Benvenuto Ospite

Forum Entomologi Italiani

www.entomologiitaliani.net/forum
 
Oggi è 09/11/2025, 11:51

Tutti gli orari sono UTC + 1 ora [ ora legale ]

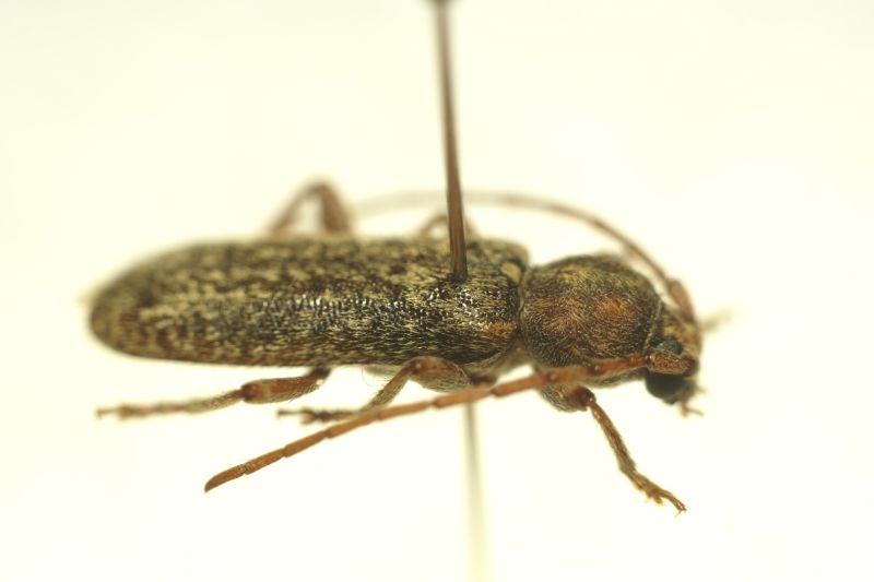
Trichoferus fasciculatus fasciculatus (Faldermann, 1837) Dettagli della specie

29.VI.2015 - ITALIA - Marche - MC, Monte San Giusto


nuovo argomento
rispondi
Pagina 1 di 1 [ 3 messaggi ]
Autore Messaggio
MessaggioInviato: 03/12/2015, 13:19 
 

Iscritto il: 09/08/2013, 15:35
Messaggi: 1260
Nome: Andrea marata
Salve,
Chi è costui?... :roll: Trichoferus fasciculatus fasciculatus (Faldermann, 1837)?
Grazie
Andrea :hi:
Dimensioni: 12 mm
DSC01157.jpg


DSC01158.jpg


DSC01159.jpg



Top
profilo
 Oggetto del messaggio: Re: Cerambicidae quale?
MessaggioInviato: 03/12/2015, 14:27 
Avatar utente

Iscritto il: 17/11/2010, 4:40
Messaggi: 269
Località: POLSKA - Warszawa
Nome: Adam Woźniak
Yes Andrea, :ok: this is a male Trichoferus fasciculatus fasciculatus (FALDERMANN, 1837).


Top
profilo
 Oggetto del messaggio: Re: Cerambicidae quale?
MessaggioInviato: 03/12/2015, 15:16 
 

Iscritto il: 09/08/2013, 15:35
Messaggi: 1260
Nome: Andrea marata
Thank you,
Andrea :hi:


Top
profilo
Visualizza ultimi messaggi:  Ordina per  
nuovo argomento
rispondi
Pagina 1 di 1 [ 3 messaggi ]

Tutti gli orari sono UTC + 1 ora [ ora legale ]


Chi c’è in linea

Visitano il forum: Nessuno e 1 ospite


Non puoi aprire nuovi argomenti
Non puoi rispondere negli argomenti
Non puoi modificare i tuoi messaggi
Non puoi cancellare i tuoi messaggi
Non puoi inviare allegati

Cerca per:
Vai a: