Benvenuto Ospite

Forum Entomologi Italiani

www.entomologiitaliani.net/forum
 
Oggi è 05/10/2025, 18:33

Tutti gli orari sono UTC + 1 ora [ ora legale ]

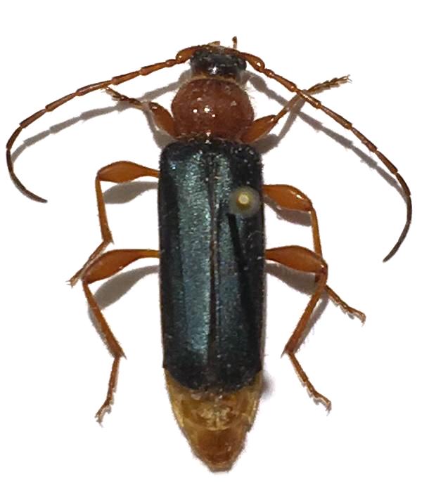
Phymatodes testaceus (Linnaeus, 1758) Dettagli della specie

16.IV.2019 - ITALIA - Veneto - PD, Pontelongo


nuovo argomento
rispondi
Pagina 1 di 1 [ 5 messaggi ]
Autore Messaggio
MessaggioInviato: 17/04/2019, 22:26 
Avatar utente

Iscritto il: 25/10/2018, 15:44
Messaggi: 17
Località: Pontelongo
Nome: Luca Gregnanin
Buonasera a tutti,
non riesco a determinare questo cantaride. Lungo 1,8 cm.
Grazie a tutti!


Cantaride1.jpg


_________________
Luca G.
Top
profilo
 Oggetto del messaggio: Re: Cantaride ignoto
MessaggioInviato: 17/04/2019, 23:10 
Avatar utente

Iscritto il: 22/12/2009, 13:31
Messaggi: 9646
Località: Napoli
Nome: Francesco Izzillo
E' un Cerambycidae: Phymatodes testaceus

_________________
Francesco Izzillo


Top
profilo
 Oggetto del messaggio: Re: Cantaride ignoto
MessaggioInviato: 17/04/2019, 23:32 
Avatar utente

Iscritto il: 25/10/2018, 15:44
Messaggi: 17
Località: Pontelongo
Nome: Luca Gregnanin
Ah, avevo cannato completamente :|
Grazie mille!

_________________
Luca G.


Top
profilo
 Oggetto del messaggio: Re: Cantaride ignoto
MessaggioInviato: 17/04/2019, 23:45 
Avatar utente

Iscritto il: 21/05/2009, 14:59
Messaggi: 6994
Località: Parigi
Nome: Riccardo Poloni
Luca, li mortacci tua! :mrgreen:

_________________
Riccardo Poloni
La dignità degli elementi
la libertà della poesia,
al di là dei tradimenti degli uomini
è magia, è magia, è magia...
Negrita, Rotolando verso sud


Top
profilo
 Oggetto del messaggio: Re: Cantaride ignoto
MessaggioInviato: 18/04/2019, 9:36 
Avatar utente

Iscritto il: 25/10/2018, 15:44
Messaggi: 17
Località: Pontelongo
Nome: Luca Gregnanin
Eh mannaggia, Riccardo, sono stato tratto in inganno dalle elitre abbastanza morbide, che pensavo fossero l'unico modo per distinguere cantaridi e cerambicidi. Ho letto poi del numero di tarsi. Approfitto per chiedere: ci sono caratteri più immediati per distinguere le due famiglie?

_________________
Luca G.


Top
profilo
Visualizza ultimi messaggi:  Ordina per  
nuovo argomento
rispondi
Pagina 1 di 1 [ 5 messaggi ]

Tutti gli orari sono UTC + 1 ora [ ora legale ]


Chi c’è in linea

Visitano il forum: Nessuno e 13 ospiti


Non puoi aprire nuovi argomenti
Non puoi rispondere negli argomenti
Non puoi modificare i tuoi messaggi
Non puoi cancellare i tuoi messaggi
Non puoi inviare allegati

Cerca per:
Vai a: