Forum Entomologi Italiani
http://www.entomologiitaliani.net/public/forum/phpbb3/

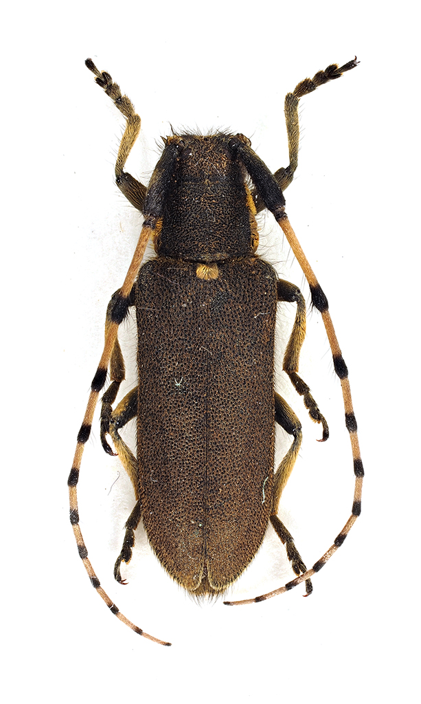
Agapanthia annularis (Olivier, 1795) - Cerambycidae
http://www.entomologiitaliani.net/public/forum/phpbb3/viewtopic.php?f=145&t=97689
Pagina 1 di 1

Autore:  StagBeetle [ 22/01/2022, 23:22 ]
Oggetto del messaggio:  Agapanthia annularis (Olivier, 1795) - Cerambycidae

Agapanthia annularis (Olivier, 1795)

Puerto de Milagro, Montes de Toledo (Spagna), 900m; 14.V.1989; lg. A. Pergolini

[grazie zio per le foto!!! :birra: ]

Dimensioni: 13mm
Comb3539cr-13zL6.jpg


Comb3540cr-21zL6.jpg



Ciao :)

Pagina 1 di 1 Tutti gli orari sono UTC + 1 ora [ ora legale ]
Powered by phpBB® Forum Software © phpBB Group
http://www.phpbb.com/