Benvenuto Ospite

Forum Entomologi Italiani

www.entomologiitaliani.net/forum
 
Oggi è 05/11/2025, 20:59

Tutti gli orari sono UTC + 1 ora [ ora legale ]

Plateumaris rustica (Kunze, 1818) - Chrysomelidae

8.V.2011 - ITALIA - Veneto - TV, Moriago della Battaglia - 120 mt. sl


nuovo argomento
rispondi
Pagina 1 di 1 [ 7 messaggi ]
Autore Messaggio
MessaggioInviato: 26/05/2011, 8:52 
Avatar utente

Iscritto il: 17/12/2009, 19:19
Messaggi: 574
Località: Miane (TV)
Nome: Franco Sandel
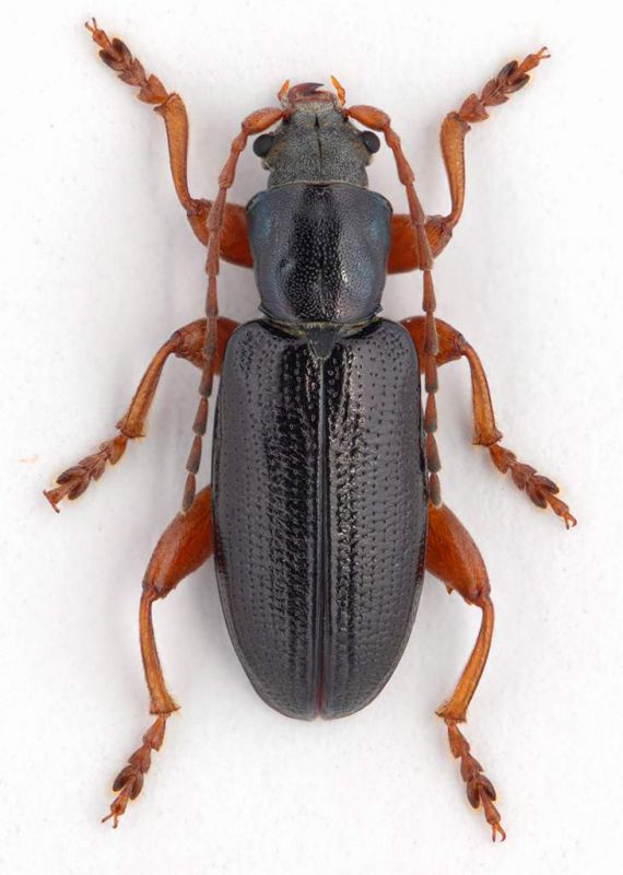
Raccolto assieme alla Donacia reticulata, su germogli di canna,
nel Palu' di Moriago, dimensioni 7 mm.
Quasi sicuramente e' Plateumaris affinis, ma chiedo conferma,

Grazie,

Franco


Plateumaris affinis 7 mm. - Italy-Veneto (TV) - Palu' di Moriago -120 mt.- 08-V-2011-Leg.Franco Sandel
Plateumaris affinis 7 mm.-Italy-Veneto (TV) - Palu di Moriago -120 mt.-08-V-2011-Leg.Franco Sandel.jpg


_________________
Effe Esse
Top
profilo
 Oggetto del messaggio: Re: Plateumaris affinis ?
MessaggioInviato: 12/06/2012, 23:02 
Avatar utente

Iscritto il: 22/05/2009, 21:00
Messaggi: 2774
Località: Pergine Valsugana (TN)
Nome: Andrea Carlin
:birra: Bella foto e bellissima bestiola Franco! Complimenti! :birra:
Per me è Plateumaris (Plateumaris) consimilis (Schrank, 1781)

:hi: :hi: :hi: :hi: :hi:

_________________
Andrea Carlin, Pergine Valsugana (TN) carlin.andrea(AT)gmail.com

Nota: tutti gli esemplari inseriti nelle discussioni aperte da me sono da ritenere "Andrea Carlin legit" se non diversamente specificato.


Top
profilo
 Oggetto del messaggio: Re: Plateumaris affinis ?
MessaggioInviato: 13/06/2012, 8:14 
Avatar utente

Iscritto il: 25/11/2009, 9:31
Messaggi: 8157
Località: Lecce
Nome: Maurizio Bollino
Andrea Pergine ha scritto:
:birra: Bella foto e bellissima bestiola Franco! Complimenti! :birra:
Per me è Plateumaris (Plateumaris) consimilis (Schrank, 1781)

:hi: :hi: :hi: :hi: :hi:


Tutto dipende da quanto è cordiforme quel pronoto.... Per me potrebbe avere ragione Franco. A proposito di Plateumaris affinis trovo delle discrepanze: nel sito dei Chrysomelidae italiani non è elencata come specie, nel sito polacco è considerata sinonimo di Plateumaris rustica, ed infine nel Löbl & Smetana (pg. 358) è elencata come specie valida..

_________________
Maurizio Bollino


Top
profilo
MessaggioInviato: 13/06/2012, 8:36 
Avatar utente

Iscritto il: 22/05/2009, 21:00
Messaggi: 2774
Località: Pergine Valsugana (TN)
Nome: Andrea Carlin
:hi: Ciao Maurizio :hi:
Ovviamente non avendo l'esemplare sotto occhio la mia era solo un opinione; ho fatto anch'io delle ricerche e per quanto riguarda la "affinis" secondo Warchalowski è la rustica.
Poi, su Faunaeur.org è specie distinta, mentre sulla Checklist della fauna d'Italia non c'è proprio.
In realtà sono andato per esclusione basandomi però anche sulla conformazione del pronoto e sulla colorazione delle antenne: Il pronoto nella parte apicale sembra molto allargato e le antenne poco o niente oscurate o annerite.
Ne approfitto per chiederti se hai qualche lavoro sui donaciini da consigliarmi: sono anch'io alle prese con la determinazione di alcune specie una delle quali è proprio del gen. Plateumaris probabilmente rustica...

:birra: :birra: :birra:

:hi:

_________________
Andrea Carlin, Pergine Valsugana (TN) carlin.andrea(AT)gmail.com

Nota: tutti gli esemplari inseriti nelle discussioni aperte da me sono da ritenere "Andrea Carlin legit" se non diversamente specificato.


Top
profilo
 Oggetto del messaggio: Re: Plateumaris sp. - Chrysomelidae
MessaggioInviato: 13/06/2012, 12:45 
Avatar utente

Iscritto il: 17/07/2011, 15:03
Messaggi: 411
Località: Abbiategrasso
Nome: Renato Regalin
Noto una certa confusione in merito a Plateumaris affinis. Occore tenere ben presente le date dei vari lavori pubblicati a stampa o disponibili nel WEB. Dal mio canto avevo compilato la Check-list delle specie italiane di quel genere basandomi sulla revisione di Askevold (1991) e quindi considerando P. affinis Kunze, 1818 sinonimo junore di P. rustica Kunze, 1818. I siti “Chrysomelidi.it”, quello “polacco” di Borowieck e il volume di Warchalowski considerano anch’essi tale sinonimia. In ordine temporale il Catalogo edito da Lobl e Smetana illustra la situazione più recente, per cui è possibile che lo specialista che ha redatto la parte dei Donaciini non consideri P. affinis sinonimo di P. rustica.
Come riferimento bibliografico utile, per lo studio del genere Plateumaris (anche specie nostrane), ti consiglio:

CLASSIFICATION, RECONSTRUCTED PHYLOGENY, AND GEOGRAPHIC HISTORY OF THE NEW WORLD MEMBERS OF PLATEUMARIS THOMSON, 1859 (COLEOPTERA: CHRYSOMELIDAE: DONACIINAE)
Ingolf S. Askevold
Memoirs of the Entomological Society of Canada, 1991, 123(157): 1-175

Ciao, Renato


Top
profilo
 Oggetto del messaggio: Re: Plateumaris sp. - Chrysomelidae
MessaggioInviato: 23/06/2012, 19:47 
Avatar utente

Iscritto il: 14/03/2009, 15:34
Messaggi: 198
Località: Belluno
Nome: Andrea Fabbri
Ciao

in questi giorni ho preparato parecchio materiale raccolto delle mie zone e posso dire che si tratta di Plateumaris affinis, la forma del pronoto è proprio quella della specie in questione

_________________
Andrea


Top
profilo
 Oggetto del messaggio: Re: Plateumaris sp. - Chrysomelidae
MessaggioInviato: 26/09/2023, 19:36 
Avatar utente

Iscritto il: 22/05/2009, 21:00
Messaggi: 2774
Località: Pergine Valsugana (TN)
Nome: Andrea Carlin
:hi: ciao. È stata pubblicata recentemente la revisione del genere. Si conferma che la specie affinis è sparita... in sinonimia con rustica.
:birra:

_________________
Andrea Carlin, Pergine Valsugana (TN) carlin.andrea(AT)gmail.com

Nota: tutti gli esemplari inseriti nelle discussioni aperte da me sono da ritenere "Andrea Carlin legit" se non diversamente specificato.


Top
profilo
Visualizza ultimi messaggi:  Ordina per  
nuovo argomento
rispondi
Pagina 1 di 1 [ 7 messaggi ]

Tutti gli orari sono UTC + 1 ora [ ora legale ]


Chi c’è in linea

Visitano il forum: Nessuno e 2 ospiti


Non puoi aprire nuovi argomenti
Non puoi rispondere negli argomenti
Non puoi modificare i tuoi messaggi
Non puoi cancellare i tuoi messaggi
Non puoi inviare allegati

Cerca per:
Vai a: