Benvenuto Ospite

Forum Entomologi Italiani

www.entomologiitaliani.net/forum
 
Oggi è 09/11/2025, 9:59

Tutti gli orari sono UTC + 1 ora [ ora legale ]

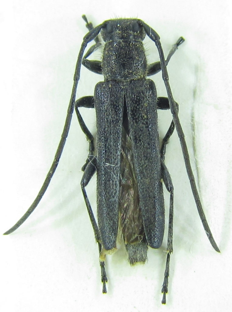
Opsilia coerulescens (Scopoli, 1763) Dettagli della specie

10.VII.2015 - TURCHIA - EE, Urla,Izmir


nuovo argomento
rispondi
Pagina 1 di 1 [ 4 messaggi ]
Autore Messaggio
MessaggioInviato: 01/08/2015, 10:55 
Avatar utente

Iscritto il: 21/09/2014, 11:55
Messaggi: 1561
Località: Istanbul Turkey
Nome: Barış
?
Size:11 mm


Cerambycidae sp 11mm 10-07-2015 Urla Ev.jpg

Top
profilo
 Oggetto del messaggio: Re: Cerambycidae? 2
MessaggioInviato: 02/08/2015, 11:47 
Avatar utente

Iscritto il: 21/09/2014, 11:55
Messaggi: 1561
Località: Istanbul Turkey
Nome: Barış
Agapanthia sp.??? :?


Top
profilo
 Oggetto del messaggio: Re: Cerambycidae? 2
MessaggioInviato: 02/08/2015, 12:13 
 

Iscritto il: 13/09/2009, 18:04
Messaggi: 881
Nome: Pierpaolo Rapuzzi
Opsilia coerulescens!


Top
profilo
 Oggetto del messaggio: Re: Cerambycidae? 2
MessaggioInviato: 02/08/2015, 12:42 
Avatar utente

Iscritto il: 21/09/2014, 11:55
Messaggi: 1561
Località: Istanbul Turkey
Nome: Barış
:ses :ses :ses
Thanks for ID :D


Top
profilo
Visualizza ultimi messaggi:  Ordina per  
nuovo argomento
rispondi
Pagina 1 di 1 [ 4 messaggi ]

Tutti gli orari sono UTC + 1 ora [ ora legale ]


Chi c’è in linea

Visitano il forum: Nessuno e 1 ospite


Non puoi aprire nuovi argomenti
Non puoi rispondere negli argomenti
Non puoi modificare i tuoi messaggi
Non puoi cancellare i tuoi messaggi
Non puoi inviare allegati

Cerca per:
Vai a: