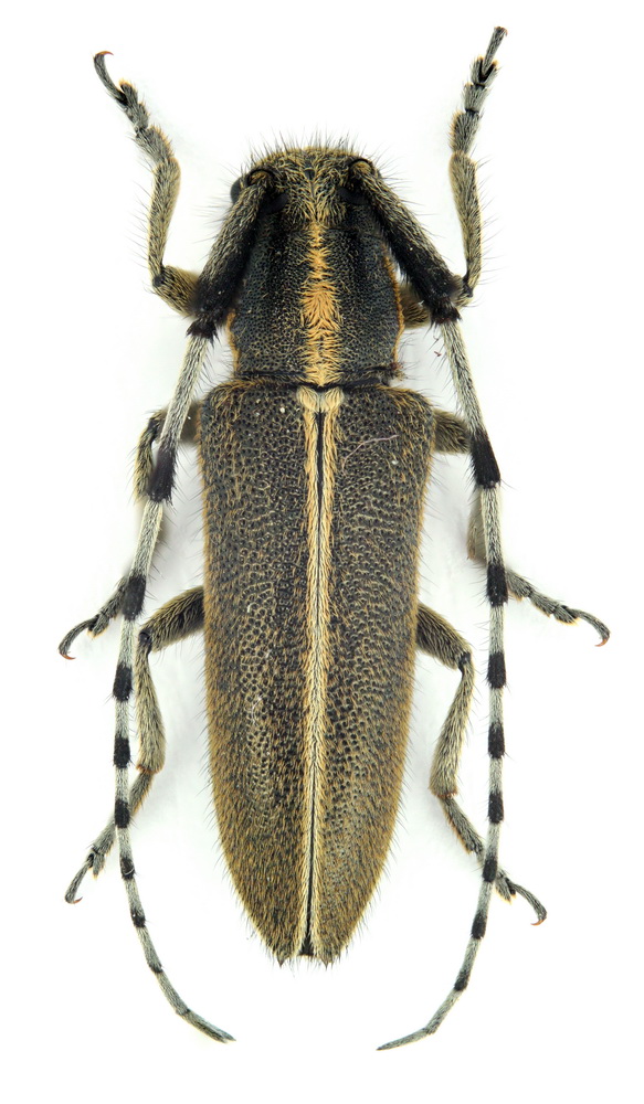
Agapanthia (Agapanthia) suturalis (Fabricius, 1787) - Cerambycidae
http://www.entomologiitaliani.net/public/forum/phpbb3/viewtopic.php?f=145&t=52571
Pagina 1 di 1

Autore:  Antonio Verdugo [ 08/04/2014, 18:01 ]
Oggetto del messaggio:  Agapanthia (Agapanthia) suturalis (Fabricius, 1787) - Cerambycidae

Las citas de estas dos especies no están claras en la Península Ibérica.
Solicito ayuda a los colegas de FEI, ¿que opinan?, suturalis o cadui.

Allegati:
A suturalis hembra red.jpg

A suturalis macho red.jpg


Autore:  Xylosteus [ 08/04/2014, 19:13 ]
Oggetto del messaggio:  Re: Agapanthia cardui o A. suturalis ??

Ciao Antonio,
per me si tratta di suturalis. Bisognerebbe estrarla ma credo che i dubbi siano pochi. La forma acuminata, il colore chiaro sono molto caratteristici.
Ciao,
Pierpaolo

PS: domattina ti risponderò sul Pseudomyrmecion, scusa per il ritardo.

Autore:  Antonio Verdugo [ 08/04/2014, 20:47 ]
Oggetto del messaggio:  Re: Agapanthia cardui o A. suturalis ??

Grazie Pierpaolo.!
:ok:

Autore:  Entomarci [ 08/04/2014, 21:34 ]
Oggetto del messaggio:  Re: Agapanthia cardui o A. suturalis ??

Anche secondo me è suturalis!

Pagina 1 di 1 Tutti gli orari sono UTC + 1 ora [ ora legale ]
Powered by phpBB® Forum Software © phpBB Group
http://www.phpbb.com/