Benvenuto Ospite

Forum Entomologi Italiani

www.entomologiitaliani.net/forum
 
Oggi è 09/11/2025, 7:18

Tutti gli orari sono UTC + 1 ora [ ora legale ]

Xylotrechus (Xylotrechus) antilope antilope (Schöenherr, 1817) Dettagli della specie

14.X.2013 - ITALIA - Abruzzo - AQ, Aielli, Monte Sirente, 1400 m


nuovo argomento
rispondi
Pagina 1 di 1 [ 14 messaggi ]
Autore Messaggio
MessaggioInviato: 17/10/2013, 23:13 
Avatar utente

Iscritto il: 30/12/2009, 22:20
Messaggi: 31564
Località: Roma
Nome: Maurizio Gigli
Lunedì, sul Monte Sirente, ho raccolto il fusto di un piccolo ciliegio selvatico, attaccato da alcune specie di xilofagi (Cerambycidae e Buprestidae). Nel tagliarlo, ha mancato di poco una larva di Cerambycidae nella sua galleria, che ieri, mentre sistemavo nella cassetta i pezzi di legno, ho visto che era uscita dalla sua galleria e si era impupata.
E' apparentemente un Clytino. Pensavo ad un Chlorophorus glabromaculatus, che è una delle specie che più di frequente mi escono dagli allevamenti, ma non ne ho idea.

Abruzzo, L'Aquila, Aielli, Monte Sirente, 1400 m, 16.X.2013, in Prunus sp., M. Gigli legit
dimensioni della pupa: circa 12 mm

Larva_Monte_Sirente_1400m_14-X-2013_OL_002.JPG



Larva_Monte_Sirente_1400m_14-X-2013_OL_003.JPG



Il fusto, di circa 4 cm di diametro in questa sezione, col foro della larva
Larva_Monte_Sirente_1400m_14-X-2013_OL_004.JPG


_________________
Maurizio Gigli
http://utenti.romascuola.net/bups
http://bup.xoom.it/


Top
profilo
 Oggetto del messaggio: Re: Larva Clytino - Monte Sirente
MessaggioInviato: 17/10/2013, 23:37 
Avatar utente

Iscritto il: 23/09/2009, 15:14
Messaggi: 1394
Località: Verona
Nome: Alessandro Pinna
Maurizio, dalle mie parti di solito attacchi così ai Prunus li fa Clytus arietis. Ma di più non saprei dire.
:hi:

_________________
AleP


Top
profilo
 Oggetto del messaggio: Re: Larva Clytino - Monte Sirente
MessaggioInviato: 17/10/2013, 23:51 
Avatar utente

Iscritto il: 30/12/2009, 22:20
Messaggi: 31564
Località: Roma
Nome: Maurizio Gigli
AleP ha scritto:
Maurizio, dalle mie parti di solito attacchi così ai Prunus li fa Clytus arietis. Ma di più non saprei dire.
:hi:

Che sarebbe compatibile con quella pupa. Sempre meglio del C. glabromaculatus, anche se di poco!

_________________
Maurizio Gigli
http://utenti.romascuola.net/bups
http://bup.xoom.it/


Top
profilo
 Oggetto del messaggio: Re: Larva Clytino - Monte Sirente
MessaggioInviato: 18/10/2013, 8:21 
Avatar utente

Iscritto il: 05/08/2009, 18:02
Messaggi: 2264
Nome: Marcello Benelli
Davvero? addirittura megliio il clytus del chlorophorus???
A me l'arietis salta fuori dapertutto!!!

_________________
Marci
"S'i fosse fuoco, arderei 'l mondo,
S'i fosse vento, lo tempesterei,
S'i fosse acqua, i' l'annegherei
s'i fosse dio, mandereil' en profondo" ( Cecco Angiolieri).


Top
profilo
 Oggetto del messaggio: Re: Larva Clytino - Monte Sirente
MessaggioInviato: 18/10/2013, 8:42 
Avatar utente

Iscritto il: 11/11/2009, 20:54
Messaggi: 4850
Località: Pesaro
Nome: Marco Paglialunga
...sperando che non faccia l'indiano :lol1:

_________________
O voi ch'avete li 'ntelletti sani, mirate la dottrina che s'asconde sotto 'l velame de li versi strani
(InfeRRno - canto IX - vv. 61-63)


Top
profilo
 Oggetto del messaggio: Re: Larva Clytino - Monte Sirente
MessaggioInviato: 18/10/2013, 13:29 
Avatar utente

Iscritto il: 30/12/2009, 22:20
Messaggi: 31564
Località: Roma
Nome: Maurizio Gigli
Entomarci ha scritto:
Davvero? addirittura megliio il clytus del chlorophorus???
A me l'arietis salta fuori dapertutto!!!

Qui il Chlorophorus glabromaculatus esce quasi da ogni prelievo. Il bello è che in giro non si vede quasi mai. Il Clytus arietis è comune, ma non così tanto.

marco paglialunga ha scritto:
...sperando che non faccia l'indiano :lol1:

potrebbe pure essere.

_________________
Maurizio Gigli
http://utenti.romascuola.net/bups
http://bup.xoom.it/


Top
profilo
 Oggetto del messaggio: Re: Larva Clytino - Monte Sirente
MessaggioInviato: 18/10/2013, 14:37 
Avatar utente

Iscritto il: 23/09/2009, 15:14
Messaggi: 1394
Località: Verona
Nome: Alessandro Pinna
Qui le due specie menzionate sono più o meno paragonabili come frequenza. Però hanno preferenze diverse: i Clytus arietis attaccano prevalentemente Prunus e Crategus, pur essendo polifagi (mi sono schiusi anche da Alnus per es). Invece il C. glabromaculatus mi è sempre schiuso da rami secchi di Quercus e Ulmus, mai da Prunus.
Ovviamente non è detto che questa preferenza sia adattabile anche ad altre aree d'Italia.

_________________
AleP


Top
profilo
 Oggetto del messaggio: Re: Larva Clytino - Monte Sirente
MessaggioInviato: 10/02/2014, 22:19 
Avatar utente

Iscritto il: 08/07/2010, 10:53
Messaggi: 3171
Località: Matera
Nome: Domenico Cardinale
Maurizio alla fine cos'è sfarfallato?

_________________
Saluti :hi: Mimmo


Top
profilo
 Oggetto del messaggio: Re: Larva Clytino - Monte Sirente
MessaggioInviato: 10/02/2014, 22:30 
Avatar utente

Iscritto il: 06/11/2011, 23:59
Messaggi: 1134
Località: Casola Valsenio
Nome: Carlo Arrigo Casadio
Mimmo011 ha scritto:
Maurizio alla fine cos'è sfarfallato?


Vista la data di raccolta penso si dovrà aspettare ancora qualche mese prima di vedere il pargolo ;)

_________________
Carlo Arrigo

"Solo un entomologo può capire il piacere da me provato nel cacciare per ore in qua e in là, sotto il sole cocente, tra i rami e i ramoscelli e la corteccia degli alberi caduti"
Alfred Russel Wallace


Top
profilo
 Oggetto del messaggio: Re: Larva Clytino - Monte Sirente
MessaggioInviato: 10/02/2014, 23:53 
Avatar utente

Iscritto il: 30/12/2009, 22:20
Messaggi: 31564
Località: Roma
Nome: Maurizio Gigli
E' che non mi ricordo dove l'ho messo!

Per ora mettiamola nella sezione fuori dei Forum sistematici, poi se ripesco l'adulto (che ormai sarà secco in qualche barattolino forato) lo aggiungo e sposto la discussione tra i Cerambycidae (mi è venuto il dubbio che potrei aver messo la pupa in una provetta forata dentro la cassetta con la legna presa quel giorno, che però è fuori, e ora non ho intenzione di andare sul balcone a cercarla tra le altre.

_________________
Maurizio Gigli
http://utenti.romascuola.net/bups
http://bup.xoom.it/


Top
profilo
 Oggetto del messaggio: Re: Larva Clytino - Monte Sirente
MessaggioInviato: 06/06/2015, 14:38 
Avatar utente

Iscritto il: 04/04/2010, 22:20
Messaggi: 1041
Località: S.Pelagio (TS)
Nome: Alessandro Drago
trovato? :mrgreen: :mrgreen: :mrgreen:

_________________
- SoNo un PoMpIeRe -


Top
profilo
 Oggetto del messaggio: Re: Larva Clytino - Monte Sirente
MessaggioInviato: 06/06/2015, 17:52 
Avatar utente

Iscritto il: 30/12/2009, 22:20
Messaggi: 31564
Località: Roma
Nome: Maurizio Gigli
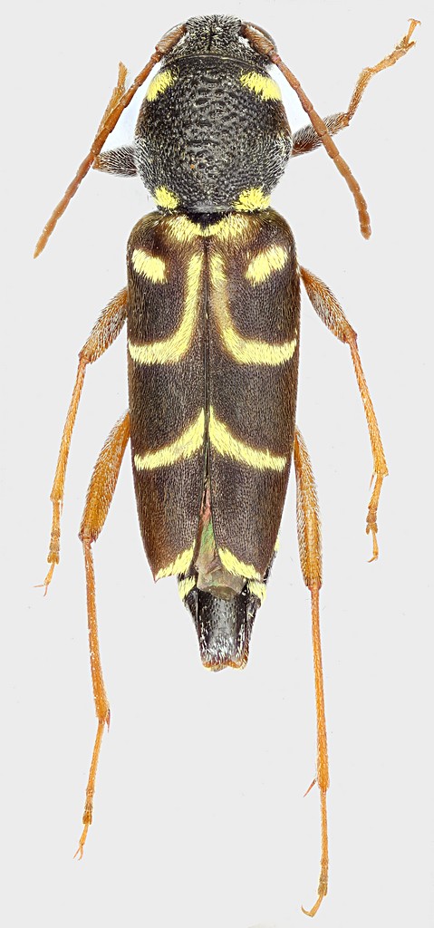
E' risbucato fuori il barattolino dei formaggini proprio pochi giorni fa, sistemando della roba su un mobile della camera da letto!

Ho appena dato un'occhiata all'adulto secco da un anno, e mi pare proprio uno Xylotrechus antilope. Che sarebbe un ritrovamento mica male, per l'Abruzzo!

Comunque, l'ho messo in camera umida, così lo preparo e lo fotografo.

_________________
Maurizio Gigli
http://utenti.romascuola.net/bups
http://bup.xoom.it/


Top
profilo
 Oggetto del messaggio: Re: Larva Clytino - Monte Sirente
MessaggioInviato: 17/06/2015, 19:24 
Avatar utente

Iscritto il: 30/12/2009, 22:20
Messaggi: 31564
Località: Roma
Nome: Maurizio Gigli
Eccolo qui.
Non è in condizioni perfette, ma è rimasto un anno o più dentro al barattolo.

Xylotrechus_antilope_Aquila_Aielli_Sirente_1400m_2015_10,5mm_grey.jpg


_________________
Maurizio Gigli
http://utenti.romascuola.net/bups
http://bup.xoom.it/


Top
profilo
 Oggetto del messaggio: Re: Larva Clytino - Monte Sirente
MessaggioInviato: 17/06/2015, 20:57 
Avatar utente

Iscritto il: 23/09/2009, 15:14
Messaggi: 1394
Località: Verona
Nome: Alessandro Pinna
Beh alla fine ci ero andato vicino!

_________________
AleP


Top
profilo
Visualizza ultimi messaggi:  Ordina per  
nuovo argomento
rispondi
Pagina 1 di 1 [ 14 messaggi ]

Tutti gli orari sono UTC + 1 ora [ ora legale ]


Chi c’è in linea

Visitano il forum: Nessuno e 2 ospiti


Non puoi aprire nuovi argomenti
Non puoi rispondere negli argomenti
Non puoi modificare i tuoi messaggi
Non puoi cancellare i tuoi messaggi
Non puoi inviare allegati

Cerca per:
Vai a:  
cron