| Forum Entomologi Italiani http://www.entomologiitaliani.net/public/forum/phpbb3/ |
|
| Alosterna tabacicolor (De Geer, 1775) - Cerambycidae http://www.entomologiitaliani.net/public/forum/phpbb3/viewtopic.php?f=145&t=61562 |
Pagina 1 di 1 |
| Autore: | claudio sola [ 19/05/2015, 12:53 ] | ||
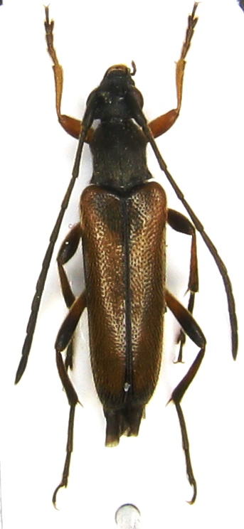
| Oggetto del messaggio: | Alosterna tabacicolor (De Geer, 1775) - Cerambycidae | ||
lo ho avuto in un piccolo lotto di insetti
|
|||
| Autore: | Plagionotus [ 26/05/2015, 21:28 ] |
| Oggetto del messaggio: | Re: cerambycidae |
Alosterna tabacicolor tabacicolor (De Geer, 1775) |
|
| Pagina 1 di 1 | Tutti gli orari sono UTC + 1 ora [ ora legale ] |
| Powered by phpBB® Forum Software © phpBB Group http://www.phpbb.com/ |
|