| Forum Entomologi Italiani http://www.entomologiitaliani.net/public/forum/phpbb3/ |
|
| Pseudovadonia livida (Fabricius, 1776) - Cerambycidae http://www.entomologiitaliani.net/public/forum/phpbb3/viewtopic.php?f=145&t=63166 |
Pagina 1 di 1 |
| Autore: | Baris99 [ 26/07/2015, 14:26 ] | ||
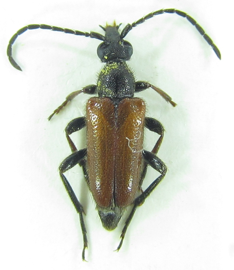
| Oggetto del messaggio: | Pseudovadonia livida (Fabricius, 1776) - Cerambycidae | ||
? Size:9 mm
|
|||
| Autore: | Plagionotus [ 26/07/2015, 19:16 ] |
| Oggetto del messaggio: | Re: Cerambycidae? 3 |
It is Pseudovadonia livida, but I didn't know exactly the distribution of ssp. desbrochersi, exept that it is present in eastern Turkey. The locality is exaclty in the middle of the country so... |
|
| Autore: | Baris99 [ 26/07/2015, 19:38 ] |
| Oggetto del messaggio: | Re: Cerambycidae? 3 |
Genital examination would be helpful? |
|
| Autore: | Plagionotus [ 26/07/2015, 20:26 ] |
| Oggetto del messaggio: | Re: Cerambycidae? 3 |
I don't think so |
|
| Autore: | Baris99 [ 26/07/2015, 22:33 ] |
| Oggetto del messaggio: | Re: Cerambycidae? 3 |
From "THE LONGICORN BEETLES OF TURKEY (COLEOPTERA: CERAMBYCIDAE) PART I - BLACK SEA REGION"(Özdikmen 2007): The species is represented by three subspecies in Turkey. P. livida desbrochersi (Pic, 1891) occurring in East or North-East Turkey, P. livida pecta (Adlbauer, 1988) occurring in South and West Turkey and the nominative P. livida livida occurring in other parts of Turkey So Pseudovadonia livida livida |
|
| Autore: | Plagionotus [ 27/07/2015, 14:25 ] |
| Oggetto del messaggio: | Re: Cerambycidae? 3 |
The point is that I don't know exactly the distribution and the characters, and since this was collected in the middle of Turkey, I am not sure. |
|
| Pagina 1 di 1 | Tutti gli orari sono UTC + 1 ora [ ora legale ] |
| Powered by phpBB® Forum Software © phpBB Group http://www.phpbb.com/ |
|