Benvenuto Ospite

Forum Entomologi Italiani

www.entomologiitaliani.net/forum
 
Oggi è 09/11/2025, 10:09

Tutti gli orari sono UTC + 1 ora [ ora legale ]

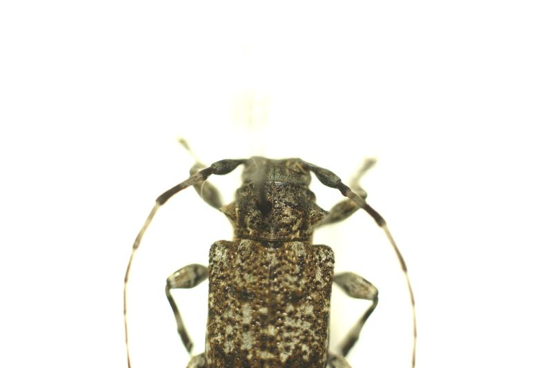
Aegomorphus clavipes (Schrank, 1781) Dettagli della specie

20.VII.1996 - ITALIA - Toscana - PO, Sucini


nuovo argomento
rispondi
Vai alla pagina 1, 2  Prossimo
Pagina 1 di 2 [ 18 messaggi ]
Autore Messaggio
MessaggioInviato: 30/11/2014, 10:26 
 

Iscritto il: 09/08/2013, 15:35
Messaggi: 1260
Nome: Andrea marata
Non so chi sia :?
Aiutino?
Grazie
Andrea :hi:

dimensioni: 1,1 cm


DSC05597.jpg

DSC05595.jpg

DSC05594.jpg

Top
profilo
 Oggetto del messaggio: Re: Quale cerambycidae
MessaggioInviato: 30/11/2014, 10:30 
Avatar utente

Iscritto il: 02/09/2009, 20:57
Messaggi: 8703
Località: Cagliari
Nome: Roberto Rattu
Aegomorphus clavipes (Schrank, 1781) - Cerambycidae Lamiinae

:hi:


Top
profilo
 Oggetto del messaggio: Re: Quale cerambycidae
MessaggioInviato: 30/11/2014, 10:33 
 

Iscritto il: 09/08/2013, 15:35
Messaggi: 1260
Nome: Andrea marata
Grazie,
rapidissimo..
Andrea :hi:


Top
profilo
 Oggetto del messaggio: Re: Quale cerambycidae
MessaggioInviato: 30/11/2014, 19:38 
Avatar utente

Iscritto il: 17/11/2010, 4:40
Messaggi: 269
Località: POLSKA - Warszawa
Nome: Adam Woźniak
This is probably A. clavipes.
It can not be ruled out A. francottei. To be sure, you have to see this specimen copulatory organs. :P


Top
profilo
 Oggetto del messaggio: Re: Quale cerambycidae
MessaggioInviato: 30/11/2014, 23:26 
Avatar utente

Iscritto il: 09/06/2012, 20:57
Messaggi: 4282
Località: Mesola (FE)
Nome: Daniele Maccapani
Adam, A. francottei is not known from Italy... :) :hi:

_________________
"Lasciate questo mondo un po' migliore di come lo avete trovato" (Sir Robert Baden Powell)
Immagine Daniele


Top
profilo
MessaggioInviato: 01/12/2014, 2:42 
Avatar utente

Iscritto il: 17/11/2010, 4:40
Messaggi: 269
Località: POLSKA - Warszawa
Nome: Adam Woźniak
Daniele, it proves nothing.
The range of this species does not preclude find it in Italy.
Maybe this is the first specimen? :bln:

Our complete was of Polish: only recently found in a collection of two specimens of A. francottei with ... 1904 year!
In Annex publication on this subject.
:hi:


Hilszczanski_A.obscurior_A.francottei_2008.pdf [537.98 KiB]
Scaricato 130 volte
Top
profilo
MessaggioInviato: 01/12/2014, 3:12 
Avatar utente

Iscritto il: 09/06/2012, 20:57
Messaggi: 4282
Località: Mesola (FE)
Nome: Daniele Maccapani
Ciao Adam :)
scusa se rispondo in italiano :oops:
non ho nulla da replicare, hai ragione! Finora sul forum gli Aegomorphus sono stati rinominati come clavipes senza porsi il problema, quindi ho rinominato la discussione così... Lascio decidere agli altri che ne sanno di più se lasciare il titolo così o no.
Ma come ho detto, sono d'accordo con te :) :hi:

_________________
"Lasciate questo mondo un po' migliore di come lo avete trovato" (Sir Robert Baden Powell)
Immagine Daniele


Top
profilo
MessaggioInviato: 01/12/2014, 4:23 
Avatar utente

Iscritto il: 17/11/2010, 4:40
Messaggi: 269
Località: POLSKA - Warszawa
Nome: Adam Woźniak
I understand, Daniele. :birra:

This specimen, however, to my eye looks at R. clavipes. ;)

It is always worth carefully look at all of the specimens, which we consider R. clavipes, in case of doubt watch their copulatory organs.

Perhaps in the future we will meet surprises in this topic!
:cap:


Top
profilo
MessaggioInviato: 01/12/2014, 8:31 
Avatar utente

Iscritto il: 30/12/2009, 22:20
Messaggi: 31564
Località: Roma
Nome: Maurizio Gigli
Hello Adam. I am enough skeptical about the presence of A. francottei in my collection, because I found most of my specimens on Populus, while I read A. francottei lives usually on Quercus, but maybe ...

However, perhaps do you have a key to separate francottei and clavipes without using genitalia?

_________________
Maurizio Gigli
http://utenti.romascuola.net/bups
http://bup.xoom.it/


Top
profilo
MessaggioInviato: 01/12/2014, 9:12 
Avatar utente

Iscritto il: 05/08/2009, 18:02
Messaggi: 2264
Nome: Marcello Benelli
I'm quite sure that francottei will be found in Italy one day or more. Maybe it might be present in North western Italy (e.g. Piemonte, Liguria...)...

_________________
Marci
"S'i fosse fuoco, arderei 'l mondo,
S'i fosse vento, lo tempesterei,
S'i fosse acqua, i' l'annegherei
s'i fosse dio, mandereil' en profondo" ( Cecco Angiolieri).


Top
profilo
MessaggioInviato: 01/12/2014, 13:58 
Avatar utente

Iscritto il: 17/11/2010, 4:40
Messaggi: 269
Località: POLSKA - Warszawa
Nome: Adam Woźniak
Dear Maurizio,
Species of the genus Aegomorphus is polyphagous. It is true that M. francottei far is given only to the oak. But I do not think that was a typical monophagous.

It is very difficult to distinguish A. francottei of A. clavipes only on the basis on morphological features.
The key is in the attached publication.
I think these qualities too unstable and not very convincing.

Marci, my friend,
Probably you're right.
If anything we deem A. francottei a good species! A long time I have what is this doubt...

:hi:


Hilszczański et Bystrowski_Aegomorphus wojtylai.pdf [557.36 KiB]
Scaricato 119 volte
Top
profilo
MessaggioInviato: 01/12/2014, 15:22 
Avatar utente

Iscritto il: 30/12/2009, 22:20
Messaggi: 31564
Località: Roma
Nome: Maurizio Gigli
Thank you very much, Adam. This paper is probably somewhere in the Forum, but it's difficult to find it among many topics.

_________________
Maurizio Gigli
http://utenti.romascuola.net/bups
http://bup.xoom.it/


Top
profilo
MessaggioInviato: 01/12/2014, 15:41 
Avatar utente

Iscritto il: 17/11/2010, 4:40
Messaggi: 269
Località: POLSKA - Warszawa
Nome: Adam Woźniak
Yuo're welcome, Maurizio. :birra:
Link to this document is online at my topic of A. obscurior :D :
http://www.entomologiitaliani.net/public/forum/phpBB3/viewtopic.php?f=145&t=43242&hilit=Aegomorphus+obscurior


Top
profilo
MessaggioInviato: 01/12/2014, 18:04 
 

Iscritto il: 09/08/2013, 15:35
Messaggi: 1260
Nome: Andrea marata
quindi devo estrarre?
Andrea :hi:


Top
profilo
MessaggioInviato: 01/12/2014, 19:44 
Avatar utente

Iscritto il: 05/08/2009, 18:02
Messaggi: 2264
Nome: Marcello Benelli
Estrai...e spara, se ti riesce... :lol:

_________________
Marci
"S'i fosse fuoco, arderei 'l mondo,
S'i fosse vento, lo tempesterei,
S'i fosse acqua, i' l'annegherei
s'i fosse dio, mandereil' en profondo" ( Cecco Angiolieri).


Top
profilo
Visualizza ultimi messaggi:  Ordina per  
nuovo argomento
rispondi
Vai alla pagina 1, 2  Prossimo
Pagina 1 di 2 [ 18 messaggi ]

Tutti gli orari sono UTC + 1 ora [ ora legale ]


Chi c’è in linea

Visitano il forum: Nessuno e 1 ospite


Non puoi aprire nuovi argomenti
Non puoi rispondere negli argomenti
Non puoi modificare i tuoi messaggi
Non puoi cancellare i tuoi messaggi
Non puoi inviare allegati

Cerca per:
Vai a: