Benvenuto Ospite

Forum Entomologi Italiani

www.entomologiitaliani.net/forum
 
Oggi è 09/11/2025, 13:57

Tutti gli orari sono UTC + 1 ora [ ora legale ]

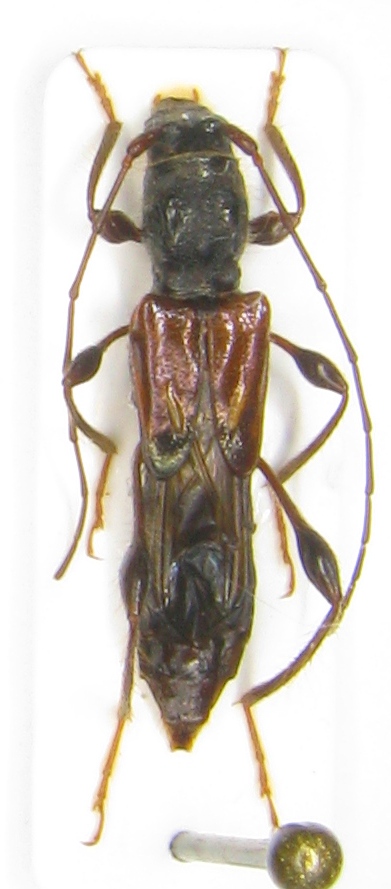
Molorchus minor minor (Linnaeus, 1758) Dettagli della specie

VI.2012 - GRECIA - EE, Peloponneso, Taigeto


nuovo argomento
rispondi
Pagina 1 di 1 [ 3 messaggi ]
Autore Messaggio
MessaggioInviato: 08/01/2015, 19:20 
Avatar utente

Iscritto il: 20/11/2009, 0:34
Messaggi: 571
Località: Vignola (Mo)
Nome: Claudio Sola
Misura 13mm


Peloponneso, Taigeto, Dendra , VI-2012 leg Sola C.   13mm.  .JPG


_________________
merlino
Top
profilo
 Oggetto del messaggio: Re: Molrcus
MessaggioInviato: 08/01/2015, 20:22 
Avatar utente

Iscritto il: 23/04/2010, 15:29
Messaggi: 604
Località: Morgano (TV)
Nome: Michele Carraretto
Anche questo mi sembra un M. minor.
:hi: michele


Top
profilo
 Oggetto del messaggio: Re: Molrcus
MessaggioInviato: 09/01/2015, 0:12 
Avatar utente

Iscritto il: 05/08/2009, 18:02
Messaggi: 2264
Nome: Marcello Benelli
:ok:

_________________
Marci
"S'i fosse fuoco, arderei 'l mondo,
S'i fosse vento, lo tempesterei,
S'i fosse acqua, i' l'annegherei
s'i fosse dio, mandereil' en profondo" ( Cecco Angiolieri).


Top
profilo
Visualizza ultimi messaggi:  Ordina per  
nuovo argomento
rispondi
Pagina 1 di 1 [ 3 messaggi ]

Tutti gli orari sono UTC + 1 ora [ ora legale ]


Chi c’è in linea

Visitano il forum: Nessuno e 1 ospite


Non puoi aprire nuovi argomenti
Non puoi rispondere negli argomenti
Non puoi modificare i tuoi messaggi
Non puoi cancellare i tuoi messaggi
Non puoi inviare allegati

Cerca per:
Vai a: