Benvenuto Ospite

Forum Entomologi Italiani

www.entomologiitaliani.net/forum
 
Oggi è 09/11/2025, 6:32

Tutti gli orari sono UTC + 1 ora [ ora legale ]

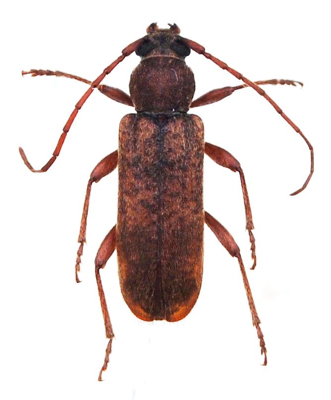
Trichoferus sp.

15.IX.2016 - GRECIA - EE, Rhodes , Faliraki env.


nuovo argomento
rispondi
Pagina 1 di 1 [ 5 messaggi ]
Autore Messaggio
 Oggetto del messaggio: Trichoferus sp.
MessaggioInviato: 20/10/2016, 13:24 
Avatar utente

Iscritto il: 09/11/2009, 14:12
Messaggi: 5145
Località: Hradec Kralove,Czech republik
Nome: Jan Matějíček
Trichoferus sp. :?


Trichoferus sp..JPG


_________________
Research Fields
Taxonomy, ecology, biomonitoring , faunistic of Staphylinidae
Top
profilo
 Oggetto del messaggio: Re: Trichoferus sp.
MessaggioInviato: 20/10/2016, 13:54 
Avatar utente

Iscritto il: 23/04/2010, 15:29
Messaggi: 604
Località: Morgano (TV)
Nome: Michele Carraretto
Trichoferus griseus
:hi: michele


Top
profilo
 Oggetto del messaggio: Re: Trichoferus sp.
MessaggioInviato: 20/10/2016, 18:09 
Avatar utente

Iscritto il: 09/11/2009, 14:12
Messaggi: 5145
Località: Hradec Kralove,Czech republik
Nome: Jan Matějíček
michele.carraretto ha scritto:
Trichoferus griseus
:hi: michele



Grazie mille Michele :lov1:

_________________
Research Fields
Taxonomy, ecology, biomonitoring , faunistic of Staphylinidae


Top
profilo
 Oggetto del messaggio: Re: Trichoferus sp.
MessaggioInviato: 20/10/2016, 18:10 
Avatar utente

Iscritto il: 21/05/2009, 14:59
Messaggi: 6994
Località: Parigi
Nome: Riccardo Poloni
Il griseus può essere confuso con almeno un'altra specie, magari aspettiamo qualcuno con un po' di occhiometro.

_________________
Riccardo Poloni
La dignità degli elementi
la libertà della poesia,
al di là dei tradimenti degli uomini
è magia, è magia, è magia...
Negrita, Rotolando verso sud


Top
profilo
 Oggetto del messaggio: Re: Trichoferus sp.
MessaggioInviato: 20/10/2016, 19:19 
Avatar utente

Iscritto il: 09/11/2009, 14:12
Messaggi: 5145
Località: Hradec Kralove,Czech republik
Nome: Jan Matějíček
:?: Trichoferus fasciculatus (Faldermann, 1837)

_________________
Research Fields
Taxonomy, ecology, biomonitoring , faunistic of Staphylinidae


Top
profilo
Visualizza ultimi messaggi:  Ordina per  
nuovo argomento
rispondi
Pagina 1 di 1 [ 5 messaggi ]

Tutti gli orari sono UTC + 1 ora [ ora legale ]


Chi c’è in linea

Visitano il forum: Nessuno e 1 ospite


Non puoi aprire nuovi argomenti
Non puoi rispondere negli argomenti
Non puoi modificare i tuoi messaggi
Non puoi cancellare i tuoi messaggi
Non puoi inviare allegati

Cerca per:
Vai a:  
cron