Benvenuto Ospite

Forum Entomologi Italiani

www.entomologiitaliani.net/forum
 
Oggi è 09/11/2025, 11:47

Tutti gli orari sono UTC + 1 ora [ ora legale ]

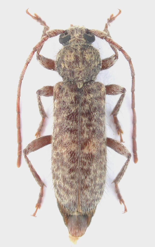
Trichoferus fasciculatus fasciculatus (Faldermann, 1837) Dettagli della specie

11.VII.2015 - MALTA - EE, Għajn Tuffieħa (gariga), da legna di carrubo raccolta nel III.2015, R. Rattu leg.


nuovo argomento
rispondi
Pagina 1 di 1 [ 1 messaggio ]
Autore Messaggio
MessaggioInviato: 14/07/2015, 11:01 
Avatar utente

Iscritto il: 02/09/2009, 20:57
Messaggi: 8703
Località: Cagliari
Nome: Roberto Rattu
T. fasciculatus è una delle tre specie di Trichoferus note dell'Arcipelago Maltese. Questo esemplare misura 9.2 mm. Ottenuto da un prelievo di legna di carrubo.

DSCN0348.JPG



Top
profilo
Visualizza ultimi messaggi:  Ordina per  
nuovo argomento
rispondi
Pagina 1 di 1 [ 1 messaggio ]

Tutti gli orari sono UTC + 1 ora [ ora legale ]


Chi c’è in linea

Visitano il forum: Nessuno e 2 ospiti


Non puoi aprire nuovi argomenti
Non puoi rispondere negli argomenti
Non puoi modificare i tuoi messaggi
Non puoi cancellare i tuoi messaggi
Non puoi inviare allegati

Cerca per:
Vai a: