Benvenuto Ospite

Forum Entomologi Italiani

www.entomologiitaliani.net/forum
 
Oggi è 07/11/2025, 8:29

Tutti gli orari sono UTC + 1 ora [ ora legale ]

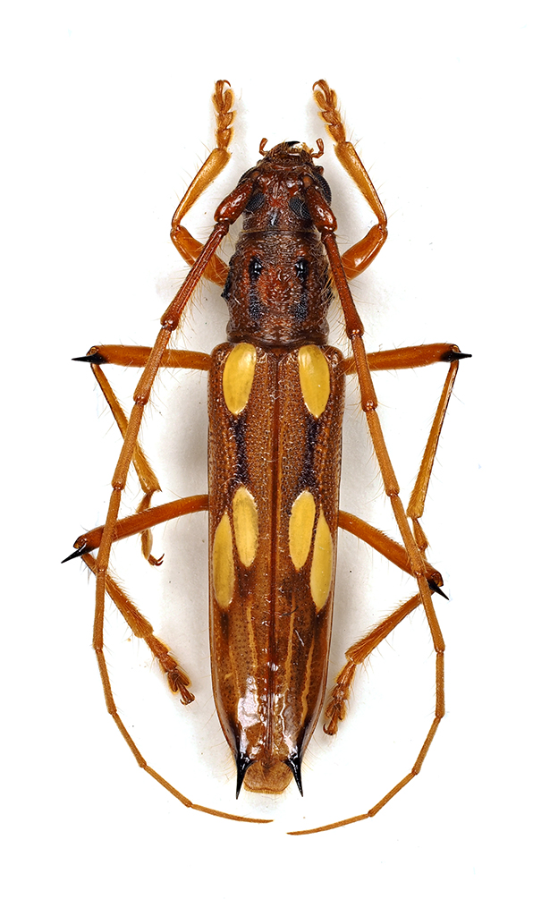
Eburodacrys sexguttata Lameere 1884 - Cerambycidae Cerambycinae

10.XII.1988 - BRASILE - EE, Cascate dell'Iguazù


nuovo argomento
rispondi
Pagina 1 di 1 [ 6 messaggi ]
Autore Messaggio
MessaggioInviato: 20/01/2022, 23:22 
Avatar utente

Iscritto il: 10/05/2009, 15:30
Messaggi: 7182
Località: Ancona
Nome: Giacomo Giovagnoli
Cerambycidae... :no1:

Cascate dell'Iguazù (Brasile); 10.XII.1988; lg. A. Pergolini

[grazie zio per le foto!!! :birra:

Dimensioni: 18mm
Comb3549cr-12zL6.jpg


Comb3550cr-29zL6.jpg



Ciao :)

_________________
Immagine Giacomo


Top
profilo
 Oggetto del messaggio: Re: Cerambycidae da ID
MessaggioInviato: 21/01/2022, 12:45 
Avatar utente

Iscritto il: 08/02/2010, 23:01
Messaggi: 6171
Località: Vicenza
Nome: Silvano Biondi
Parente di questa?

:hi:

_________________



Silvano


Top
profilo
 Oggetto del messaggio: Re: Cerambycidae da ID
MessaggioInviato: 21/01/2022, 15:46 
Avatar utente

Iscritto il: 31/03/2011, 23:14
Messaggi: 114
Località: Zuydcoote, France
Nome: Dominique Poirier-Ducrocq
Eburodacrys (Cerambycinae) ... ;)

See here : http://bezbycids.com/byciddb/wthumb.asp ... dacrys&w=n


Top
profilo
 Oggetto del messaggio: Re: Cerambycidae da ID
MessaggioInviato: 21/01/2022, 16:51 
Avatar utente

Iscritto il: 10/05/2009, 15:30
Messaggi: 7182
Località: Ancona
Nome: Giacomo Giovagnoli
Grazie mille ad entrambi.
Poi ci guardo.

_________________
Immagine Giacomo


Top
profilo
MessaggioInviato: 21/01/2022, 22:22 
 

Iscritto il: 02/11/2010, 22:33
Messaggi: 990
Nome: Aleksei Kovalev
https://www.researchgate.net/publicatio ... rambycinae
:hi:


Top
profilo
MessaggioInviato: 22/01/2022, 0:39 
Avatar utente

Iscritto il: 10/05/2009, 15:30
Messaggi: 7182
Località: Ancona
Nome: Giacomo Giovagnoli
Direi proprio Eburodacrys sexguttata Lameere 1884.

Segnalato nele 2020 per l'Iguazù
http://titan.gbif.fr/sel_genann1.php?numero=2654

:ok:

_________________
Immagine Giacomo


Top
profilo
Visualizza ultimi messaggi:  Ordina per  
nuovo argomento
rispondi
Pagina 1 di 1 [ 6 messaggi ]

Tutti gli orari sono UTC + 1 ora [ ora legale ]


Chi c’è in linea

Visitano il forum: Nessuno e 3 ospiti


Non puoi aprire nuovi argomenti
Non puoi rispondere negli argomenti
Non puoi modificare i tuoi messaggi
Non puoi cancellare i tuoi messaggi
Non puoi inviare allegati

Cerca per:
Vai a: