| Autore |
Messaggio |
|
Isotomus
|
Inviato: 23/04/2011, 10:02 |
|
Iscritto il: 05/09/2009, 7:56 Messaggi: 3445 Località: Cesena
Nome: Gianfranco Sama
|
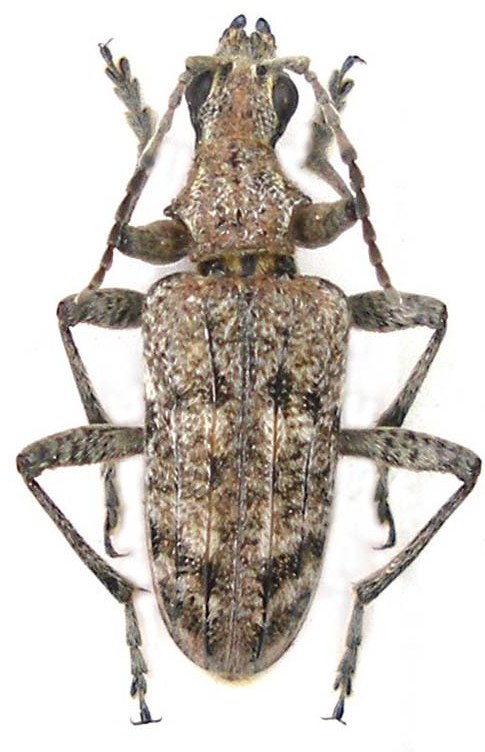
Rhagium (Rhagium) inquisitor inquisitor (Linnaeus, 1758) Due degli esemplari citati in precedenza, prelevati nelle cellette pupali su Pinus nigra laricio della Pineta Ragabo (Etna). Dopo la completa maturazione. Un maschio e una femmina
_________________ Gianfranco Sama
"Benedetto colui che ti aiuta a correggere i tuoi errori invece di scagliarteli contro" ___________________________________ Gershom Sholem
|
|
| Top |
|
 |
|
Isotomus
|
Inviato: 26/04/2011, 12:28 |
|
Iscritto il: 05/09/2009, 7:56 Messaggi: 3445 Località: Cesena
Nome: Gianfranco Sama
|
Come ho scritto in precedenza, gli esemplari dell’Etna differiscono notevolmente da quelli appenninici per i tegumenti e la maculatura elitrale decisamente più scuri. Questa particolarità è presente in entrambi i sessi, ma molto più evidente negli esemplari maschi. Questi sono due esemplari maschi dell’Appenino Romagnolo (Foreste di Campigna e della Lama e questo è un esemplare maschio dell'Etna Le differenze sono evidenti. Queste invece sono le femmine dell'Appennino Romagnolo Dell'Alto Adige (Mezzaselva) e, infine una femmina siciliana dell'Etna
_________________ Gianfranco Sama
"Benedetto colui che ti aiuta a correggere i tuoi errori invece di scagliarteli contro" ___________________________________ Gershom Sholem
|
|
| Top |
|
 |
|
Isotomus
|
Inviato: 26/04/2011, 12:39 |
|
Iscritto il: 05/09/2009, 7:56 Messaggi: 3445 Località: Cesena
Nome: Gianfranco Sama
|
|
In definitiva, gli esemplari dell'Etna sono molto simili a quelli dell'Europa settentrionale e centrale, e ben diversi da quelli appenninici, dall'Appenino Ligure (Savona) a quello Calabrese (Sila). Devo dire, tuttavia, che possiedo esemplari dell'Austria meridionale (Carinzia) non molto diversi da quelli di Campigna. Mi piacerebbe avere pareri in proposito anche in vista di un'indagine microsistematica.
_________________ Gianfranco Sama
"Benedetto colui che ti aiuta a correggere i tuoi errori invece di scagliarteli contro" ___________________________________ Gershom Sholem
|
|
| Top |
|
 |
|
f.izzillo
|
Inviato: 26/04/2011, 13:18 |
|
Iscritto il: 22/12/2009, 13:31 Messaggi: 9646 Località: Napoli
Nome: Francesco Izzillo
|
Isotomus ha scritto: In definitiva, gli esemplari dell'Etna sono molto simili a quelli dell'Europa settentrionale e centrale, e ben diversi da quelli appenninici, dall'Appenino Ligure (Savona) a quello Calabrese (Sila). Devo dire, tuttavia, che possiedo esemplari dell'Austria meridionale (Carinzia) non molto diversi da quelli di Campigna. Mi piacerebbe avere pareri in proposito anche in vista di un'indagine microsistematica. Dovrei averne uno di Abruzzo e uno di Basilicata...quando vado a casa ci guardo e vedo a quale colorazione vanno riferiti (sempre che tu non li abbia già delle stesse regioni, cosa della quale dubito!)
_________________ Francesco Izzillo
|
|
| Top |
|
 |
|
ivo
|
Inviato: 26/04/2011, 17:08 |
|
Iscritto il: 30/09/2009, 19:19 Messaggi: 1067 Località: Czech rep.
Nome: Ivo Boščík
|
|
| Top |
|
 |
|
f.izzillo
|
Inviato: 26/04/2011, 17:10 |
|
Iscritto il: 22/12/2009, 13:31 Messaggi: 9646 Località: Napoli
Nome: Francesco Izzillo
|
|
Ho quattro esemplari italiani: La Fossiata di Sila (2 exx), Cugno dell'Acero di Pollino, La Camosciara (AQ); 2 exx di Grecia (Parnaso) e 5 exx. di Francia (Monginevro). Francamente non riscontro in alcuno dei miei inquisitor la differenza di colorazione che effettivamente esiste negli esemplari dell'appennino romagnolo. Gli esemplari di Camosciara e di Cugno sono leggermente più chiari, ma non più di tanto!
_________________ Francesco Izzillo
|
|
| Top |
|
 |
|
Isotomus
|
Inviato: 26/04/2011, 17:37 |
|
Iscritto il: 05/09/2009, 7:56 Messaggi: 3445 Località: Cesena
Nome: Gianfranco Sama
|
Thank you Ivo 
_________________ Gianfranco Sama
"Benedetto colui che ti aiuta a correggere i tuoi errori invece di scagliarteli contro" ___________________________________ Gershom Sholem
|
|
| Top |
|
 |
|
Isotomus
|
Inviato: 26/04/2011, 17:38 |
|
Iscritto il: 05/09/2009, 7:56 Messaggi: 3445 Località: Cesena
Nome: Gianfranco Sama
|
f.izzillo ha scritto: Ho quattro esemplari italiani: La Fossiata di Sila (2 exx), Cugno dell'Acero di Pollino, La Camosciara (AQ); 2 exx di Grecia (Parnaso) e 5 exx. di Francia (Monginevro). Francamente non riscontro in alcuno dei miei inquisitor la differenza di colorazione che effettivamente esiste negli esemplari dell'appennino romagnolo. Gli esemplari di Camosciara e di Cugno sono leggermente più chiari, ma non più di tanto! Hai preso in considerazione maschi o femmine ?
_________________ Gianfranco Sama
"Benedetto colui che ti aiuta a correggere i tuoi errori invece di scagliarteli contro" ___________________________________ Gershom Sholem
|
|
| Top |
|
 |
|
f.izzillo
|
Inviato: 26/04/2011, 17:46 |
|
Iscritto il: 22/12/2009, 13:31 Messaggi: 9646 Località: Napoli
Nome: Francesco Izzillo
|
Isotomus ha scritto: f.izzillo ha scritto: Ho quattro esemplari italiani: La Fossiata di Sila (2 exx), Cugno dell'Acero di Pollino, La Camosciara (AQ); 2 exx di Grecia (Parnaso) e 5 exx. di Francia (Monginevro). Francamente non riscontro in alcuno dei miei inquisitor la differenza di colorazione che effettivamente esiste negli esemplari dell'appennino romagnolo. Gli esemplari di Camosciara e di Cugno sono leggermente più chiari, ma non più di tanto! Hai preso in considerazione maschi o femmine ? Si, in particolare i due esemplari un pò più chiari che ti ho citato sono femmine; ma altre femmine non mi sembrano differire in colorazione dal complesso degli esemplari maschi.
_________________ Francesco Izzillo
|
|
| Top |
|
 |
|
zerun59
|
Inviato: 26/04/2011, 20:48 |
|
Iscritto il: 09/02/2010, 19:31 Messaggi: 434
Nome: Zerun Zerunian
|
Ho una ventina di esemplari del M.te Subasio - Assisi (PG) e devo dire che ,soprattutto le femmine, non differiscono moltissimo da quella che hai fotografato dell'Etna. I maschi sono una via di mezzo tra le due colorazioni. Se e quando li vorrai esaminare basta che fai un fischio Ciao, Zerun.
|
|
| Top |
|
 |
|
hpl
|
Inviato: 26/04/2011, 23:13 |
|
Iscritto il: 04/04/2010, 22:20 Messaggi: 1041 Località: S.Pelagio (TS)
Nome: Alessandro Drago
|
|
quelli carsici che ho in collezione sono praticamente identici a quelli siciliani
_________________ - SoNo un PoMpIeRe -
|
|
| Top |
|
 |
|
Isotomus
|
Inviato: 27/04/2011, 7:59 |
|
Iscritto il: 05/09/2009, 7:56 Messaggi: 3445 Località: Cesena
Nome: Gianfranco Sama
|
zerun59 ha scritto: Ho una ventina di esemplari del M.te Subasio - Assisi (PG) e devo dire che ,soprattutto le femmine, non differiscono moltissimo da quella che hai fotografato dell'Etna. I maschi sono una via di mezzo tra le due colorazioni. Se e quando li vorrai esaminare basta che fai un fischio Ciao, Zerun. Grazie Zerun, però avresti dovuto dirmelo prima  R. inquisitor non era noto dell'Umbria e non sono più in tempo (almeno credo) ad aggiornare la nuova Checklist. Quante cose hai ancora ? Bisongna che venga a trovarti 
_________________ Gianfranco Sama
"Benedetto colui che ti aiuta a correggere i tuoi errori invece di scagliarteli contro" ___________________________________ Gershom Sholem
|
|
| Top |
|
 |
|
Isotomus
|
Inviato: 27/04/2011, 8:02 |
|
Iscritto il: 05/09/2009, 7:56 Messaggi: 3445 Località: Cesena
Nome: Gianfranco Sama
|
hpl ha scritto: quelli carsici che ho in collezione sono praticamente identici a quelli siciliani Grazie Alessandro, ne ho anch'io qualcuno 
_________________ Gianfranco Sama
"Benedetto colui che ti aiuta a correggere i tuoi errori invece di scagliarteli contro" ___________________________________ Gershom Sholem
|
|
| Top |
|
 |
|
zerun59
|
Inviato: 27/04/2011, 13:30 |
|
Iscritto il: 09/02/2010, 19:31 Messaggi: 434
Nome: Zerun Zerunian
|
Quando vorrai venire a trovarmi non potrà altro che farmi piacere  . Non mi stupisce molto che la specie non fosse nota per l'Umbria, infatti questa bellissima regione resta ancora un buco nero per quanto riguarda l'entomofauna e non solo (per quanto riguarda la Lepidotterofauna questo buco nero sta per essere colmato  ). Calcola che delle circa 800 specie di Macrolepidotteri che ho raccolto fino ad ora circa 170 sono prime segnalazioni per la regione  , e questo solo perché per anni ha raccolto con dei lumi fissi il compianto Ing. Carlo Prola che aveva una casa a S. Fausino (TR), altrimenti le prime segnalazioni sarebbero state molte di più  . Immagina cosa potrà uscire fuori anche con i Cerambicidi ed i Buprestidi.  Ciao, Zerun.
|
|
| Top |
|
 |
|
Velvet Ant
|
Inviato: 27/04/2011, 14:36 |
|
| Amministratore |
 |
Iscritto il: 02/02/2009, 23:30 Messaggi: 7102 Località: Capaci (Pa)
Nome: Marcello Romano
|
Spesso la presenza (o l'assenza) di una specie in una determinata regione, indica più che altro la presenza (o l'assenza) di un entomologo che si è occupato di quel gruppo o che ha raccolto sistematicamente in quei luoghi 
_________________ Marcello Romano
|
|
| Top |
|
 |
|