Benvenuto Ospite

Forum Entomologi Italiani

www.entomologiitaliani.net/forum
 
Oggi è 07/11/2025, 20:24

Tutti gli orari sono UTC + 1 ora [ ora legale ]

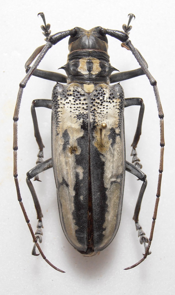
Batocera malletti Schmitt, 2000

XII.1988 - THAILANDIA - EE, Doi Inthanon, Chiang Mai


nuovo argomento
rispondi
Pagina 1 di 1 [ 5 messaggi ]
Autore Messaggio
 Oggetto del messaggio: Batocera malletti Schmitt, 2000
MessaggioInviato: 12/02/2016, 17:03 
Avatar utente

Iscritto il: 06/11/2011, 23:59
Messaggi: 1134
Località: Casola Valsenio
Nome: Carlo Arrigo Casadio
Dato che l'ho postata per risolvere un problema in un altra sezione adesso ve la mostro coi i dati completi.
Descritta su esemplari provenienti dal Laos si trova anche in Thailandia, la località tipica infatti non è molto distante dal confine tra i due stati.
Maschio 63 mm, femmina 59.

maschio
Batocera malletti m.jpg



femmina
Batocera malletti f.jpg


_________________
Carlo Arrigo

"Solo un entomologo può capire il piacere da me provato nel cacciare per ore in qua e in là, sotto il sole cocente, tra i rami e i ramoscelli e la corteccia degli alberi caduti"
Alfred Russel Wallace


Top
profilo
 Oggetto del messaggio: Re: Batocera malletti Schmitt, 2000
MessaggioInviato: 12/02/2016, 17:05 
Avatar utente

Iscritto il: 30/12/2009, 22:20
Messaggi: 31564
Località: Roma
Nome: Maurizio Gigli
Beh, mi pare che un po' si sia pulita.

_________________
Maurizio Gigli
http://utenti.romascuola.net/bups
http://bup.xoom.it/


Top
profilo
 Oggetto del messaggio: Re: Batocera malletti Schmitt, 2000
MessaggioInviato: 12/02/2016, 18:17 
Avatar utente

Iscritto il: 09/11/2009, 14:12
Messaggi: 5145
Località: Hradec Kralove,Czech republik
Nome: Jan Matějíček
Credo che la descrizione originale Batocera lineolata maletti Schmitt, 2000

_________________
Research Fields
Taxonomy, ecology, biomonitoring , faunistic of Staphylinidae


Top
profilo
 Oggetto del messaggio: Re: Batocera malletti Schmitt, 2000
MessaggioInviato: 12/02/2016, 18:32 
Avatar utente

Iscritto il: 06/11/2011, 23:59
Messaggi: 1134
Località: Casola Valsenio
Nome: Carlo Arrigo Casadio
Hi Jan,
la descrizione originale è Batocera malleti nov. sp.
il lavoro è: Olivier Shmitt, NOUVEAU BATOCERA DU LAOS (Coléoptère Cerambycide, Batocerini), Lambillionea, C, 3, septembre 2000
I have the work in my hands :)

_________________
Carlo Arrigo

"Solo un entomologo può capire il piacere da me provato nel cacciare per ore in qua e in là, sotto il sole cocente, tra i rami e i ramoscelli e la corteccia degli alberi caduti"
Alfred Russel Wallace


Top
profilo
 Oggetto del messaggio: Re: Batocera malletti Schmitt, 2000
MessaggioInviato: 12/02/2016, 21:02 
Avatar utente

Iscritto il: 13/06/2015, 13:46
Messaggi: 1674
Località: Milano
Nome: Claudio Leali
Ciao Carlo, grazie per aver postato le belle foto di una sp. di cui ignoravo (sich!) l'esistenza, posso solo dire che sono due esemplari SPLENDIDI! :hp:

:hi: e grazie
Claudio

_________________
"E' ciò che non si vede, non quello che si vede che fa paura."
Christopher Lee


Top
profilo
Visualizza ultimi messaggi:  Ordina per  
nuovo argomento
rispondi
Pagina 1 di 1 [ 5 messaggi ]

Tutti gli orari sono UTC + 1 ora [ ora legale ]


Chi c’è in linea

Visitano il forum: Nessuno e 3 ospiti


Non puoi aprire nuovi argomenti
Non puoi rispondere negli argomenti
Non puoi modificare i tuoi messaggi
Non puoi cancellare i tuoi messaggi
Non puoi inviare allegati

Cerca per:
Vai a: