Benvenuto Ospite

Forum Entomologi Italiani

www.entomologiitaliani.net/forum
 
Oggi è 07/11/2025, 22:20

Tutti gli orari sono UTC + 1 ora [ ora legale ]

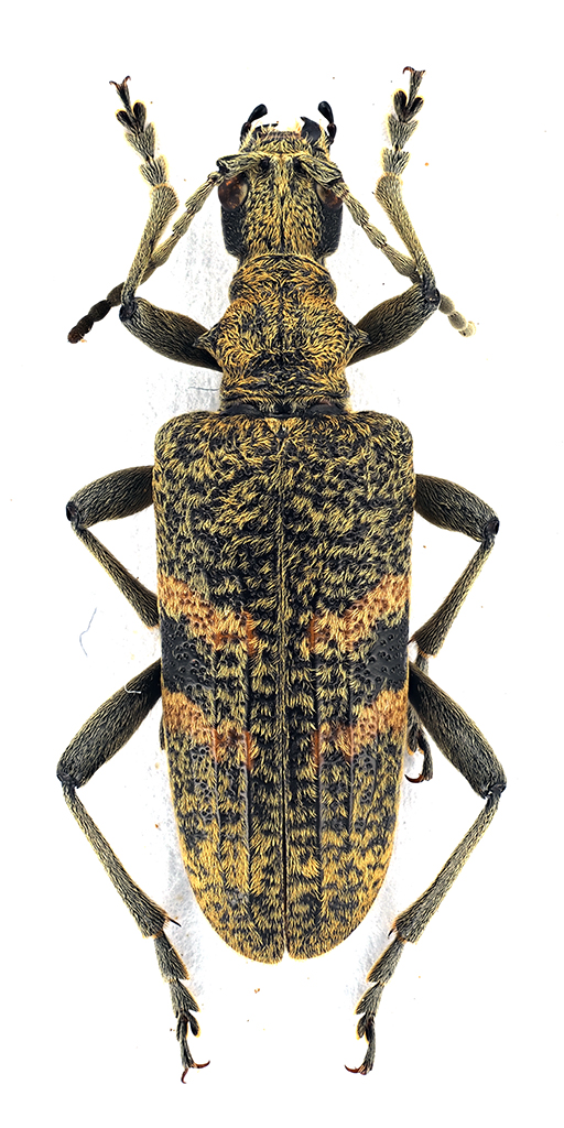
Rhagium (Megarhagium) mordax (De Geer, 1775) Dettagli della specie

18.VI.2018 - ITALIA - Marche - MC, Bolognola


nuovo argomento
rispondi
Pagina 1 di 1 [ 1 messaggio ]
Autore Messaggio
MessaggioInviato: 23/06/2019, 22:20 
Avatar utente

Iscritto il: 10/05/2009, 15:30
Messaggi: 7182
Località: Ancona
Nome: Giacomo Giovagnoli
Rhagium mordax.

Bolognola (Macerata); 18.VI.2018; su faggio divelto da valanga.

[grazie zio per le foto!!! :birra: ]

Dimensioni: 20mm
Comb2734-13zL6cr.jpg


Comb2735-31zL6cr.jpg


Comb2736-70zL6cr.jpg



Ciao :)

_________________
Immagine Giacomo


Top
profilo
Visualizza ultimi messaggi:  Ordina per  
nuovo argomento
rispondi
Pagina 1 di 1 [ 1 messaggio ]

Tutti gli orari sono UTC + 1 ora [ ora legale ]


Chi c’è in linea

Visitano il forum: Nessuno e 5 ospiti


Non puoi aprire nuovi argomenti
Non puoi rispondere negli argomenti
Non puoi modificare i tuoi messaggi
Non puoi cancellare i tuoi messaggi
Non puoi inviare allegati

Cerca per:
Vai a: