Benvenuto Ospite

Forum Entomologi Italiani

www.entomologiitaliani.net/forum
 
Oggi è 09/11/2025, 9:45

Tutti gli orari sono UTC + 1 ora [ ora legale ]

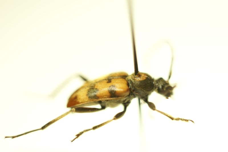
Pachytodes erraticus erraticus (Dalman, 1817) Dettagli della specie

22.VI.1997 - ITALIA - Toscana - PO, Vernio


nuovo argomento
rispondi
Pagina 1 di 1 [ 4 messaggi ]
Autore Messaggio
MessaggioInviato: 24/03/2015, 20:45 
 

Iscritto il: 09/08/2013, 15:35
Messaggi: 1260
Nome: Andrea marata
Salve,
... chi è?... :roll:
Grazie
Andrea :hi:
Dimensioni: 0,9 cm


DSC07376.jpg

DSC07377.jpg

DSC07378.jpg

Top
profilo
 Oggetto del messaggio: Re: Cerambicidae quale?
MessaggioInviato: 24/03/2015, 20:59 
Avatar utente

Iscritto il: 09/11/2010, 19:52
Messaggi: 4518
Località: Brescia
Nome: Luca Bodei
Pachytodes sp. C'è solo da capire se P.erraticus...o P.cerambyciformis...punterei più sul primo :hi:

_________________
Tc70


Top
profilo
 Oggetto del messaggio: Re: Cerambicidae quale?
MessaggioInviato: 24/03/2015, 21:03 
Avatar utente

Iscritto il: 16/10/2009, 21:03
Messaggi: 136
Località: Poland
Nome: Marcin Szewczyk
P. erraticus


Top
profilo
MessaggioInviato: 24/03/2015, 23:30 
 

Iscritto il: 09/08/2013, 15:35
Messaggi: 1260
Nome: Andrea marata
Grazie
Andrea :hi:


Top
profilo
Visualizza ultimi messaggi:  Ordina per  
nuovo argomento
rispondi
Pagina 1 di 1 [ 4 messaggi ]

Tutti gli orari sono UTC + 1 ora [ ora legale ]


Chi c’è in linea

Visitano il forum: Nessuno e 1 ospite


Non puoi aprire nuovi argomenti
Non puoi rispondere negli argomenti
Non puoi modificare i tuoi messaggi
Non puoi cancellare i tuoi messaggi
Non puoi inviare allegati

Cerca per:
Vai a: