Benvenuto Ospite

Forum Entomologi Italiani

www.entomologiitaliani.net/forum
 
Oggi è 05/10/2025, 21:35

Tutti gli orari sono UTC + 1 ora [ ora legale ]

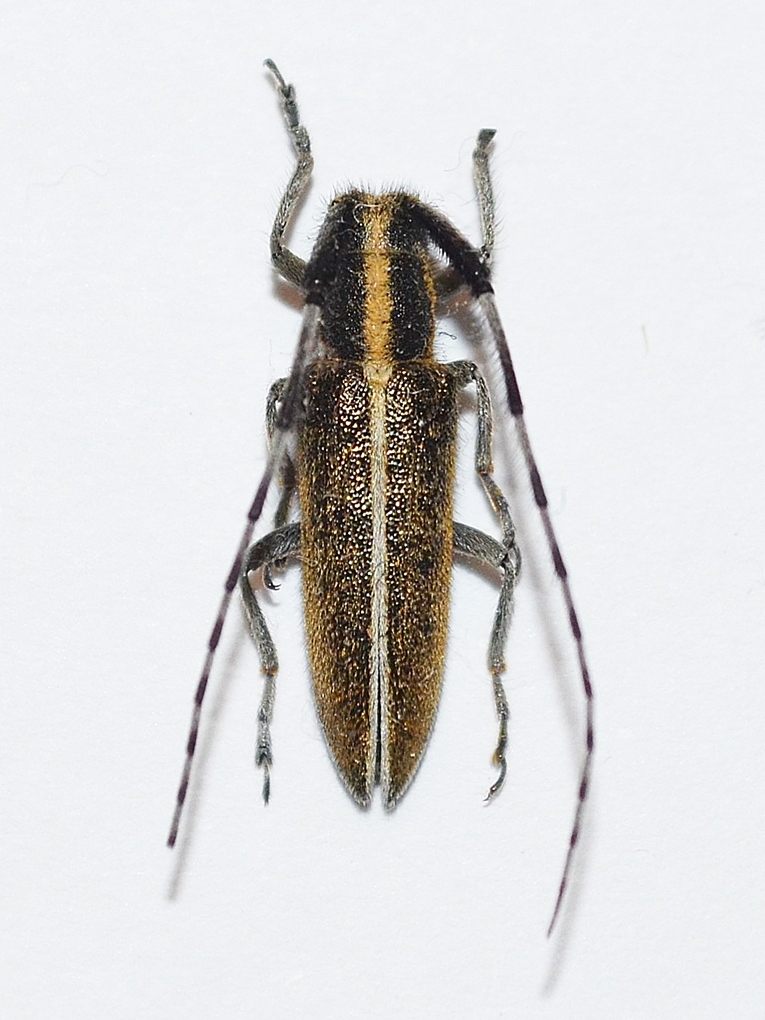
Agapanthia (Agapanthia) suturalis (Fabricius, 1787) Dettagli della specie

9.IV.2018 - SPAGNA - EE, Les Salades, Elche (Alicante)


nuovo argomento
rispondi
Pagina 1 di 1 [ 4 messaggi ]
Autore Messaggio
MessaggioInviato: 03/11/2018, 22:05 
Avatar utente

Iscritto il: 25/04/2016, 19:02
Messaggi: 889
Località: Scandicci
Nome: Carlos R. de Queros
Trovata sui cardi insieme ad Agapanthia annularis.

So che è abbastanza complicato distinguerla da A. cardui da foto.

13mm/11mm

Grazie in anticipo!!


DSC_1053.JPG

DSC_1051.JPG

DSC_1041.JPG

DSC_1045.JPG

DSC_1033.JPG

DSC_1028.JPG

Top
profilo
MessaggioInviato: 04/11/2018, 21:57 
Avatar utente

Iscritto il: 21/05/2009, 14:59
Messaggi: 6994
Località: Parigi
Nome: Riccardo Poloni
Più suturalis di così gli si dovrebbero vedere i punti freschi :mrgreen:

_________________
Riccardo Poloni
La dignità degli elementi
la libertà della poesia,
al di là dei tradimenti degli uomini
è magia, è magia, è magia...
Negrita, Rotolando verso sud


Top
profilo
MessaggioInviato: 05/11/2018, 13:16 
Avatar utente

Iscritto il: 25/04/2016, 19:02
Messaggi: 889
Località: Scandicci
Nome: Carlos R. de Queros
:oops: Pensavo era più complicato, comunque meglio così :lol:
Grazie anche per questa.


Top
profilo
MessaggioInviato: 07/11/2018, 17:52 
Avatar utente

Iscritto il: 21/05/2009, 14:59
Messaggi: 6994
Località: Parigi
Nome: Riccardo Poloni
Infatti lo è, ma alcuni esemplari fenotipicamente sono già ascrivibili a una o all'altra specie.

_________________
Riccardo Poloni
La dignità degli elementi
la libertà della poesia,
al di là dei tradimenti degli uomini
è magia, è magia, è magia...
Negrita, Rotolando verso sud


Top
profilo
Visualizza ultimi messaggi:  Ordina per  
nuovo argomento
rispondi
Pagina 1 di 1 [ 4 messaggi ]

Tutti gli orari sono UTC + 1 ora [ ora legale ]


Chi c’è in linea

Visitano il forum: Nessuno e 6 ospiti


Non puoi aprire nuovi argomenti
Non puoi rispondere negli argomenti
Non puoi modificare i tuoi messaggi
Non puoi cancellare i tuoi messaggi
Non puoi inviare allegati

Cerca per:
Vai a: