Benvenuto Ospite

Forum Entomologi Italiani

www.entomologiitaliani.net/forum
 
Oggi è 09/11/2025, 1:11

Tutti gli orari sono UTC + 1 ora [ ora legale ]

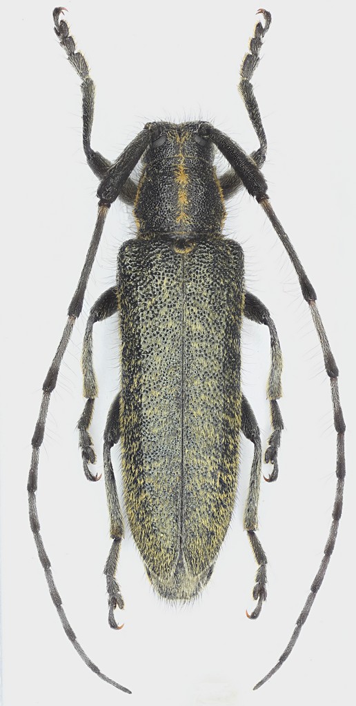
Agapanthia (Epoptes) villosoviridescens (De Geer, 1775) Dettagli della specie

25.VI.2016 - ITALIA - Abruzzo - AQ, Campo di Giove, 1600 m


nuovo argomento
rispondi
Pagina 1 di 1 [ 3 messaggi ]
Autore Messaggio
MessaggioInviato: 16/07/2016, 15:18 
Avatar utente

Iscritto il: 30/12/2009, 22:20
Messaggi: 31564
Località: Roma
Nome: Maurizio Gigli
Ecco un paio degli esemplari strani di Agapanthia villosoviridescens a cui mi riferivo qui. Ora che si sono seccate non sembrano più così strane. Due o tre hanno riacquistato il normale aspetto da villosoviridescens, mentre le altre sono rimaste comunque scure, anche se ormai perfettamente asciutte.
Metto le foto di uno degli esemplari più scuri (diversi altri sono praticamente identici), e di quello con la pubescenza più fitta e chiara. Le dimensioni degli 11 esemplari vanno da 11 a 14 mm.
Da notare che non possono essere esemplari vecchi, anzi forse erano all'inizio dell'attività, visto che le piante ospiti (delle grandi ombrellifere a fiori verdi, di cui devo ritrovare il nome) erano ancora abbastanza indietro nello sviluppo. L'anno scorso ne avevo trovate altre uguali, nello stesso posto, qualche settimana dopo. Direi che sono esemplari mediamente piccoli e scuri, piuttosto diversi dai grossi esemplari gialli che trovo normalmente in pianura qui intorno.

Abruzzo, L'Aquila, Campo di Giove, 1600 m, 25.VI.2016, M. Gigli legit

11 mm
Agapanthia_villosoviridescens_Campo_di_Giove_1600m_25-VI-2016_11mm_grey.jpg



13 mm
Agapanthia_villosoviridescens_Campo_di_Giove_1600m_25-VI-2016_13mm_grey.jpg


_________________
Maurizio Gigli
http://utenti.romascuola.net/bups
http://bup.xoom.it/


Top
profilo
MessaggioInviato: 16/07/2016, 15:44 
Avatar utente

Iscritto il: 19/06/2012, 14:35
Messaggi: 5637
Località: Alfonsine (RA)
Nome: Marco Villani
Secondo me sono proprio villosoviridescens.
:hi:


Top
profilo
MessaggioInviato: 16/07/2016, 19:44 
Avatar utente

Iscritto il: 21/05/2009, 14:59
Messaggi: 6994
Località: Parigi
Nome: Riccardo Poloni
Su queste due non ho alcun dubbio! Anche nella prima "pelata" si vedono bene i ciuffi distinti che c'erano una volta, villosoviridescens!

_________________
Riccardo Poloni
La dignità degli elementi
la libertà della poesia,
al di là dei tradimenti degli uomini
è magia, è magia, è magia...
Negrita, Rotolando verso sud


Top
profilo
Visualizza ultimi messaggi:  Ordina per  
nuovo argomento
rispondi
Pagina 1 di 1 [ 3 messaggi ]

Tutti gli orari sono UTC + 1 ora [ ora legale ]


Chi c’è in linea

Visitano il forum: Nessuno e 1 ospite


Non puoi aprire nuovi argomenti
Non puoi rispondere negli argomenti
Non puoi modificare i tuoi messaggi
Non puoi cancellare i tuoi messaggi
Non puoi inviare allegati

Cerca per:
Vai a: