Benvenuto Ospite

Forum Entomologi Italiani

www.entomologiitaliani.net/forum
 
Oggi è 09/11/2025, 21:18

Tutti gli orari sono UTC + 1 ora [ ora legale ]

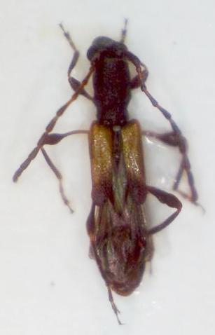
Brachypteroma ottomanum Heyden, 1863 Dettagli della specie

1.V.2014 - ITALIA - Sicilia - ME, Nebrodi, Caronia: Portella Pomo (823 m)


nuovo argomento
rispondi
Pagina 1 di 1 [ 1 messaggio ]
Autore Messaggio
MessaggioInviato: 14/05/2014, 23:52 
Avatar utente

Iscritto il: 30/12/2010, 11:51
Messaggi: 4548
Località: San Giovanni Valdarno (AR)
Nome: Giovanni Altadonna
Brachypteroma ottomanum Heyden, 1863 - Cerambycidae

Unico Cerambycidae trovato in questa escursione
viewtopic.php?f=413&t=53408

Raccolto su Calycotome sp.

Dimensioni: 6 mm

Immagine 014.jpg


_________________
"L' uomo che è cieco alle bellezze della natura ha perduto metà del piacere di vivere"
Sir Robert Baden Powell

Giovanni Altadonna


Top
profilo
Visualizza ultimi messaggi:  Ordina per  
nuovo argomento
rispondi
Pagina 1 di 1 [ 1 messaggio ]

Tutti gli orari sono UTC + 1 ora [ ora legale ]


Chi c’è in linea

Visitano il forum: Nessuno e 1 ospite


Non puoi aprire nuovi argomenti
Non puoi rispondere negli argomenti
Non puoi modificare i tuoi messaggi
Non puoi cancellare i tuoi messaggi
Non puoi inviare allegati

Cerca per:
Vai a:  
cron