Benvenuto Ospite

Forum Entomologi Italiani

www.entomologiitaliani.net/forum
 
Oggi è 08/11/2025, 20:06

Tutti gli orari sono UTC + 1 ora [ ora legale ]

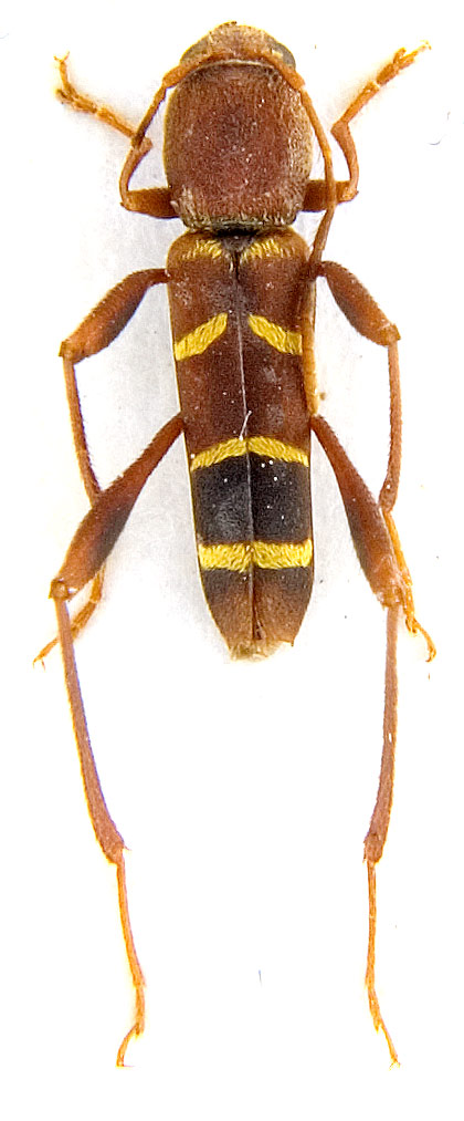
Neoclytus acuminatus (Fabricius, 1775) Dettagli della specie

12.VI.2010 - ITALIA - Veneto - BL, Feltre, Foen, N. Dal Zotto leg.


nuovo argomento
rispondi
Pagina 1 di 1 [ 1 messaggio ]
Autore Messaggio
MessaggioInviato: 26/06/2010, 13:36 
Avatar utente

Iscritto il: 08/06/2009, 0:06
Messaggi: 3415
Località: Feltre(BL)
Nome: Nicola Dal Zotto
Anche questo mi sembra manchi e allora provvedo!

IT-Veneto
Feltre:Foen(BL)
12/VI/2010 N.Dal Zotto legit

neoclytus-acuminatus.jpg



P.s una foto un più decente:
neoclytus.jpg


_________________
Nicola Dal Zotto


Top
profilo
Visualizza ultimi messaggi:  Ordina per  
nuovo argomento
rispondi
Pagina 1 di 1 [ 1 messaggio ]

Tutti gli orari sono UTC + 1 ora [ ora legale ]


Chi c’è in linea

Visitano il forum: Nessuno e 1 ospite


Non puoi aprire nuovi argomenti
Non puoi rispondere negli argomenti
Non puoi modificare i tuoi messaggi
Non puoi cancellare i tuoi messaggi
Non puoi inviare allegati

Cerca per:
Vai a: