Benvenuto Ospite

Forum Entomologi Italiani

www.entomologiitaliani.net/forum
 
Oggi è 07/11/2025, 11:03

Tutti gli orari sono UTC + 1 ora [ ora legale ]

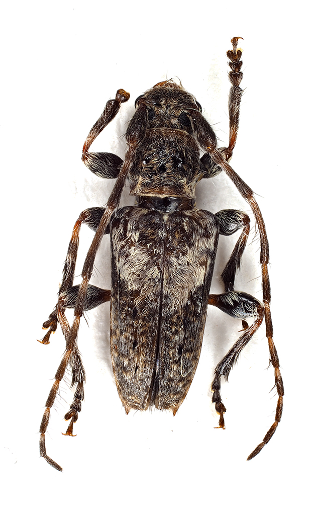
Pogonocherus neuhausi J. Müller, 1916 Dettagli della specie

25.X.2021 - ITALIA - Marche - AN, Numana


nuovo argomento
rispondi
Pagina 1 di 1 [ 1 messaggio ]
Autore Messaggio
MessaggioInviato: 26/05/2022, 19:35 
Avatar utente

Iscritto il: 15/04/2018, 19:22
Messaggi: 42
Località: Osimo
Nome: Tommaso Spilli
Ciao a tutti!!

Ho trovato questo Pogonocherus neuhausi a Numana (AN) il 25/10/2021, sotto la corteccia di un pino d'Aleppo morto causa vari fattori tra cui l'attacco di Tomicus destruens. Ho confrontato la bestiolina con Alberto Strocchi e Giacomo Giovagnoli. Ringrazio lo zio di Giacomo per la foto!!


Comb3760cr-29L6.jpg


_________________
Tommaso Spilli

Top
profilo
Visualizza ultimi messaggi:  Ordina per  
nuovo argomento
rispondi
Pagina 1 di 1 [ 1 messaggio ]

Tutti gli orari sono UTC + 1 ora [ ora legale ]


Chi c’è in linea

Visitano il forum: Nessuno e 4 ospiti


Non puoi aprire nuovi argomenti
Non puoi rispondere negli argomenti
Non puoi modificare i tuoi messaggi
Non puoi cancellare i tuoi messaggi
Non puoi inviare allegati

Cerca per:
Vai a: