Benvenuto Ospite

Forum Entomologi Italiani

www.entomologiitaliani.net/forum
 
Oggi è 08/11/2025, 3:23

Tutti gli orari sono UTC + 1 ora [ ora legale ]

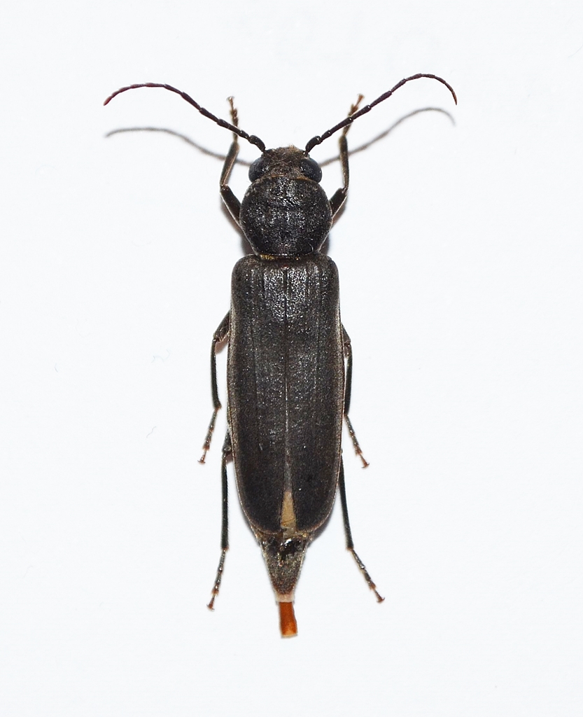
Arhopalus ferus (Mulsant, 1839) Dettagli della specie

19.VIII.2017 - SPAGNA - EE, Les Salades, Elche (Alicante)


nuovo argomento
rispondi
Pagina 1 di 1 [ 4 messaggi ]
Autore Messaggio
MessaggioInviato: 22/02/2018, 20:18 
Avatar utente

Iscritto il: 25/04/2016, 19:02
Messaggi: 889
Località: Scandicci
Nome: Carlos R. de Queros
Arrivato alla luce

20mm

Grazie in anticipo!!


DSC_0596.JPG

Top
profilo
 Oggetto del messaggio: Re: Cerambycidae Spagna
MessaggioInviato: 23/02/2018, 21:59 
Avatar utente

Iscritto il: 21/05/2009, 14:59
Messaggi: 6994
Località: Parigi
Nome: Riccardo Poloni
Vista la località potrevve essere ferus o syriacus. Dovresti guardare se i tarsi posteriori sono bifidi fino in gondo e se gli occhi hanno peluria tra gli ommatidi

_________________
Riccardo Poloni
La dignità degli elementi
la libertà della poesia,
al di là dei tradimenti degli uomini
è magia, è magia, è magia...
Negrita, Rotolando verso sud


Top
profilo
 Oggetto del messaggio: Re: Cerambycidae Spagna
MessaggioInviato: 23/02/2018, 23:04 
Avatar utente

Iscritto il: 25/04/2016, 19:02
Messaggi: 889
Località: Scandicci
Nome: Carlos R. de Queros
Grazie delle dritte Riccardo! controllerò.

Infatti ci sarebbe pure il rusticus in prov. Alicante, ma leggevo che è legato a ambienti più ''umidi''


http://www.cerambycoidea.com/titles/penaalii2007.pdf


Top
profilo
 Oggetto del messaggio: Re: Cerambycidae Spagna
MessaggioInviato: 25/02/2018, 0:38 
Avatar utente

Iscritto il: 25/04/2016, 19:02
Messaggi: 889
Località: Scandicci
Nome: Carlos R. de Queros
Tarsi posteriori bilobi solo fino a metà e occhi senza pubescenza tra gli ommatidi
quindi Arhopalus ferus (Mulsant, 1839)

Grazie
:ok: :lov2:


Top
profilo
Visualizza ultimi messaggi:  Ordina per  
nuovo argomento
rispondi
Pagina 1 di 1 [ 4 messaggi ]

Tutti gli orari sono UTC + 1 ora [ ora legale ]


Chi c’è in linea

Visitano il forum: Nessuno e 2 ospiti


Non puoi aprire nuovi argomenti
Non puoi rispondere negli argomenti
Non puoi modificare i tuoi messaggi
Non puoi cancellare i tuoi messaggi
Non puoi inviare allegati

Cerca per:
Vai a: