Benvenuto Ospite

Forum Entomologi Italiani

www.entomologiitaliani.net/forum
 
Oggi è 09/11/2025, 18:30

Tutti gli orari sono UTC + 1 ora [ ora legale ]

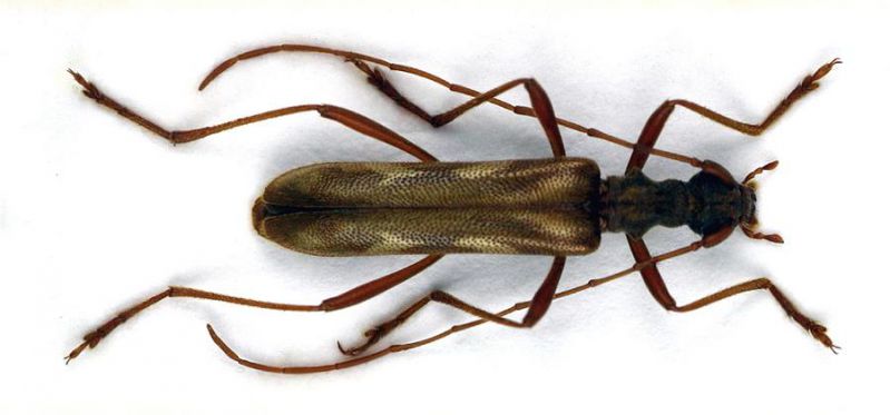
Leptorhabdium caucasicum KRAATZ, 1879 - Cerambycidae

10.V.2014 - GEORGIA - EE, near Tbilisi


nuovo argomento
rispondi
Pagina 1 di 1 [ 10 messaggi ]
Autore Messaggio
MessaggioInviato: 14/07/2014, 2:10 
Avatar utente

Iscritto il: 17/11/2010, 4:40
Messaggi: 269
Località: POLSKA - Warszawa
Nome: Adam Woźniak
Good morning everyone! :hi:
Today I would like to show you a very interesting and not commonly seen species: Leptorhabdium caucasicum KRAATZ, 1879. :hp:
The illustrated specimen was shaken from the blooming hawthorn.

Leptorhabdium caucasicum
Georgia, near Tbilisi
10 V 2014, leg., det. A. Woźniak & D. Hofmański


Leptorhabdium caucasicum_male
41_Leptorhabdium caucasicum.JPG

Top
profilo
MessaggioInviato: 14/07/2014, 7:30 
Avatar utente

Iscritto il: 05/08/2009, 18:02
Messaggi: 2264
Nome: Marcello Benelli
Very interesting!
Did you collected it around 18:30 pm as for other species of this gender?

_________________
Marci
"S'i fosse fuoco, arderei 'l mondo,
S'i fosse vento, lo tempesterei,
S'i fosse acqua, i' l'annegherei
s'i fosse dio, mandereil' en profondo" ( Cecco Angiolieri).


Top
profilo
MessaggioInviato: 28/07/2014, 23:05 
Avatar utente

Iscritto il: 17/11/2010, 4:40
Messaggi: 269
Località: POLSKA - Warszawa
Nome: Adam Woźniak
I do not know, Marci!
The other members of the genus Leptoprhabdium not yet met.
This species I collected only once, after the rain, about hours of 15:00 - 16:00.
:hi:


Top
profilo
MessaggioInviato: 01/08/2014, 21:23 
Avatar utente

Iscritto il: 05/08/2009, 18:02
Messaggi: 2264
Nome: Marcello Benelli
your findings after the storm could be explained as an adult slammed down from a tree by wind and rain.
I collected nitidum, as i wrote, after 18:30, and i can assure you that before this hour beetles weren't! They were probably in the forest, hidden in trees.
Anyway according to Miroshnikov leptorhabdium caucasicum is a beetle use to be in activity around 18-20:00 of afternoon, so it is possible to think caucasicum and nitidum should have the same biology, unlike illyricum that should be active during daylight hours!
Maybe we need more relics to establish well the biology of the genera...
:hi:

_________________
Marci
"S'i fosse fuoco, arderei 'l mondo,
S'i fosse vento, lo tempesterei,
S'i fosse acqua, i' l'annegherei
s'i fosse dio, mandereil' en profondo" ( Cecco Angiolieri).


Top
profilo
MessaggioInviato: 03/08/2014, 12:49 
Avatar utente

Iscritto il: 17/11/2010, 4:40
Messaggi: 269
Località: POLSKA - Warszawa
Nome: Adam Woźniak
Dear Marci!
Specimens have collected along with Darek Hofmańskim (4 exx.) sitting on flowers and leaves of hawthorns. They were quiet, because it was the rain. They were not active because the weather was bad. In any case, all the specimens were hawthorns, although they were not seen.

Certainly a need for further observations habits of the genus Leptorhabdium. :birra:


Top
profilo
MessaggioInviato: 04/08/2014, 8:08 
Avatar utente

Iscritto il: 05/08/2009, 18:02
Messaggi: 2264
Nome: Marcello Benelli
Uncle Adam ha scritto:
Dear Marci!
Specimens have collected along with Darek Hofmańskim (4 exx.) sitting on flowers and leaves of hawthorns. They were quiet, because it was the rain. They were not active because the weather was bad. In any case, all the specimens were hawthorns, although they were not seen.

Certainly a need for further observations habits of the genus Leptorhabdium. :birra:


My next target is to find illyricum cause it is more spreaded in Balcans than nitidum, so i suppose i can try to find it in Galicica, a locality where it have been found many times from many entomologist... but maybe we are just in 2016 because next year i'm preparing a trip in Cyprus!!!
:hi:

_________________
Marci
"S'i fosse fuoco, arderei 'l mondo,
S'i fosse vento, lo tempesterei,
S'i fosse acqua, i' l'annegherei
s'i fosse dio, mandereil' en profondo" ( Cecco Angiolieri).


Top
profilo
MessaggioInviato: 04/08/2014, 12:05 
Avatar utente

Iscritto il: 17/11/2010, 4:40
Messaggi: 269
Località: POLSKA - Warszawa
Nome: Adam Woźniak
In Cyprus rather not find Leptorhabdium spp. :mrgreen:
In 2015 I am going to Greece, probably in the Peloponnese. When I'm there, then I shall pay particular attention to Illyricum L. and L. nitidum.
:hi:


Top
profilo
MessaggioInviato: 04/08/2014, 14:43 
Avatar utente

Iscritto il: 05/08/2009, 18:02
Messaggi: 2264
Nome: Marcello Benelli
Uncle Adam ha scritto:
In Cyprus rather not find Leptorhabdium spp. :mrgreen:
In 2015 I am going to Greece, probably in the Peloponnese. When I'm there, then I shall pay particular attention to Illyricum L. and L. nitidum.
:hi:


Not in peloponnese them...just in continental greece!!

_________________
Marci
"S'i fosse fuoco, arderei 'l mondo,
S'i fosse vento, lo tempesterei,
S'i fosse acqua, i' l'annegherei
s'i fosse dio, mandereil' en profondo" ( Cecco Angiolieri).


Top
profilo
MessaggioInviato: 05/08/2014, 14:46 
Avatar utente

Iscritto il: 17/11/2010, 4:40
Messaggi: 269
Località: POLSKA - Warszawa
Nome: Adam Woźniak
I know Marci, I know. :birra:
North Greece:
L. illyricum - near Meteora,
L. nitidum - near Metsovo.
But look for these species in other parts of Greece, in the new positions!


Top
profilo
MessaggioInviato: 05/08/2014, 18:11 
Avatar utente

Iscritto il: 05/08/2009, 18:02
Messaggi: 2264
Nome: Marcello Benelli
Im sure they should be spreaded all along the central mountainous axis of continental greece...just look for woodlands with fagus and abies...but i know you just know it...!!!
The real problem is weather...in greece more rain than i supposed...

_________________
Marci
"S'i fosse fuoco, arderei 'l mondo,
S'i fosse vento, lo tempesterei,
S'i fosse acqua, i' l'annegherei
s'i fosse dio, mandereil' en profondo" ( Cecco Angiolieri).


Top
profilo
Visualizza ultimi messaggi:  Ordina per  
nuovo argomento
rispondi
Pagina 1 di 1 [ 10 messaggi ]

Tutti gli orari sono UTC + 1 ora [ ora legale ]


Chi c’è in linea

Visitano il forum: Nessuno e 2 ospiti


Non puoi aprire nuovi argomenti
Non puoi rispondere negli argomenti
Non puoi modificare i tuoi messaggi
Non puoi cancellare i tuoi messaggi
Non puoi inviare allegati

Cerca per:
Vai a: