Forum Entomologi Italiani
http://www.entomologiitaliani.net/public/forum/phpbb3/

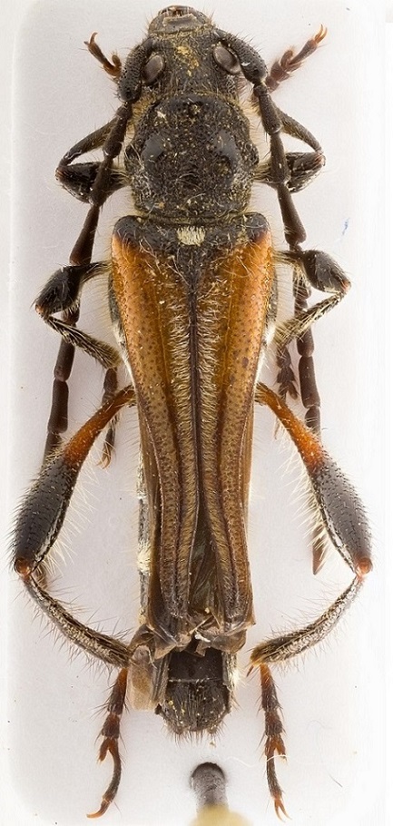
Stenopterus creticus Sama, 1995 - Cerambycidae
http://www.entomologiitaliani.net/public/forum/phpbb3/viewtopic.php?f=145&t=81267
Pagina 1 di 1

Autore:  Honza [ 03/08/2018, 13:12 ]
Oggetto del messaggio:  Stenopterus creticus Sama, 1995 - Cerambycidae

chiedo aiuto Stenopterus sp.

Creta queste specie:
Stenopterus ater
Stenopterus atricornis
Stenopterus creticus
Stenopterus rufus
Stenopterus similatus


Allegati:
Stenopterus sp. - Kopie.JPG


Autore:  f.izzillo [ 03/08/2018, 13:19 ]
Oggetto del messaggio:  Re: Stenopterus sp.

Sembrerebbe il creticus

Autore:  marion [ 16/08/2018, 9:55 ]
Oggetto del messaggio:  Re: Stenopterus sp.

Greece, Crete bor., Lavris, june 2018
elytra longer and straigter, antenae longer, is it creticus too?

Allegati:
t2bs.jpg

t2as.jpg


Autore:  Plagionotus [ 17/08/2018, 21:26 ]
Oggetto del messaggio:  Re: Stenopterus sp.

I've seen now these specimens, both are Stenopterus creticus :)

Autore:  marion [ 20/08/2018, 7:12 ]
Oggetto del messaggio:  Re: Stenopterus sp.

thank you very much

Pagina 1 di 1 Tutti gli orari sono UTC + 1 ora [ ora legale ]
Powered by phpBB® Forum Software © phpBB Group
http://www.phpbb.com/