Benvenuto Ospite

Forum Entomologi Italiani

www.entomologiitaliani.net/forum
 
Oggi è 08/11/2025, 13:19

Tutti gli orari sono UTC + 1 ora [ ora legale ]

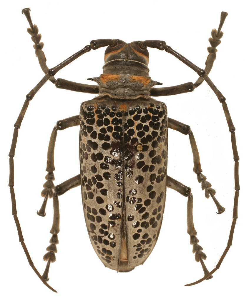
Rosenbergia rufolineata Breuning, 1948

IV.1991 - PAPUA NUOVA GUINEA - EE, Okapa, Eastern Highlands Province


nuovo argomento
rispondi
Pagina 1 di 1 [ 1 messaggio ]
Autore Messaggio
MessaggioInviato: 25/02/2016, 21:29 
Avatar utente

Iscritto il: 06/11/2011, 23:59
Messaggi: 1134
Località: Casola Valsenio
Nome: Carlo Arrigo Casadio
Questa è l'altra specie incriminata.
Come si può vedere dalle foto presenta un'elevata variabilità nell'estensione e distribuzione sia delle bande arancioni delle elitre (che vanno dal giallo al rosso) che dei tubercoli che ricoprono le elitre; in ogni caso si distingue a colpo d'occhio dalla Rosenbergia straussi Gestro 1876.

Maschio, 59 mm Okapa
Rosenbergia rufolineata m1.jpg



Femmina 63 mm Okapa
Rosenbergia rufolineata m 2.jpg



Femmina 62 mm Aseki
Rosenbergia rufolineata 3.jpg


In questo esemplare le bande arancioni delle elitre sono praticamente assenti

Femmina 58 mm Arfak
Rosenbergia rufolineata Arfak.jpg



Rosenbergia rufolineata.jpg


Negli ultimi anni sono riuscito a reperire una piccola serie di esemplari anche dalla zona dei monti Arfak, in West Papua; la maggior parte degli esemplari nelle collezioni provengono comunque da Okapa, nelle Eastern Highlands.

_________________
Carlo Arrigo

"Solo un entomologo può capire il piacere da me provato nel cacciare per ore in qua e in là, sotto il sole cocente, tra i rami e i ramoscelli e la corteccia degli alberi caduti"
Alfred Russel Wallace


Top
profilo
Visualizza ultimi messaggi:  Ordina per  
nuovo argomento
rispondi
Pagina 1 di 1 [ 1 messaggio ]

Tutti gli orari sono UTC + 1 ora [ ora legale ]


Chi c’è in linea

Visitano il forum: Nessuno e 3 ospiti


Non puoi aprire nuovi argomenti
Non puoi rispondere negli argomenti
Non puoi modificare i tuoi messaggi
Non puoi cancellare i tuoi messaggi
Non puoi inviare allegati

Cerca per:
Vai a: